Astegiudiziarie.it è parte di Rete Aste Network

Accedi o registrati

Non sei ancora registrato?

Oppure

Accedi

Terreno

Località Laudico-Scarpetta, Roccagloriosa (SA)

€ 134.881,52

Offerta minima € 101.161,14


Codice A4228346

Lotto Lotto unico

Data vendita 22/05/2026 ore 17:00

Termine presentazione offerte 21/05/2026 ore 12:00

Terreno

Località Laudico-Scarpetta, Roccagloriosa (SA)

€ 134.881,52

Offerta minima € 101.161,14


Codice A4228346

Lotto Lotto unico

Data Vendita 22/05/2026 ore 17:00

Termine presentazione offerte 21/05/2026 ore 12:00

Ti interessa questa vendita?

Documentazione

Visualizza su mappa

Mappa geografica del bene

Punti di interesse

Fonte dati

Nel raggio di {{range}}Km

Loading...
  • {{ getIcon(poi.type) }} {{ poi.localized }}: {{poi.count}}
  • {{ getIcon(poi.type) }} {{ poi.localized }}: {{poi.count}}
Dati non disponibili

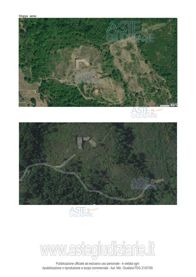
Terreni tra loro confinanti, con fabbricati, siti in Comune di Roccagloriosa alla località Laudico-Scarpetta, censiti al C.T. di detto Comune al Fg. 37, p.lla 38, 39, 65 e 67 per un totale di 183.767mq., di cui 22.600 mq porz. AA vigneto e 161.167 mq porz. AB seminativo-arborato, condeposito agricolo di 88 mq, superficie catastale 116 mq,cat. C/2, cl. 3, P.T., fabbricato in corso di costruzione per struttura agro-ricettiva con superficienetta di 842 mq. e fabbricato.

Indirizzo
Località Laudico-Scarpetta, Roccagloriosa (SA)


Codice asta
4228346


Lotto
Lotto unico


Numero beni
1


Genere
Immobili


Categoria
Altra categoria


Valore di stima
-


Terreno

Terreni tra loro confinanti, con fabbricati, siti in Comune di Roccagloriosa alla località Laurico- Scarpetta, censiti al C.T. di detto Comune al Fg. 37, p.lla 38, 39, 65 e 67 per un totale di 183.767 mq., di cui 22.600 mq porz. AA vigneto e 161.167 mq porz. AB seminativo-arborato, con deposito agricolo censito al C.F. al Fg. 37, p.lla 61, sub.1, di 88 mq, superficie catastale 116 mq, cat. C/2, cl. 3, P.T., fabbricato in corso di costruzione per struttura agro-ricettiva con superficie netta di 842 mq. censito al C.F. al Fg. 37, p.lla 66, cat. F3, P.T.1 e fabbricato censito al C.F. al Fg. 37, p.lla 70, sub. 1, cat. C/2, consistenza 25 mq, cl. 4, rendita € 41,32, P.T.

Indirizzo
Località laudico-scarpetta, Roccagloriosa (SA)


Piano
-


Disponibilità
-


Vani
-


Bagni
-


Metri quadri
183767,00


Certificazione energetica
-


Data vendita
22/05/2026 ore 17:00


Tipo di vendita
Senza incanto


Modalità di vendita
Presso il venditore


Luogo
via San Salvatore n. 35 - Torchiara 84076


Luogo presentazione offerte
-


Termine presentazione offerte
21/05/2026 ore 12:00


Prezzo base
€ 134.881,52


Offerta minima
€ 101.161,14


Rialzo minimo in caso di gara
-


Deposito cauzionale
10% del prezzo offerto


Deposito in conto spese
-


Tribunale
Vallo della Lucania

Tipo di procedura
Esecuzione immobiliare post legge 80

Ruolo
87/2019

Giudice
Giglio Roberta

Recapiti
-

Email
-

Delegato alla vendita
Salerno Umberto
(Procede alle operazioni di vendita)

Recapiti
-

Email
-

Custode giudiziario
Salerno Umberto
(Gestisce la visita del bene)

Recapiti
Cell. 3921008307

Scheda COD. 4228346 - Pubblicata dal 13/03/2026

La presente scheda di vendita riporta integralmente informazioni e documenti pervenuti ufficialmente dal Ministero e dal professionista incaricato.

Pubblicazione notarizzata su Blockchain


Pubblicazione autorizzata dall’Autorità competente, è vietata ogni ripubblicazione o riproduzione anche parziale


Ti interessa questa vendita?

Documentazione

Visualizza su mappa

Mappa geografica del bene

Storico delle vendite

Data venditaPrezzo base
11/03/2022€ 734.648,80
16/06/2022€ 587.719,04
05/05/2023€ 440.789,28
08/09/2023€ 330.591,96
12/07/2024€ 264.473,57
15/07/2025€ 198.355,18
12/12/2025€ 158.684,14
22/05/2026€ 134.881,52

Punti di interesse

Fonte dati

Nel raggio di {{range}}Km

Loading...
  • {{ getIcon(poi.type) }} {{ poi.localized }}: {{poi.count}}
  • {{ getIcon(poi.type) }} {{ poi.localized }}: {{poi.count}}
Dati non disponibili