Astegiudiziarie.it è parte di Rete Aste Network

Accedi o registrati

Non sei ancora registrato?

Oppure

Accedi

Abitazione in villini, garage o autorimessa

Via Provinciale Lucchese, 587, 51030 Ponte di Serravalle PT, Italia, Serravalle Pistoiese (PT)

€ 159.000,00

Offerta minima € 119.500,00


Codice A4339303

Lotto 7

Data udienza 15/07/2026 ore 10:00

Termine presentazione offerte 14/07/2026 ore 12:00

Abitazione in villini, garage o autorimessa

Via Provinciale Lucchese, 587, 51030 Ponte di Serravalle PT, Italia, Serravalle Pistoiese (PT)

€ 159.000,00

Offerta minima € 119.500,00


Codice A4339303

Lotto 7

Data udienza 15/07/2026 ore 10:00

Termine presentazione offerte 14/07/2026 ore 12:00

Ti interessa questa vendita?

Documentazione

Visualizza su mappa

Mappa geografica del bene

Punti di interesse

Fonte dati

Nel raggio di {{range}}Km

Loading...
  • {{ getIcon(poi.type) }} {{ poi.localized }}: {{poi.count}}
  • {{ getIcon(poi.type) }} {{ poi.localized }}: {{poi.count}}
Dati non disponibili

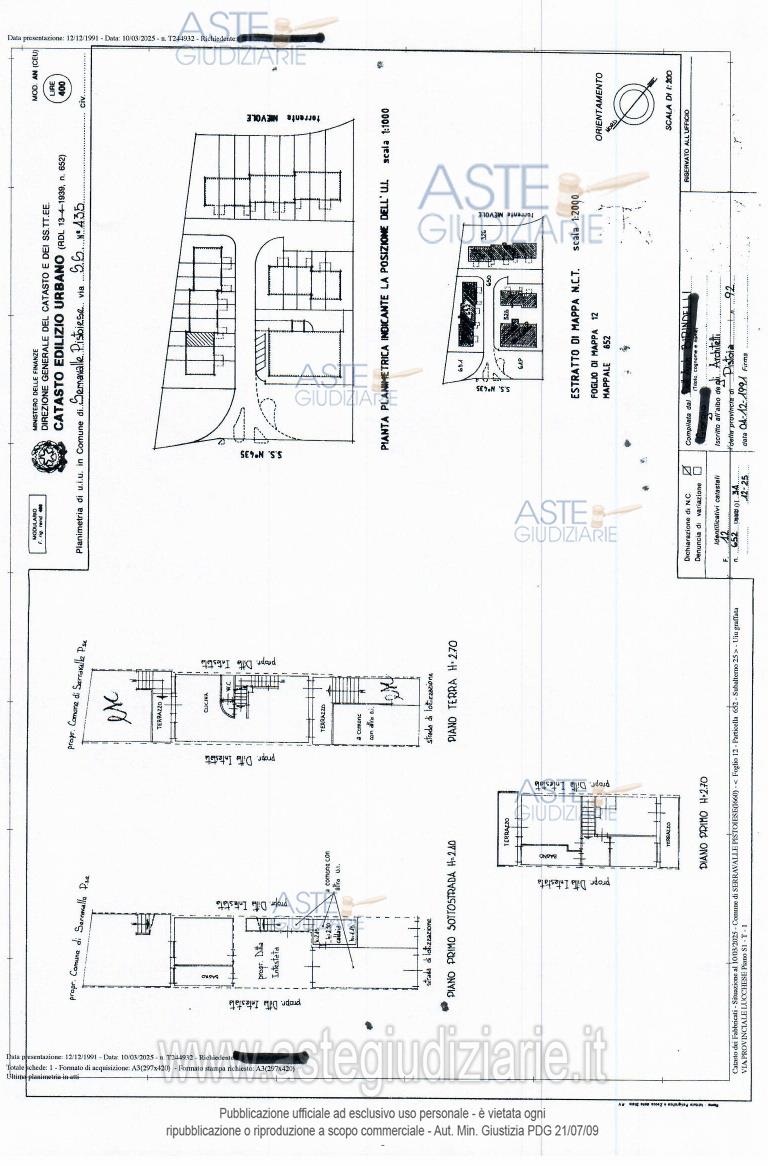
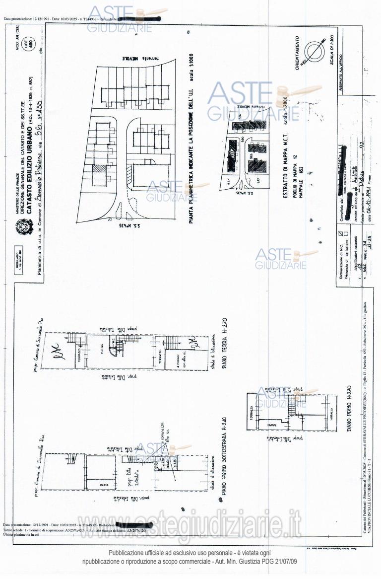
Diritto di piena proprietà su di una villetta a schiera costituente porzione terra-tetto di fabbricato di più villette a schiera in Comune di Serravalle Pistoiese (PT), Località Ponte di Serravalle, con accesso dalla Via Provinciale Lucchese n. 587/C. Garage ubicato al piano seminterrato.

Indirizzo
Via Provinciale Lucchese, 587, 51030 Ponte di Serravalle PT, Italia, Serravalle Pistoiese (PT)


Codice asta
4339303


Lotto
7


Numero beni
2


Genere
Immobili


Categoria
Immobile residenziale


Valore di stima
-


Abitazione in villini

Diritto di piena proprietà su di una villetta a schiera costituente porzione terra-tetto di fabbricato di più villette a schiera in Comune di Serravalle Pistoiese (PT), Località Ponte di Serravalle, con accesso dalla Via Provinciale Lucchese n. 587/C. Essa è composta al piano seminterrato da un vano accessorio, disimpegno, locale tecnico, servizio igienico; al piano terra da due vani, servizio igienico, balconi posti sui lati nord e sud e resedi di terreno sui lati nord e sud; al piano primo da tre vani, disimpegno e servizio igienico, oltre balconi posti sui lati nord e sud; al piano sottotetto da soffitta di altezza modesta con accesso tramite scala retrattile attraverso una botola.

Indirizzo
Via Provinciale Lucchese, 587, 51030 Ponte di Serravalle PT, Italia, Serravalle Pistoiese (PT)


Piano
-


Disponibilità
OCCUPATO


Vani
8,50


Bagni
-


Metri quadri
120,00


Certificazione energetica
-


Garage o autorimessa

Garage ubicato al piano seminterrato.

Indirizzo
Via Provinciale Lucchese, 587, 51030 Ponte di Serravalle PT, Italia, Serravalle Pistoiese (PT)


Piano
-


Disponibilità
OCCUPATO


Vani
-


Bagni
-


Metri quadri
28,00


Certificazione energetica
-


Data udienza
15/07/2026 ore 10:00


Tipo di vendita
Senza incanto


Modalità di vendita
Asincrona telematica


Luogo
N.A. -


Luogo presentazione offerte
-


Termine presentazione offerte
14/07/2026 ore 12:00


Prezzo base
€ 159.000,00


Offerta minima
€ 119.500,00


Rialzo minimo in caso di gara
€ 3.000,00


Deposito cauzionale
10% del prezzo offerto


Deposito in conto spese
-


Tribunale
Pistoia

Tipo di procedura
Espropriazione immobiliare (cartabia)

Ruolo
8/2025

Giudice
Curci Nicoletta maria caterina

Recapiti
-

Email
-

Delegato alla vendita
Bertocci Lara
(Procede alle operazioni di vendita)

Recapiti
Tel. 057322288

Email
lara.bertocci4@gmail.com

Custode giudiziario
Isveg 
(Gestisce la visita del bene)

Recapiti
Tel. 0573308256

Scheda COD. 4339303 - Pubblicata dal 23/03/2026

La presente scheda di vendita riporta integralmente informazioni e documenti pervenuti ufficialmente dal Ministero e dal professionista incaricato.


Pubblicazione autorizzata dall’Autorità competente, è vietata ogni ripubblicazione o riproduzione anche parziale


Ti interessa questa vendita?

Documentazione

Visualizza su mappa

Mappa geografica del bene

Storico delle vendite

Data venditaPrezzo base
26/02/2026€ 212.000,00
15/07/2026€ 159.000,00

Punti di interesse

Fonte dati

Nel raggio di {{range}}Km

Loading...
  • {{ getIcon(poi.type) }} {{ poi.localized }}: {{poi.count}}
  • {{ getIcon(poi.type) }} {{ poi.localized }}: {{poi.count}}
Dati non disponibili