Astegiudiziarie.it è parte di Rete Aste Network

Accedi o registrati

Non sei ancora registrato?

Oppure

Accedi

Terreno

Via Madre Teresa di Calcutta, 27043 San Cipriano Po PV, Italia, San Cipriano Po (PV)

€ 29.100,00

Offerta minima € 21.825,00


Codice A4348313

Lotto Lotto unico

Data udienza 26/05/2026 ore 11:00

Termine presentazione offerte 25/05/2026 ore 12:00

Terreno

Via Madre Teresa di Calcutta, 27043 San Cipriano Po PV, Italia, San Cipriano Po (PV)

€ 29.100,00

Offerta minima € 21.825,00


Codice A4348313

Lotto Lotto unico

Data udienza 26/05/2026 ore 11:00

Termine presentazione offerte 25/05/2026 ore 12:00

Ti interessa questa vendita?

Documentazione

Visualizza su mappa

Mappa geografica del bene

Punti di interesse

Fonte dati

Nel raggio di {{range}}Km

Loading...
  • {{ getIcon(poi.type) }} {{ poi.localized }}: {{poi.count}}
  • {{ getIcon(poi.type) }} {{ poi.localized }}: {{poi.count}}
Dati non disponibili

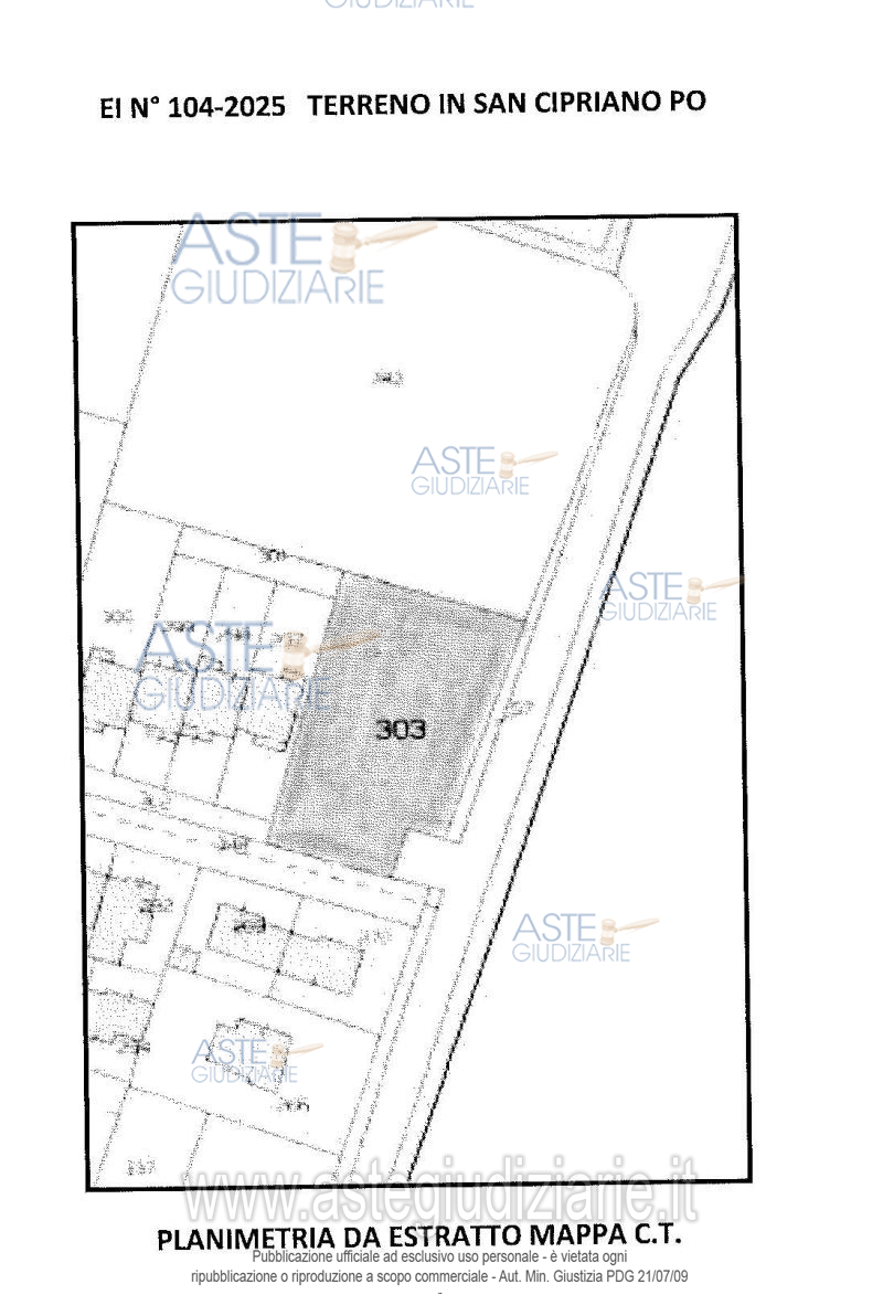
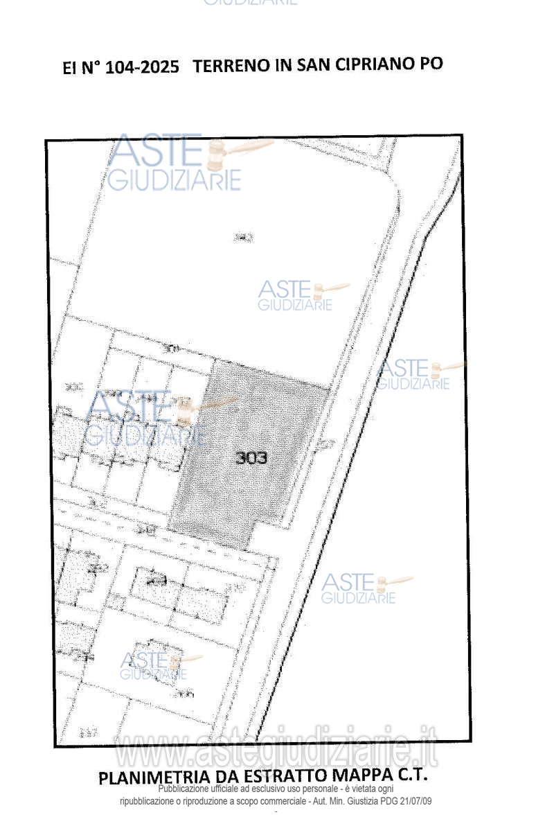
Piena proprietà per la quota intera di 1000/1000 di appezzamento di terreno parzialmente edifi-cabile sito in Comune di San Cipriano Po (PV), Via Madre Teresa di Calcutta angolo Via Cantarana.

Indirizzo
Via Madre Teresa di Calcutta, 27043 San Cipriano Po PV, Italia, San Cipriano Po (PV)


Codice asta
4348313


Lotto
Lotto unico


Numero beni
1


Genere
Immobili


Categoria
Altra categoria


Valore di stima
-


Terreno

Piena proprietà per la quota intera di 1000/1000 di appezzamento di terreno parzialmente edifi-cabile sito in Comune di San Cipriano Po (PV), Via Madre Teresa di Calcutta angolo Via Cantarana.L’accesso al terreno si pratica direttamente dalla Via Madre Teresa di Calcutta che, in parte insiste sulla stessa particella.

Indirizzo
Via Madre Teresa di Calcutta, 27043 San Cipriano Po PV, Italia, San Cipriano Po (PV)


Piano
-


Disponibilità
-


Vani
-


Bagni
-


Metri quadri
1492,00


Certificazione energetica
-


Data udienza
26/05/2026 ore 11:00


Tipo di vendita
Senza incanto


Modalità di vendita
Asincrona telematica


Luogo
N.A. -


Luogo presentazione offerte
-


Termine presentazione offerte
25/05/2026 ore 12:00


Prezzo base
€ 29.100,00


Offerta minima
€ 21.825,00


Rialzo minimo in caso di gara
€ 1.000,00


Deposito cauzionale
10% del prezzo offerto


Deposito in conto spese
-


Tribunale
Pavia

Tipo di procedura
Espropriazione immobiliare (cartabia)

Ruolo
104/2025

Giudice
rizzi Erminio

Recapiti
-

Email
-

Delegato alla vendita
Magro Erika
(Procede alle operazioni di vendita)

Recapiti
-

Email
-

Custode giudiziario
Ivg vigevano 
(Gestisce la visita del bene)

Recapiti
-

Scheda COD. 4348313 - Pubblicata dal 27/03/2026

La presente scheda di vendita riporta integralmente informazioni e documenti pervenuti ufficialmente dal Ministero e dal professionista incaricato.


Pubblicazione autorizzata dall’Autorità competente, è vietata ogni ripubblicazione o riproduzione anche parziale


Ti interessa questa vendita?

Documentazione

Visualizza su mappa

Mappa geografica del bene

Punti di interesse

Fonte dati

Nel raggio di {{range}}Km

Loading...
  • {{ getIcon(poi.type) }} {{ poi.localized }}: {{poi.count}}
  • {{ getIcon(poi.type) }} {{ poi.localized }}: {{poi.count}}
Dati non disponibili