Astegiudiziarie.it è parte di Rete Aste Network

Accedi o registrati

Non sei ancora registrato?

Oppure

Accedi

Terreno

N.A., Sala Consilina (SA)

€ 12.750,00

Offerta minima € 9.562,50


Codice A4339654

Lotto 3

Data udienza 21/01/2026 ore 17:00

Termine presentazione offerte 20/01/2026 ore 17:00

Terreno

N.A., Sala Consilina (SA)

€ 12.750,00

Offerta minima € 9.562,50


Codice A4339654

Lotto 3

Data udienza 21/01/2026 ore 17:00

Termine presentazione offerte 20/01/2026 ore 17:00

Ti interessa questa vendita?

Documentazione

Visualizza su mappa

Mappa geografica del bene

Punti di interesse

Fonte dati

Nel raggio di {{range}}Km

Loading...
  • {{ getIcon(poi.type) }} {{ poi.localized }}: {{poi.count}}
  • {{ getIcon(poi.type) }} {{ poi.localized }}: {{poi.count}}
Dati non disponibili

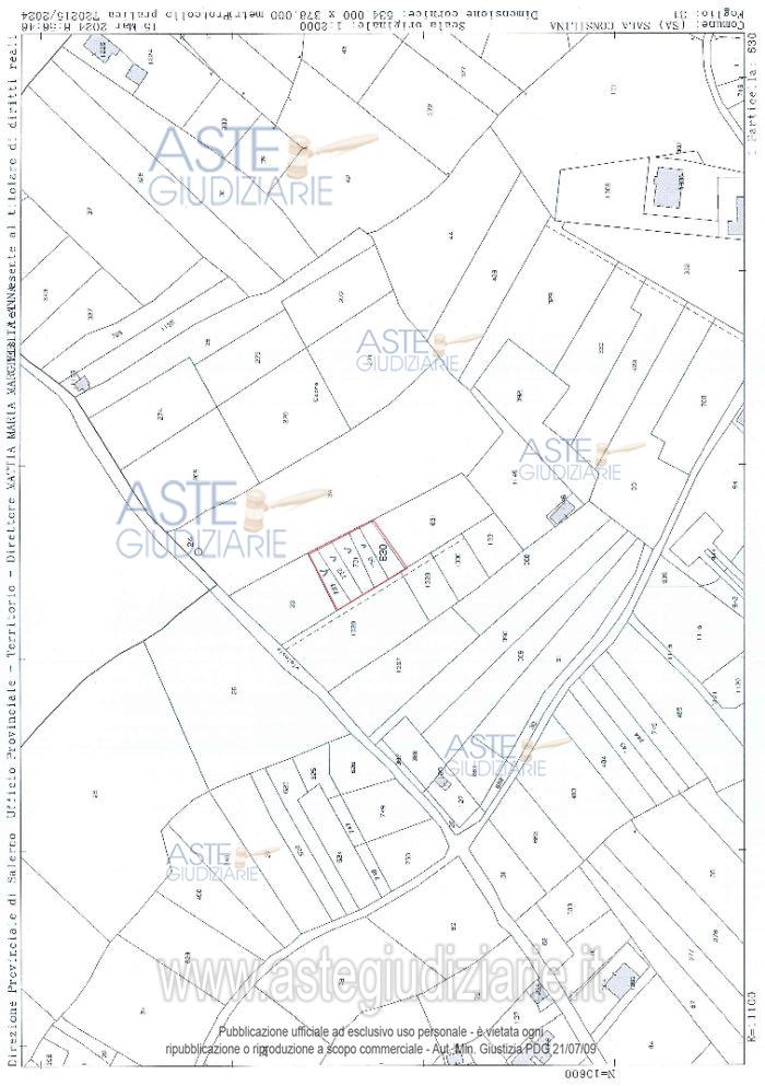
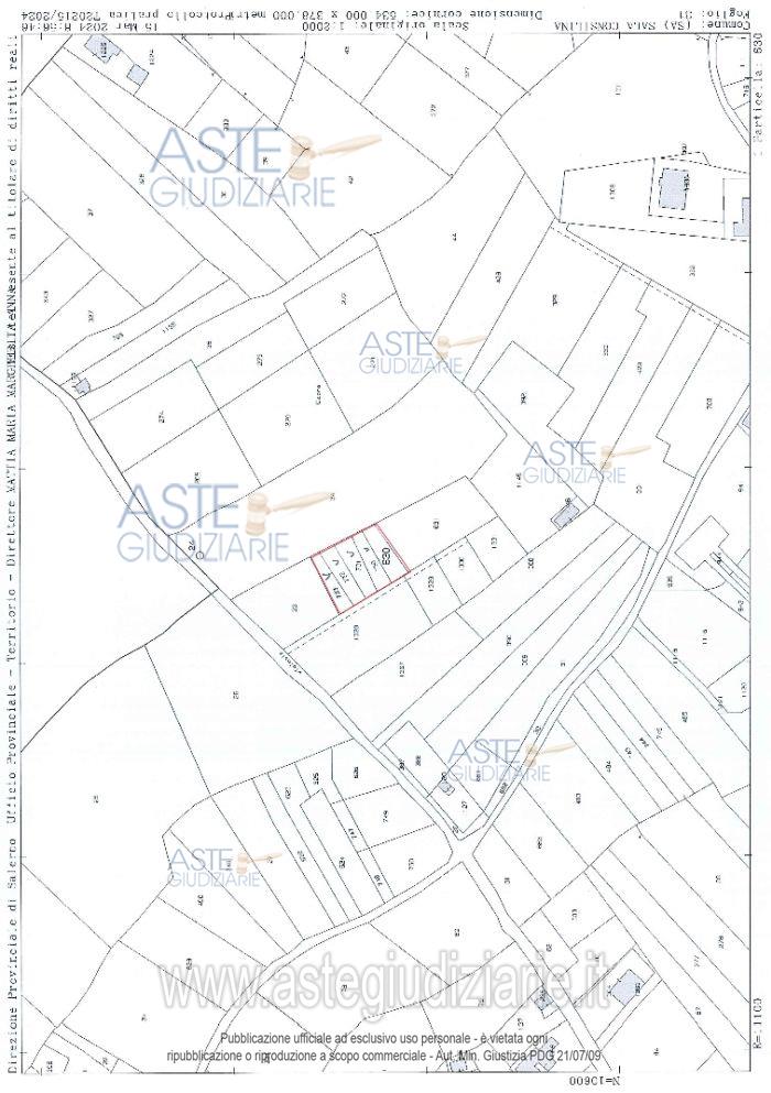
Terreni siti nel Comune di Sala Consilina (SA), individuati catastalmente al Foglio n°31 Particelle 630-730-731-732-733

Indirizzo
N.A., Sala Consilina (SA)


Codice asta
4339654


Lotto
3


Numero beni
2


Genere
Immobili


Categoria
Altra categoria


Valore di stima
-


Terreno

Terreni siti nel Comune di Sala Consilina (SA), individuati catastalmente al Foglio n°31 Particelle 630-730-731-732-733 ricadono in “zona E” del P.R.G. vigente, classificata come zona agricola e catastalmente come ULIVETO di classe 3. La stessa area ricade nel P.A.I. - Piano Stralcio per l'Assetto Idrogeologico- e non è sottoposta ad alcun vincolo. I terreni sono situati in zona periferica rispetto al centro abitato e risultano essere fra loro contigui. L’andamento del terreno dell’intera area si presenta con terrazzamenti, occupati da alberi di ulivo. Tutti i terreni occupano un’area complessiva di mq 1.275. Attualmente, i terreni sono incolti e in stato di abbandono.

Indirizzo
NN, Sala Consilina (SA)


Piano
-


Disponibilità
LIBERO


Vani
-


Bagni
-


Metri quadri
1275,00


Certificazione energetica
-


Dati catastali

Foglio:31, Sezione:TERRENO, Particella:630
Foglio:31, Sezione:TERRENO, Particella:730
Foglio:31, Sezione:TERRENO, Particella:731
Foglio:31, Sezione:TERRENO , Particella:732
Foglio:31, Sezione:TERRENO, Particella:733


Terreno

Terreni siti nel Comune di Sala Consilina (SA), individuati catastalmente al Foglio n°31 Particelle 630-730-731-732-733 ricadono in “zona E” del P.R.G. vigente, classificata come zona agricola e catastalmente come ULIVETO di classe 3. La stessa area ricade nel P.A.I. - Piano Stralcio per l'Assetto Idrogeologico- e non è sottoposta ad alcun vincolo. I terreni sono situati in zona periferica rispetto al centro abitato e risultano essere fra loro contigui. L’andamento del terreno dell’intera area si presenta con terrazzamenti, occupati da alberi di ulivo. Tutti i terreni occupano un’area complessiva di mq 1.275. Attualmente, i terreni sono incolti e in stato di abbandono.

Indirizzo
NN, Sala Consilina (SA)


Piano
-


Disponibilità
LIBERO


Vani
-


Bagni
-


Metri quadri
1275,00


Certificazione energetica
-


Dati catastali

Foglio:31, Sezione:TERRENO, Particella:630
Foglio:31, Sezione:TERRENO, Particella:730
Foglio:31, Sezione:TERRENO, Particella:731
Foglio:31, Sezione:TERRENO , Particella:732
Foglio:31, Sezione:TERRENO, Particella:733


Data udienza
21/01/2026 ore 17:00


Tipo di vendita
Senza incanto


Modalità di vendita
Sincrona telematica


Luogo
-


Luogo presentazione offerte
-


Termine presentazione offerte
20/01/2026 ore 17:00


Prezzo base
€ 12.750,00


Offerta minima
€ 9.562,50


Rialzo minimo in caso di gara
€ 250,00


Deposito cauzionale
10% del prezzo offerto


Deposito in conto spese
-


Tribunale
Lagonegro

Tipo di procedura
Contenzioso civile

Ruolo
1168/2021

Delegato alla vendita
Roselli Rossella
(Procede alle operazioni di vendita)
(Gestisce la visita del bene)

Recapiti
Tel. 3385695949

Scheda COD. 4339654 - Pubblicata dal 17/11/2025

La presente scheda di vendita riporta integralmente informazioni e documenti pervenuti ufficialmente dal Ministero e dal professionista incaricato.

Pubblicazione notarizzata su Blockchain


Pubblicazione autorizzata dall’Autorità competente, è vietata ogni ripubblicazione o riproduzione anche parziale


Ti interessa questa vendita?

Documentazione

Visualizza su mappa

Mappa geografica del bene

Punti di interesse

Fonte dati

Nel raggio di {{range}}Km

Loading...
  • {{ getIcon(poi.type) }} {{ poi.localized }}: {{poi.count}}
  • {{ getIcon(poi.type) }} {{ poi.localized }}: {{poi.count}}
Dati non disponibili