Astegiudiziarie.it è parte di Rete Aste Network

Accedi o registrati

Non sei ancora registrato?

Oppure

Accedi

Terreno

località Prati e Gorili, Montescudaio (PI)

€ 18.750,00

Offerta minima € 18.750,00


Codice A4347147

Lotto 10

Data udienza 22/05/2026 ore 15:30

Termine presentazione offerte 21/05/2026 ore 12:00

Terreno

località Prati e Gorili, Montescudaio (PI)

€ 18.750,00

Offerta minima € 18.750,00


Codice A4347147

Lotto 10

Data udienza 22/05/2026 ore 15:30

Termine presentazione offerte 21/05/2026 ore 12:00

Ti interessa questa vendita?

Documentazione

Visualizza su mappa

Mappa geografica del bene

Punti di interesse

Fonte dati

Nel raggio di {{range}}Km

Loading...
  • {{ getIcon(poi.type) }} {{ poi.localized }}: {{poi.count}}
  • {{ getIcon(poi.type) }} {{ poi.localized }}: {{poi.count}}
Dati non disponibili

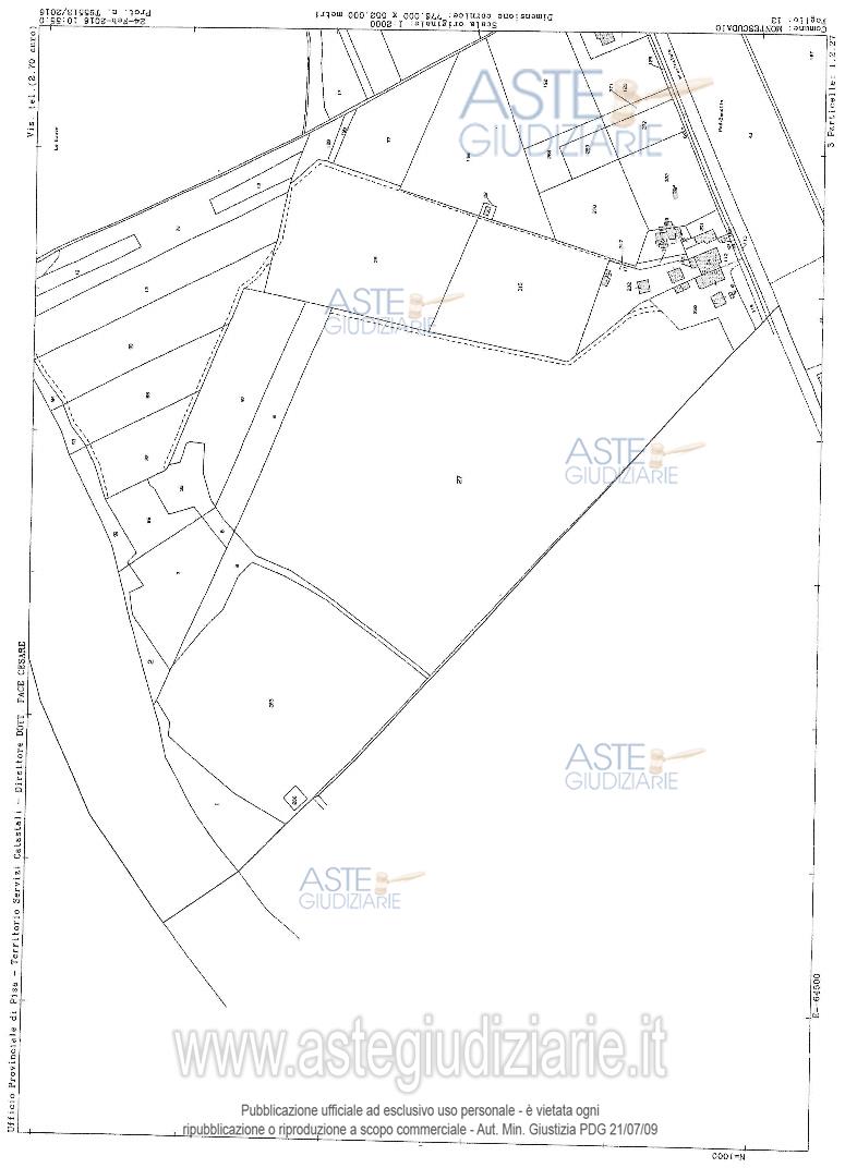
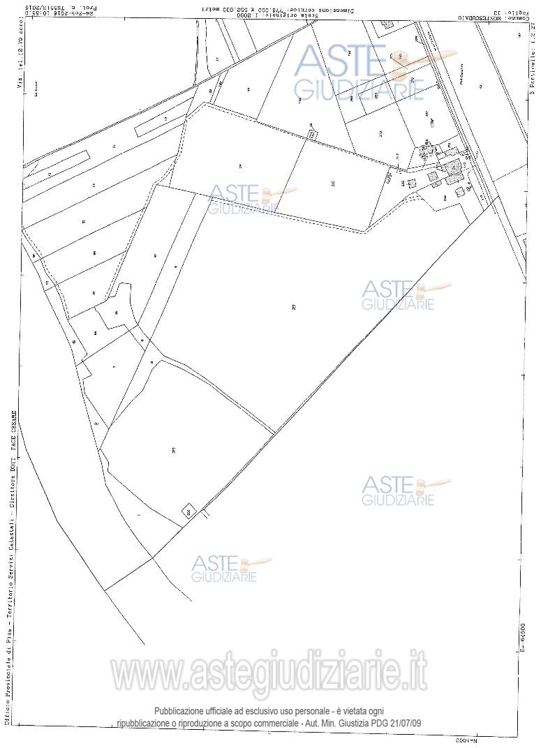
Terreno agricolo, posto in Comune di Montescudaio, località Prati e Gorili, non lontano dall'exPodere la Bandita (vd. Lotto 4); è un terreno posto a nord rispetto ad una precedente coltivazione a cava(detta anche cava Ceppatelli), al di là del lago artificiale formato per la sistemazione ambientale dopo talecoltivazione.

Indirizzo
località Prati e Gorili, Montescudaio (PI)


Codice asta
4347147


Lotto
10


Numero beni
1


Genere
Immobili


Categoria
Altra categoria


Valore di stima
-


Terreno

Terreno agricolo, posto in Comune di Montescudaio, località Prati e Gorili, non lontano dall'exPodere la Bandita (vd. Lotto 4); è un terreno posto a nord rispetto ad una precedente coltivazione a cava(detta anche cava Ceppatelli), al di là del lago artificiale formato per la sistemazione ambientale dopo tale coltivazione.

Indirizzo
località Prati e Gorili, Montescudaio (PI)


Piano
-


Disponibilità
-


Vani
-


Bagni
-


Metri quadri
16680,00


Certificazione energetica
-


Data udienza
22/05/2026 ore 15:30


Tipo di vendita
Senza incanto


Modalità di vendita
Asincrona telematica


Luogo
N.A. -


Luogo presentazione offerte
-


Termine presentazione offerte
21/05/2026 ore 12:00


Prezzo base
€ 18.750,00


Offerta minima
€ 18.750,00


Rialzo minimo in caso di gara
€ 1.000,00


Deposito cauzionale
10% del prezzo offerto


Deposito in conto spese
-


Tribunale
Livorno

Tipo di procedura
Liquidazione giudiziale(cci)

Ruolo
12/2025

Curatore
Del tredici Patrizia
(Procede alle operazioni di vendita)

Recapiti
-

Email
-

Custode giudiziario
Del tredici Patrizia
(Gestisce la visita del bene)

Recapiti
Tel. 0586889356

Scheda COD. 4347147 - Pubblicata dal 13/03/2026

La presente scheda di vendita riporta integralmente informazioni e documenti pervenuti ufficialmente dal Ministero e dal professionista incaricato.

Pubblicazione notarizzata su Blockchain


Pubblicazione autorizzata dall’Autorità competente, è vietata ogni ripubblicazione o riproduzione anche parziale



Attenzione: Non è dovuto alcun compenso (né a titolo di intermediazione, né per vedere l’immobile, né per ricevere istruzioni sulle modalità di presentazione dell’offerta, né a nessun altro titolo), se ci si rivolge a persone incaricate dal Tribunale (custode, professionista delegato, curatore, società incaricata di gestire la vendita). La pubblicità relativa a questo bene immobile, venduto dal Tribunale nella procedura indicata, potrebbe essere inserita su portali immobiliari, anche da altri soggetti non incaricati dal Tribunale. Se l’interessato all’acquisto si rivolge a questi ultimi, potrebbe essergli richiesto di pagare spese o compensi di mediazione o consulenza.


Ti interessa questa vendita?

Documentazione

Visualizza su mappa

Mappa geografica del bene

Punti di interesse

Fonte dati

Nel raggio di {{range}}Km

Loading...
  • {{ getIcon(poi.type) }} {{ poi.localized }}: {{poi.count}}
  • {{ getIcon(poi.type) }} {{ poi.localized }}: {{poi.count}}
Dati non disponibili