Astegiudiziarie.it è parte di Rete Aste Network

Accedi o registrati

Non sei ancora registrato?

Oppure

Accedi

Terreno

località S. Raffaele, Sala Consilina (SA)

€ 12.300,00

Offerta minima € 9.225,00


Codice A4339653

Lotto 2

Data udienza 21/01/2026 ore 17:00

Termine presentazione offerte 20/01/2026 ore 17:00

Terreno

località S. Raffaele, Sala Consilina (SA)

€ 12.300,00

Offerta minima € 9.225,00


Codice A4339653

Lotto 2

Data udienza 21/01/2026 ore 17:00

Termine presentazione offerte 20/01/2026 ore 17:00

Ti interessa questa vendita?

Documentazione

Visualizza su mappa

Mappa geografica del bene

Punti di interesse

Fonte dati

Nel raggio di {{range}}Km

Loading...
  • {{ getIcon(poi.type) }} {{ poi.localized }}: {{poi.count}}
  • {{ getIcon(poi.type) }} {{ poi.localized }}: {{poi.count}}
Dati non disponibili

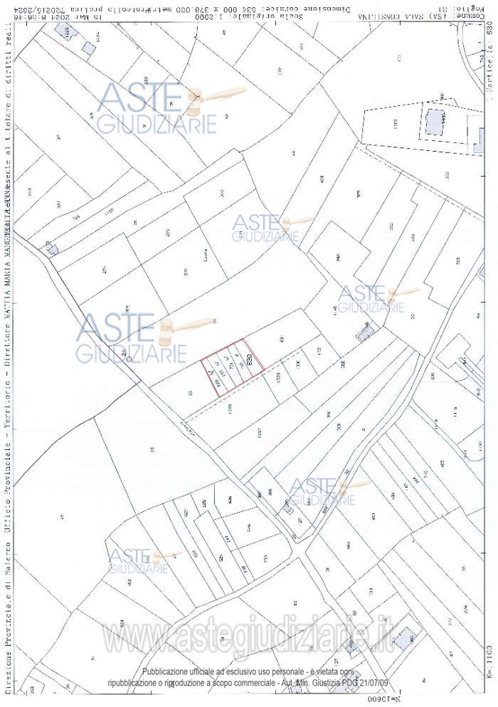
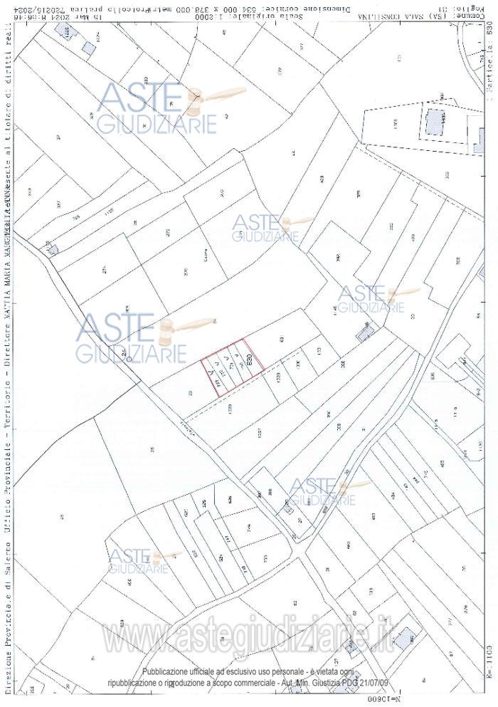
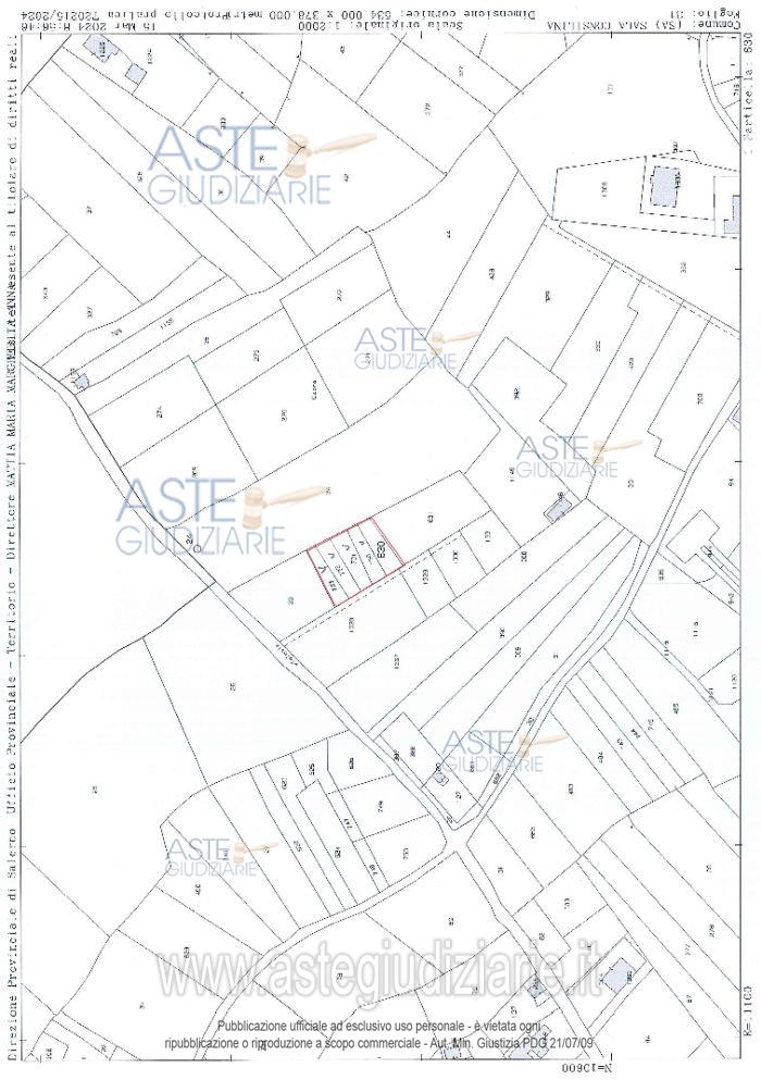
Terreni siti nel Comune di Sala Consilina (SA), individuati catastalmente al foglio n. 46, particelle nn. 2490, 2588, 2597, 2609, 3128, 3129, 3134

Indirizzo
località S. Raffaele, Sala Consilina (SA)


Codice asta
4339653


Lotto
2


Numero beni
2


Genere
Immobili


Categoria
Altra categoria


Valore di stima
-


Terreno

Terreni siti nel Comune di Sala Consilina (SA), individuati catastalmente al foglio n. 46, particelle nn. 2490, 2588, 2597, 2609, 3128, 3129, 3134. Tali beni sono siti in Sala Consilina (SA), nel centro storico, in località S. Raffaele e sono individuati in zona “A” (Centro storico) del P.R.G. vigente. Tale area non è sottoposta a nessun vincoli speciale e ricade nell'ambito del P.A.I. - Piano Stralcio per l'Assetto Idrogeologico. Il lotto così composto occupa una superficie di complessivi mq 2.460,00. Tali beni sono individuati catastalmente con qualità ULIVETO/SEMINATIVO di classe 4, tali beni versano in stato di abbandono

Indirizzo
località S. Raffaele, Sala Consilina (SA)


Piano
-


Disponibilità
LIBERO


Vani
-


Bagni
-


Metri quadri
2460,00


Certificazione energetica
-


Dati catastali

Foglio:46, Sezione:TERRENO, Particella:2490
Foglio:46, Sezione:TERRENO, Particella:2588
Foglio:46, Sezione:TERRENO, Particella:2597
Foglio:46, Sezione:TERRENO, Particella:2609
Foglio:46, Sezione:TERRENO, Particella:3128
Foglio:46, Sezione:TERRENO, Particella:3129
Foglio:46, Sezione:TERRENO, Particella:3134


Terreno

Terreni siti nel Comune di Sala Consilina (SA), individuati catastalmente al foglio n. 46, particelle nn. 2490, 2588, 2597, 2609, 3128, 3129, 3134. Tali beni sono siti in Sala Consilina (SA), nel centro storico, in località S. Raffaele e sono individuati in zona “A” (Centro storico) del P.R.G. vigente. Tale area non è sottoposta a nessun vincoli speciale e ricade nell'ambito del P.A.I. - Piano Stralcio per l'Assetto Idrogeologico. Il lotto così composto occupa una superficie di complessivi mq 2.460,00. Tali beni sono individuati catastalmente con qualità ULIVETO/SEMINATIVO di classe 4, tali beni versano in stato di abbandono

Indirizzo
località S. Raffaele, Sala Consilina (SA)


Piano
-


Disponibilità
LIBERO


Vani
-


Bagni
-


Metri quadri
2460,00


Certificazione energetica
-


Dati catastali

Foglio:46, Sezione:TERRENO, Particella:2490
Foglio:46, Sezione:TERRENO, Particella:2588
Foglio:46, Sezione:TERRENO, Particella:2597
Foglio:46, Sezione:TERRENO, Particella:2609
Foglio:46, Sezione:TERRENO, Particella:3128
Foglio:46, Sezione:TERRENO, Particella:3129
Foglio:46, Sezione:TERRENO, Particella:3134


Data udienza
21/01/2026 ore 17:00


Tipo di vendita
Senza incanto


Modalità di vendita
Sincrona telematica


Luogo
-


Luogo presentazione offerte
-


Termine presentazione offerte
20/01/2026 ore 17:00


Prezzo base
€ 12.300,00


Offerta minima
€ 9.225,00


Rialzo minimo in caso di gara
€ 1.000,00


Deposito cauzionale
10% del prezzo offerto


Deposito in conto spese
-


Tribunale
Lagonegro

Tipo di procedura
Contenzioso civile

Ruolo
1168/2021

Delegato alla vendita
Roselli Rossella
(Procede alle operazioni di vendita)
(Gestisce la visita del bene)

Recapiti
Tel. 3385695949

Scheda COD. 4339653 - Pubblicata dal 17/11/2025

La presente scheda di vendita riporta integralmente informazioni e documenti pervenuti ufficialmente dal Ministero e dal professionista incaricato.

Pubblicazione notarizzata su Blockchain


Pubblicazione autorizzata dall’Autorità competente, è vietata ogni ripubblicazione o riproduzione anche parziale


Ti interessa questa vendita?

Documentazione

Visualizza su mappa

Mappa geografica del bene

Punti di interesse

Fonte dati

Nel raggio di {{range}}Km

Loading...
  • {{ getIcon(poi.type) }} {{ poi.localized }}: {{poi.count}}
  • {{ getIcon(poi.type) }} {{ poi.localized }}: {{poi.count}}
Dati non disponibili