Astegiudiziarie.it è parte di Rete Aste Network

Accedi o registrati

Non sei ancora registrato?

Oppure

Accedi

Abitazione in ville

Viale dei Lecci, 2, 74010 Statte TA, Italia, Statte (TA)

€ 33.225,00

Offerta minima € 24.920,00


Codice A4342035

Lotto 1

Data udienza 13/05/2026 ore 16:00

Termine presentazione offerte 12/05/2026 ore 12:00

Abitazione in ville

Viale dei Lecci, 2, 74010 Statte TA, Italia, Statte (TA)

€ 33.225,00

Offerta minima € 24.920,00


Codice A4342035

Lotto 1

Data udienza 13/05/2026 ore 16:00

Termine presentazione offerte 12/05/2026 ore 12:00

Ti interessa questa vendita?

Documentazione

Visualizza su mappa

Mappa geografica del bene

Punti di interesse

Fonte dati

Nel raggio di {{range}}Km

Loading...
  • {{ getIcon(poi.type) }} {{ poi.localized }}: {{poi.count}}
  • {{ getIcon(poi.type) }} {{ poi.localized }}: {{poi.count}}
Dati non disponibili

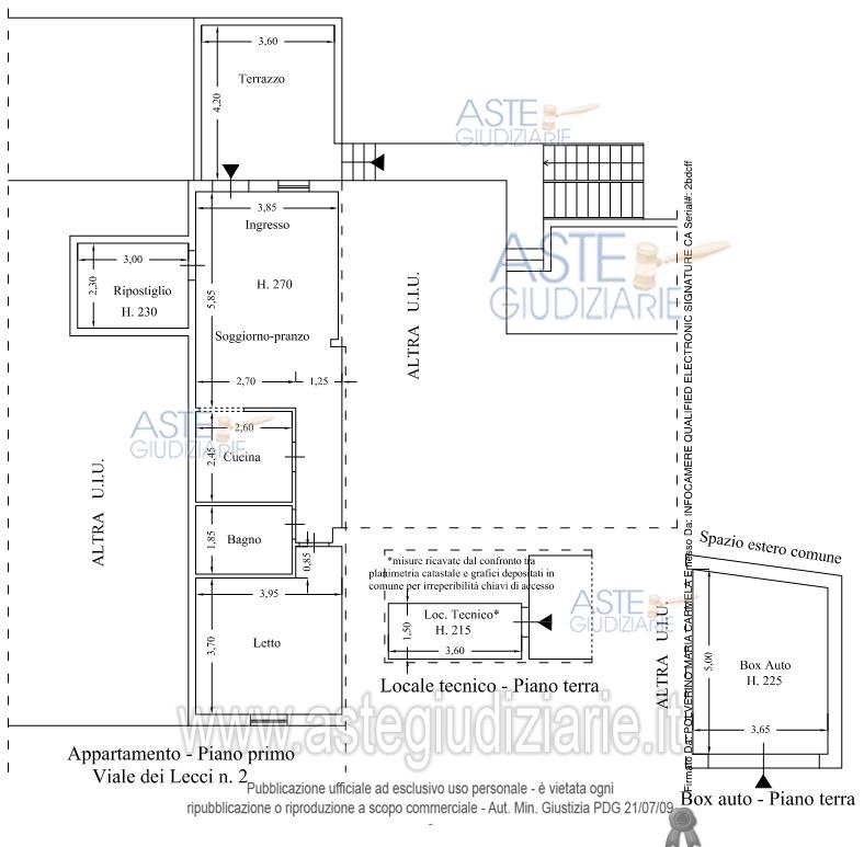
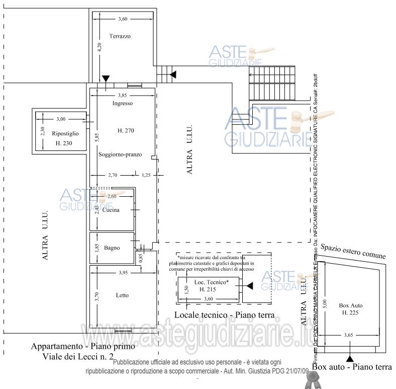
Appartamento in villa posto al piano primo con accesso da parti comuni attraverso delle scale esterne checonducono ad un terrazzo di pertinenza esclusiva

Indirizzo
Viale dei Lecci, 2, 74010 Statte TA, Italia, Statte (TA)


Codice asta
4342035


Lotto
1


Numero beni
1


Genere
Immobili


Categoria
Immobile residenziale


Valore di stima
-


Abitazione in ville

Appartamento in villa sito in Statte (Ta) zona residenziale Monte Sant’Angelo al Viale dei Lecci2, posto al piano primo con accesso da parti comuni attraverso delle scale esterne checonducono ad un terrazzo di pertinenza esclusiva. L’appartamento è composto da ampioingresso – soggiorno sul quale si affaccia la cucina, corridoio di disimpegno, bagno eripostiglio; locale tecnico posto al piano terra come anche il box auto/deposito di pertinenzacon accesso da giardino comune.

Indirizzo
Viale dei Lecci, 2, 74010 Statte TA, Italia, Statte (TA)


Piano
-


Disponibilità
-


Vani
3,00


Bagni
1


Metri quadri
70,60


Certificazione energetica
-


Data udienza
13/05/2026 ore 16:00


Tipo di vendita
Senza incanto


Modalità di vendita
Asincrona telematica


Luogo
N.A. -


Luogo presentazione offerte
-


Termine presentazione offerte
12/05/2026 ore 12:00


Prezzo base
€ 33.225,00


Offerta minima
€ 24.920,00


Rialzo minimo in caso di gara
€ 1.000,00


Deposito cauzionale
10% del prezzo offerto


Deposito in conto spese
-


Tribunale
Taranto

Tipo di procedura
Espropriazione immobiliare (cartabia)

Ruolo
356/2024

Giudice
Paiano Andrea

Recapiti
-

Email
-

Delegato alla vendita
Ostillio Gianluca
(Procede alle operazioni di vendita)

Recapiti
-

Email
avv.gianlucaostillio@gmail.com

IVG
Ivg taranto 
(Gestisce la visita del bene)

Recapiti
-

Scheda COD. 4342035 - Pubblicata dal 09/03/2026

La presente scheda di vendita riporta integralmente informazioni e documenti pervenuti ufficialmente dal Ministero e dal professionista incaricato.


Pubblicazione autorizzata dall’Autorità competente, è vietata ogni ripubblicazione o riproduzione anche parziale


Ti interessa questa vendita?

Documentazione

Visualizza su mappa

Mappa geografica del bene

Storico delle vendite

Data venditaPrezzo base
11/02/2026€ 44.300,00
13/05/2026€ 33.225,00

Punti di interesse

Fonte dati

Nel raggio di {{range}}Km

Loading...
  • {{ getIcon(poi.type) }} {{ poi.localized }}: {{poi.count}}
  • {{ getIcon(poi.type) }} {{ poi.localized }}: {{poi.count}}
Dati non disponibili