Astegiudiziarie.it è parte di Rete Aste Network

Accedi o registrati

Non sei ancora registrato?

Oppure

Accedi

Terreno

contrada Guardiana, Portopalo di Capo Passero (SR)

€ 36.000,00

Offerta minima € 27.000,00


Codice A4347948

Lotto Lotto unico

Data udienza 26/06/2026 ore 09:00

Termine presentazione offerte 25/06/2026 ore 12:00

Terreno

contrada Guardiana, Portopalo di Capo Passero (SR)

€ 36.000,00

Offerta minima € 27.000,00


Codice A4347948

Lotto Lotto unico

Data udienza 26/06/2026 ore 09:00

Termine presentazione offerte 25/06/2026 ore 12:00

Ti interessa questa vendita?

Documentazione

Visualizza su mappa

Mappa geografica del bene

Punti di interesse

Fonte dati

Nel raggio di {{range}}Km

Loading...
  • {{ getIcon(poi.type) }} {{ poi.localized }}: {{poi.count}}
  • {{ getIcon(poi.type) }} {{ poi.localized }}: {{poi.count}}
Dati non disponibili

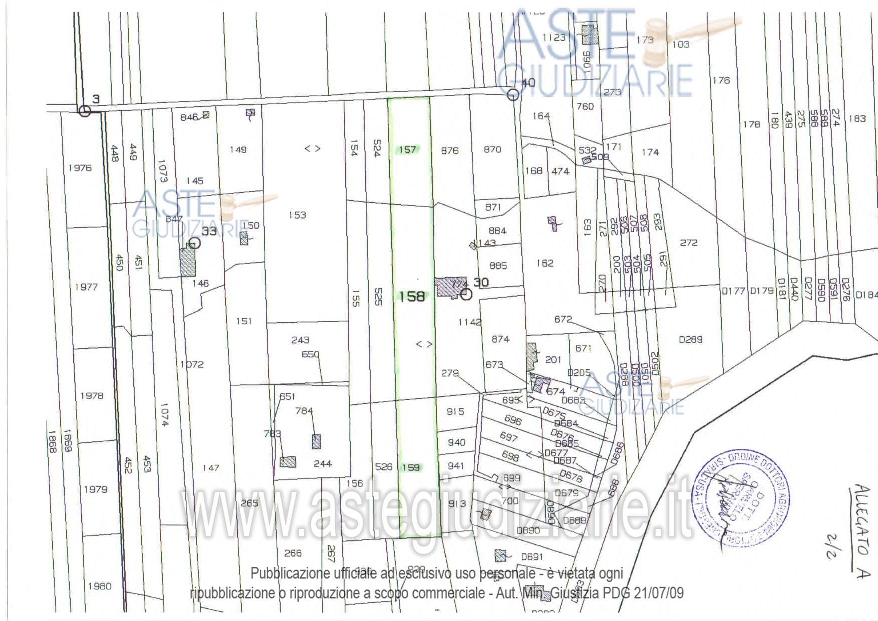
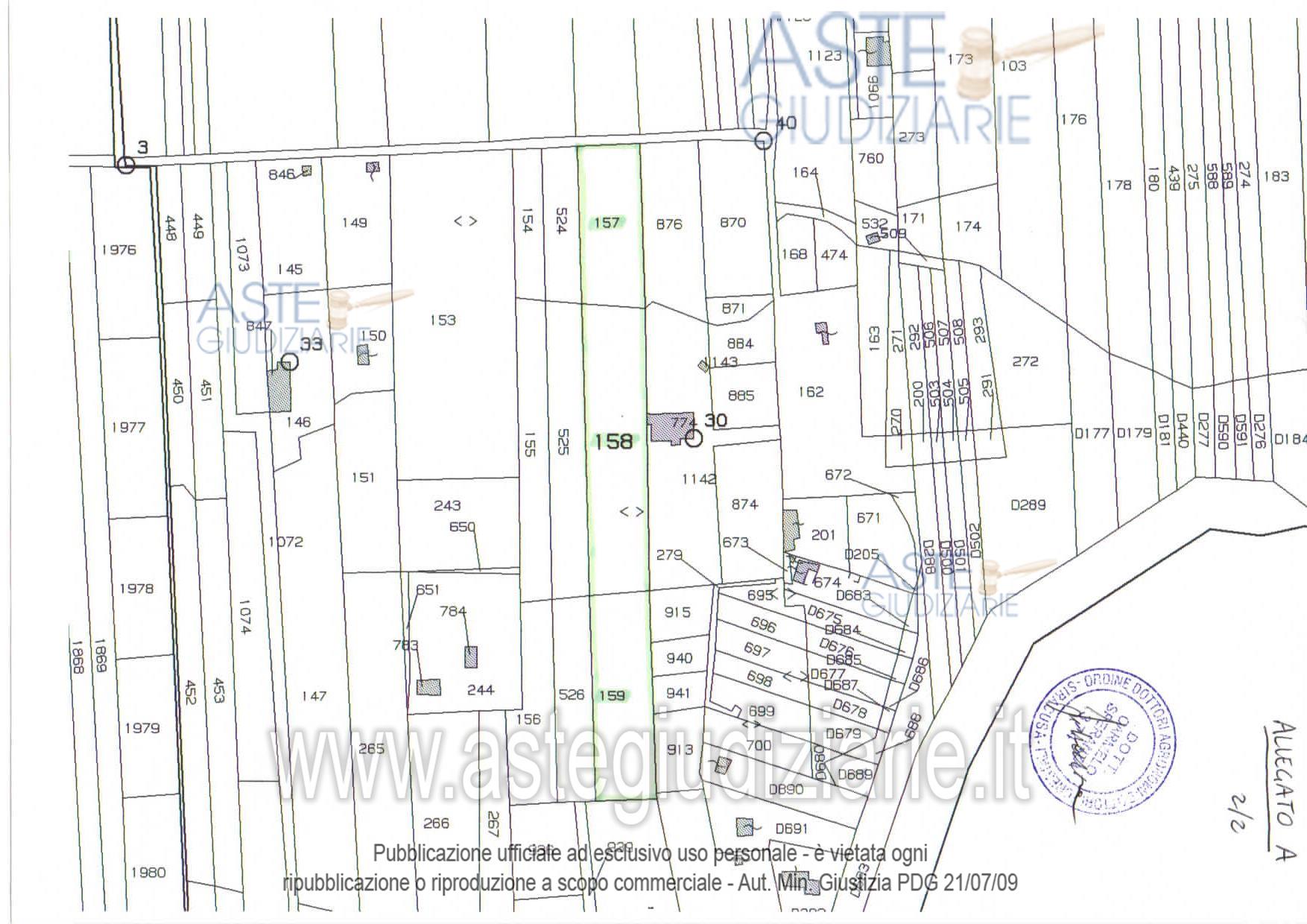
Piena proprietà di un terreno nella contrada “Guardiana” di Portopalo di Capo Passero, con sovrastante fabbricato rustico, un casotto e con pozzo freatico.Il terreno nel NCT del predetto Comune al foglio 41, p.lle 157-158-159, con sup. cat. complessiva di 84,66 are. Il fabbricato nel NCEU del Comune di Portopalo di Capo Passero al foglio 41,p.lla 1214 sub 1, Categoria A/2, Classe U, consistenza 4,5 vani, contrada Guardiana piano T, rendita €. 453,19; Il casotto e il pozzo non sono censiti in catasto.

Indirizzo
contrada Guardiana, Portopalo di Capo Passero (SR)


Codice asta
4347948


Lotto
Lotto unico


Numero beni
1


Genere
Immobili


Categoria
Altra categoria


Valore di stima
-


Terreno

Piena proprietà di un terreno nella contrada “Guardiana” diPortopalo di Capo Passero, di circa are 84,66, con sovrastante fabbricato allo statorustico, un casotto allo stato grezzo atto ad ospitare l’impianto idraulico di mq 9,20circa, e con pozzo freatico.Il terreno nel NCT del Comune di Portopalo di Capo Passero al foglio 41, particelle157-158-159, con superficie catastale complessiva di 84,66 are, reddito dominicale€. 31,40 e reddito agrario €. 17,51;Il fabbricato nel NCEU del Comune di Portopalo di Capo Passero al foglio 41,particella 1214 sub 1, Categoria A/2, Classe U, consistenza 4,5 vani, contradaGuardiana piano T, rendita €. 453,19;Il casotto e il pozzo non sono censiti in catasto. Dal certificato di destinazione urbanistica in atti, tutte leparticelle del terreno ricadono in “Zona E” (Zona Agricola E). Il CTU ha dichiaratoche la categoria catastale attribuita al fabbricato non risponde allo stato di fatto e lastruttura andrebbe denunciata come “unità in corso di costruzione” ovvero come“unità collabente”, mentre il locale tecnico non risulta nell’estratto catastale e ilpozzo sembra regolarmente denunciato.

Indirizzo
Via Guardiana Contrada, 96010 Portopalo di Capo Passero SR, Italia, Portopalo di Capo Passero (SR)


Piano
-


Disponibilità
LIBERO


Vani
-


Bagni
-


Metri quadri
-


Certificazione energetica
-


Dati catastali

Foglio:41, Sezione:terreni, Particella:157
Foglio:41, Sezione:terreni, Particella:158
Foglio:41, Sezione:terreni, Particella:159
Foglio:41, Sezione:fabbricati, Particella:1214, Subalterno:1


Data udienza
26/06/2026 ore 09:00


Tipo di vendita
Senza incanto


Modalità di vendita
Sincrona mista


Luogo
viale Santa Panagia n. 109 presso il Palazzo di Giustizia - Sala aste telematiche - Livello 0 - corpo B - stanza 27 - Siracusa 96100


Luogo presentazione offerte
-


Termine presentazione offerte
25/06/2026 ore 12:00


Prezzo base
€ 36.000,00


Offerta minima
€ 27.000,00


Rialzo minimo in caso di gara
€ 2.000,00


Deposito cauzionale
-


Deposito in conto spese
-


Tribunale
Siracusa

Tipo di procedura
Esecuzione immobiliare post legge 80

Ruolo
157/2012

Giudice
Cultrera Concita

Recapiti
-

Email
-

Delegato alla vendita
D'asaro Dario
(Procede alle operazioni di vendita)

Recapiti
Cell. 3387072194
Tel. 0931491870

Email
dario.dasaro@gmail.com

Custode giudiziario
D'asaro Dario
(Gestisce la visita del bene)

Recapiti
Cell. 3387072194
Tel. 0931491870

Scheda COD. 4347948 - Pubblicata dal 27/03/2026

La presente scheda di vendita riporta integralmente informazioni e documenti pervenuti ufficialmente dal Ministero e dal professionista incaricato.

Pubblicazione notarizzata su Blockchain


Pubblicazione autorizzata dall’Autorità competente, è vietata ogni ripubblicazione o riproduzione anche parziale


Ti interessa questa vendita?

Documentazione

Visualizza su mappa

Mappa geografica del bene

Punti di interesse

Fonte dati

Nel raggio di {{range}}Km

Loading...
  • {{ getIcon(poi.type) }} {{ poi.localized }}: {{poi.count}}
  • {{ getIcon(poi.type) }} {{ poi.localized }}: {{poi.count}}
Dati non disponibili