Astegiudiziarie.it è parte di Rete Aste Network

Accedi o registrati

Non sei ancora registrato?

Oppure

Accedi

Abitazione in villini, magazzino, terreno

C.da Carrata, Pachino (SR)

€ 100.701,56

Offerta minima € 75.526,17


Codice A4323800

Lotto 1

Data udienza 22/07/2026 ore 11:00

Termine presentazione offerte 21/07/2026 ore 12:00

Abitazione in villini, magazzino, terreno

C.da Carrata, Pachino (SR)

€ 100.701,56

Offerta minima € 75.526,17


Codice A4323800

Lotto 1

Data udienza 22/07/2026 ore 11:00

Termine presentazione offerte 21/07/2026 ore 12:00

Ti interessa questa vendita?

Visualizza su mappa

Mappa geografica del bene

Punti di interesse

Fonte dati

Nel raggio di {{range}}Km

Loading...
  • {{ getIcon(poi.type) }} {{ poi.localized }}: {{poi.count}}
  • {{ getIcon(poi.type) }} {{ poi.localized }}: {{poi.count}}
Dati non disponibili

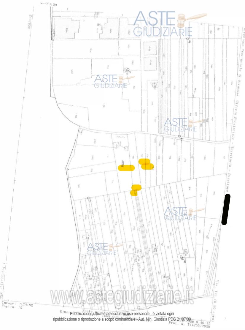
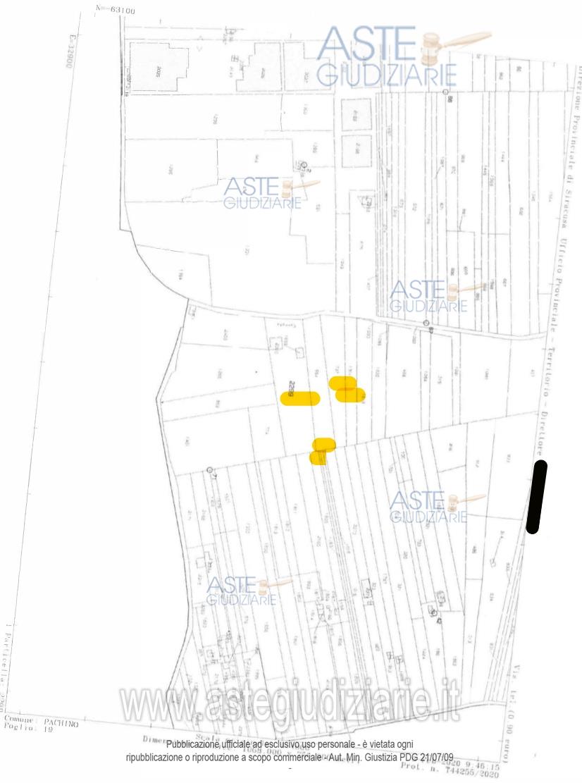
Unità immobiliari in Pachino (SR), C.da Carrata, composte da: a) fabbricato per civile abitazione in NCEU al fg 19, p.lla 1698, cat. A/7, cl. 1, vani 6, sup cat totale mq. 83, RC € 418,33, con piscina interrata di m 10,50x4,15; b) magazzino in NCEU al fg 19, p.lla 2300, cat. C/2, cl. 1, consistenza mq. 218, sup cat mq. 260, RC € 472,87; c) terreno della superficie complessiva di mq 11.000,00, in NCT al fg 19, p.lla 2299, qualità vigneto, cl. 3, Ha 01.07.66, RD € 97,30, RA € 38,92, in Zona “E”.

Indirizzo
C.da Carrata, Pachino (SR)


Codice asta
4323800


Lotto
1


Numero beni
3


Genere
Immobili


Categoria
Immobile residenziale


Valore di stima
-


Abitazione in villini

Piena ed intera proprietà di unità immobiliari in Pachino (SR), C.da Carrata, composte da: a) fabbricato per civile abitazione in N.C.E.U. al foglio 19, p.lla 1698, cat. A/7, cl. 1, consistenza vani 6, superficie catastale totale mq. 83 – totale escluse aree scoperte mq. 76, R.C. € 418,33, Classe Energetica “E”, giusta attestato di prestazione energetica del 14/02/2020, con piscina interrata, realizzata in conglomerato cementizio e finitura con mattonelle, avente dimensioni 10,50x4,15 m.

Indirizzo
C.da Carrata, Pachino (SR)


Piano
-


Disponibilità
OCCUPATO


Vani
6,00


Bagni
-


Metri quadri
83,00


Certificazione energetica
-


Dati catastali

Foglio:19, Particella:1698


Magazzino

Piena ed intera proprietà di unità immobiliari in Pachino (SR), C.da Carrata, composte da: b) magazzino in N.C.E.U. al foglio 19, p.lla 2300 [insistente all’interno della p.lla 2300 (ente urbano di are 03 ca 32)], cat. C/2, cl. 1, consistenza mq. 218, superficie catastale totale mq. 260, R.C. € 472,87.

Indirizzo
C.da Carrata, Pachino (SR)


Piano
-


Disponibilità
OCCUPATO


Vani
-


Bagni
-


Metri quadri
218,00


Certificazione energetica
-


Dati catastali

Foglio:19, Particella:2300


Terreno

Piena ed intera proprietà di unità immobiliari in Pachino (SR), C.da Carrata, composte da: c) terreno della superficie complessiva di mq 11.000,00 (comprensiva dei suddetti fabbricati), in N.C.T. al foglio 19, p.lla 2299 (ex p.lla 555), qualità vigneto, cl. 3, Ha 01.07.66, R.D. € 97,30, R.A. € 38,92, in Zona “E” (verde agricolo), giusta certificato di destinazione urbanistica rilasciato dal Comune di Pachino in data 14.08.2012.

Indirizzo
C.da Carrata, Pachino (SR)


Piano
-


Disponibilità
-


Vani
-


Bagni
-


Metri quadri
11000,00


Certificazione energetica
-


Dati catastali

Foglio:19, Particella:2299


Data udienza
22/07/2026 ore 11:00


Tipo di vendita
Senza incanto


Modalità di vendita
Sincrona mista


Luogo
Tribunale di Siracusa, sala aste telematiche 1, posta al livello 0, corpo B, n. 27 - Siracusa 96100


Luogo presentazione offerte
-


Termine presentazione offerte
21/07/2026 ore 12:00


Prezzo base
€ 100.701,56


Offerta minima
€ 75.526,17


Rialzo minimo in caso di gara
€ 6.000,00


Deposito cauzionale
10% del prezzo offerto


Deposito in conto spese
-


Tribunale
Siracusa

Tipo di procedura
Esecuzione immobiliare post legge 80

Ruolo
172/2010

Giudice
Cultrera Concita

Recapiti
-

Email
-

Delegato alla vendita
Bordone Riccardo
(Procede alle operazioni di vendita)

Recapiti
Cell. 3388273630
Tel. 09311562510

Email
avv.riccardobordone@mbcg.it

Custode giudiziario
Bordone Riccardo
(Gestisce la visita del bene)

Recapiti
Cell. 3388273630
Tel. 09311562510

Scheda COD. 4323800 - Pubblicata dal 13/04/2026

La presente scheda di vendita riporta integralmente informazioni e documenti pervenuti ufficialmente dal Ministero e dal professionista incaricato.

Pubblicazione notarizzata su Blockchain


Pubblicazione autorizzata dall’Autorità competente, è vietata ogni ripubblicazione o riproduzione anche parziale


Ti interessa questa vendita?

Visualizza su mappa

Mappa geografica del bene

Storico delle vendite

Data venditaPrezzo base
02/07/2025€ 238.700,00
18/11/2025€ 179.025,00
18/03/2026€ 134.268,75
22/07/2026€ 100.701,56

Punti di interesse

Fonte dati

Nel raggio di {{range}}Km

Loading...
  • {{ getIcon(poi.type) }} {{ poi.localized }}: {{poi.count}}
  • {{ getIcon(poi.type) }} {{ poi.localized }}: {{poi.count}}
Dati non disponibili