Astegiudiziarie.it è parte di Rete Aste Network

Accedi o registrati

Non sei ancora registrato?

Oppure

Accedi

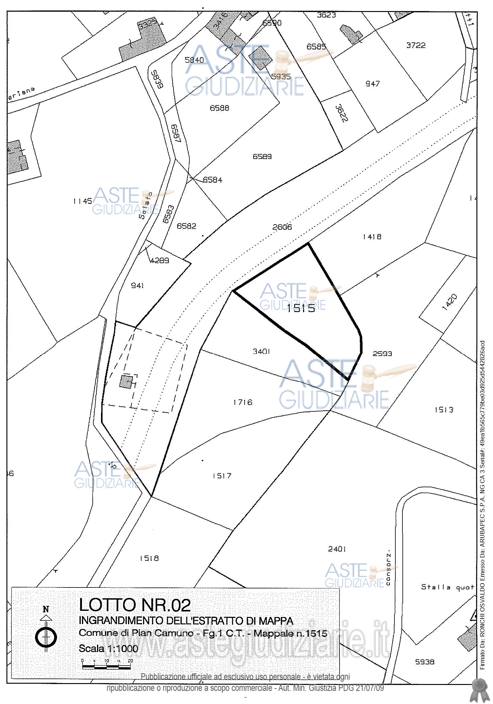
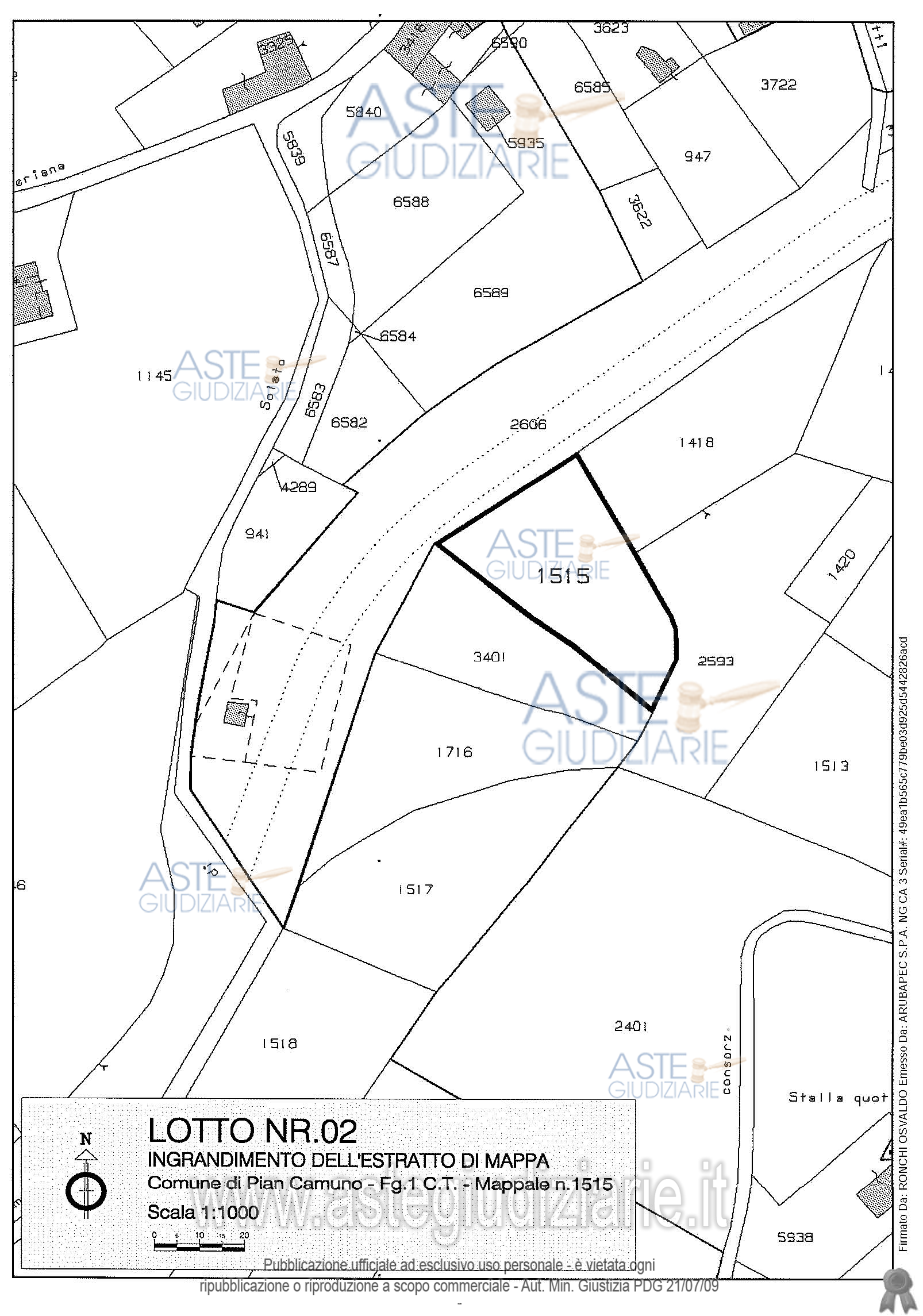
Terreno

Frazione Solato, Via Degli Alpini, Pian Camuno (BS)

€ 630,09

Offerta minima € 472,57


Codice A4261251

Lotto 2

Data udienza 21/05/2026 ore 10:30

Termine presentazione offerte 20/05/2026 ore 12:00

Terreno

Frazione Solato, Via Degli Alpini, Pian Camuno (BS)

€ 630,09

Offerta minima € 472,57


Codice A4261251

Lotto 2

Data udienza 21/05/2026 ore 10:30

Termine presentazione offerte 20/05/2026 ore 12:00

Ti interessa questa vendita?

Documentazione

Visualizza su mappa

Mappa geografica del bene

Punti di interesse

Fonte dati

Nel raggio di {{range}}Km

Loading...
  • {{ getIcon(poi.type) }} {{ poi.localized }}: {{poi.count}}
  • {{ getIcon(poi.type) }} {{ poi.localized }}: {{poi.count}}
Dati non disponibili

Terreno boschivo. Competono le proporzionali quote delle parti comuni ai sensi di legge.

Indirizzo
Frazione Solato, Via Degli Alpini, Pian Camuno (BS)


Codice asta
4261251


Lotto
2


Numero beni
1


Genere
Immobili


Categoria
Altra categoria


Valore di stima
-


Terreno

Terreno boschivo.

Indirizzo
Frazione Solato, Via Degli Alpini, Pian Camuno (BS)


Piano
-


Disponibilità
-


Vani
-


Bagni
-


Metri quadri
867,00


Certificazione energetica
-


Data udienza
21/05/2026 ore 10:30


Tipo di vendita
Senza incanto


Modalità di vendita
Asincrona telematica


Luogo
-


Luogo presentazione offerte
-


Termine presentazione offerte
20/05/2026 ore 12:00


Prezzo base
€ 630,09


Offerta minima
€ 472,57


Rialzo minimo in caso di gara
€ 100,00


Deposito cauzionale
10% del prezzo offerto


Deposito in conto spese
-


Tribunale
Brescia

Tipo di procedura
Esecuzione immobiliare post legge 80

Ruolo
33/2016

Delegato alla vendita
De paoli ambrosi Roberta
(Procede alle operazioni di vendita)

Recapiti
-

Email
rdepaoliambrosi@notariato.it

Custode giudiziario
Istituto vendite giudiziarie di brescia soccov srl 
(Gestisce la visita del bene)

Recapiti
Tel. 030348410

Scheda COD. 4261251 - Pubblicata dal 26/03/2026

La presente scheda di vendita riporta integralmente informazioni e documenti pervenuti ufficialmente dal Ministero e dal professionista incaricato.

Pubblicazione notarizzata su Blockchain


Pubblicazione autorizzata dall’Autorità competente, è vietata ogni ripubblicazione o riproduzione anche parziale


Ti interessa questa vendita?

Documentazione

Visualizza su mappa

Mappa geografica del bene

Storico delle vendite

Data venditaPrezzo base
24/01/2023€ 5.057,50
21/09/2023€ 3.793,12
14/12/2023€ 2.844,84
20/06/2024€ 2.133,63
17/06/2025€ 1.493,54
21/10/2025€ 1.120,16
19/02/2026€ 840,12
21/05/2026€ 630,09

Punti di interesse

Fonte dati

Nel raggio di {{range}}Km

Loading...
  • {{ getIcon(poi.type) }} {{ poi.localized }}: {{poi.count}}
  • {{ getIcon(poi.type) }} {{ poi.localized }}: {{poi.count}}
Dati non disponibili