Astegiudiziarie.it è parte di Rete Aste Network

Accedi o registrati

Non sei ancora registrato?

Oppure

Accedi

Terreno

località s. Angelo, Sala Consilina (SA)

€ 6.517,00

Offerta minima € 4.887,75


Codice A4339650

Lotto 5

Data udienza 21/01/2026 ore 17:00

Termine presentazione offerte 20/01/2026 ore 17:00

Terreno

località s. Angelo, Sala Consilina (SA)

€ 6.517,00

Offerta minima € 4.887,75


Codice A4339650

Lotto 5

Data udienza 21/01/2026 ore 17:00

Termine presentazione offerte 20/01/2026 ore 17:00

Ti interessa questa vendita?

Documentazione

Visualizza su mappa

Mappa geografica del bene

Punti di interesse

Fonte dati

Nel raggio di {{range}}Km

Loading...
  • {{ getIcon(poi.type) }} {{ poi.localized }}: {{poi.count}}
  • {{ getIcon(poi.type) }} {{ poi.localized }}: {{poi.count}}
Dati non disponibili

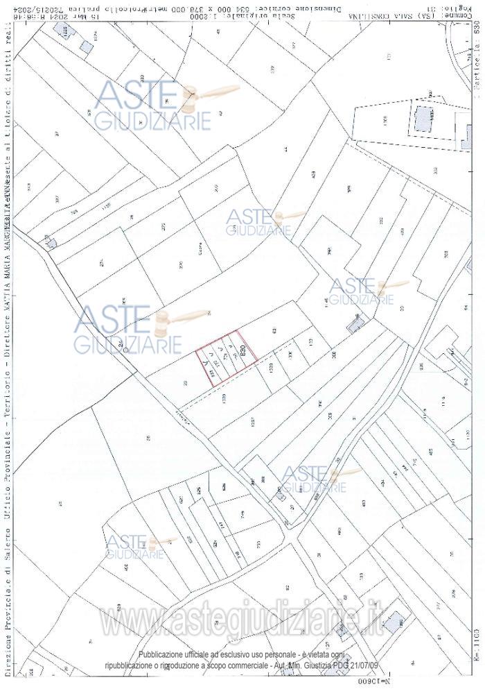
Terreni siti nel Comune di Sala Consilina (SA), individuati catastalmente al Foglio n°43 Particelle 186-289

Indirizzo
località s. Angelo, Sala Consilina (SA)


Codice asta
4339650


Lotto
5


Numero beni
2


Genere
Immobili


Categoria
Altra categoria


Valore di stima
-


Terreno

Terreni siti nel Comune di Sala Consilina (SA), individuati catastalmente al Foglio n°43 Particelle 186-289 I terreni sopra indicati ricadono in “zona E” del P.R.G. vigente, classificata come zona agricola e catastalmente come VIGNETO di classe 2. La stessa area ricade nel P.A.I. - Piano Stralcio per l'Assetto Idrogeologico- e non è sottoposta ad alcun vincolo. I due terreni sono tra di loro contigui e sono ubicati in zona periferica rispetto al centro urbanizzato e storico. Dal punto di vista morfologico, gli stessi risultano essere pianeggianti e risultano essere accessibili da strada comunale. Gli stessi hanno una superficie commerciale complessiva pari a mq 931,00. Attualmente, i terreni sono incolti e in stato di abbandono.

Indirizzo
località s. Angelo, Sala Consilina (SA)


Piano
-


Disponibilità
LIBERO


Vani
-


Bagni
-


Metri quadri
931,00


Certificazione energetica
-


Dati catastali

Foglio:43, Sezione:terreno, Particella:186
Foglio:43, Sezione:terreno, Particella:289


Terreno

Terreni siti nel Comune di Sala Consilina (SA), individuati catastalmente al Foglio n°43 Particelle 186-289 I terreni sopra indicati ricadono in “zona E” del P.R.G. vigente, classificata come zona agricola e catastalmente come VIGNETO di classe 2. La stessa area ricade nel P.A.I. - Piano Stralcio per l'Assetto Idrogeologico- e non è sottoposta ad alcun vincolo. I due terreni sono tra di loro contigui e sono ubicati in zona periferica rispetto al centro urbanizzato e storico. Dal punto di vista morfologico, gli stessi risultano essere pianeggianti e risultano essere accessibili da strada comunale. Gli stessi hanno una superficie commerciale complessiva pari a mq 931,00. Attualmente, i terreni sono incolti e in stato di abbandono.

Indirizzo
località s. Angelo, Sala Consilina (SA)


Piano
-


Disponibilità
LIBERO


Vani
-


Bagni
-


Metri quadri
931,00


Certificazione energetica
-


Dati catastali

Foglio:43, Sezione:terreno, Particella:186
Foglio:43, Sezione:terreno, Particella:289


Data udienza
21/01/2026 ore 17:00


Tipo di vendita
Senza incanto


Modalità di vendita
Sincrona telematica


Luogo
-


Luogo presentazione offerte
-


Termine presentazione offerte
20/01/2026 ore 17:00


Prezzo base
€ 6.517,00


Offerta minima
€ 4.887,75


Rialzo minimo in caso di gara
€ 250,00


Deposito cauzionale
10% del prezzo offerto


Deposito in conto spese
-


Tribunale
Lagonegro

Tipo di procedura
Contenzioso civile

Ruolo
1168/2021

Delegato alla vendita
Roselli Rossella
(Procede alle operazioni di vendita)
(Gestisce la visita del bene)

Recapiti
Tel. 3385695949

Scheda COD. 4339650 - Pubblicata dal 17/11/2025

La presente scheda di vendita riporta integralmente informazioni e documenti pervenuti ufficialmente dal Ministero e dal professionista incaricato.

Pubblicazione notarizzata su Blockchain


Pubblicazione autorizzata dall’Autorità competente, è vietata ogni ripubblicazione o riproduzione anche parziale


Ti interessa questa vendita?

Documentazione

Visualizza su mappa

Mappa geografica del bene

Punti di interesse

Fonte dati

Nel raggio di {{range}}Km

Loading...
  • {{ getIcon(poi.type) }} {{ poi.localized }}: {{poi.count}}
  • {{ getIcon(poi.type) }} {{ poi.localized }}: {{poi.count}}
Dati non disponibili