Astegiudiziarie.it è parte di Rete Aste Network

Accedi o registrati

Non sei ancora registrato?

Oppure

Accedi

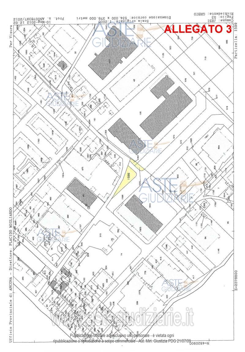
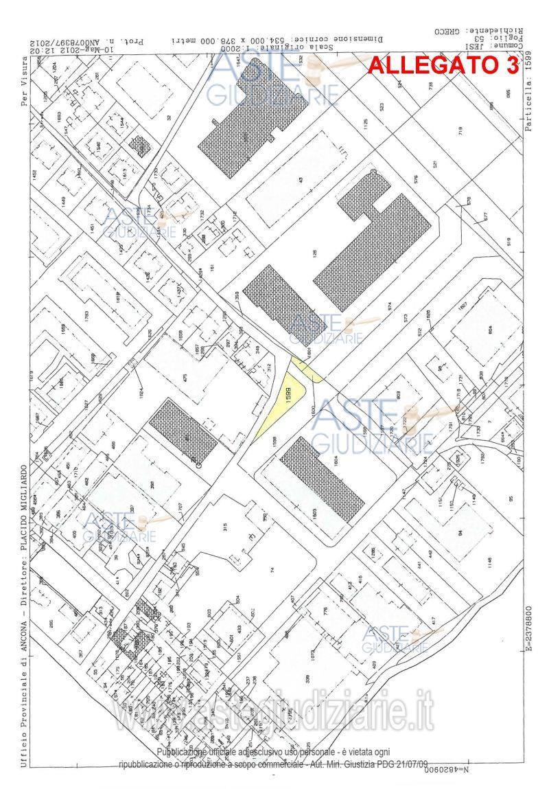
giudiziariagiudiziariaTribunale di ANCONAPROCEDURE CONCORSUALIFALLIMENTARE (NUOVO RITO)382019CuratoreCamilloCatana vallemanifalsefalseGiudiceGiulianaFilippellofalsefalseCuratorePaoloBortoluzzifalsefalseSoggetto specializzato alla venditaAste giudiziarie inlinea s.p.a.MNTGLC63E08E625Hvendite@astegiudiziarie.ittruetrue241695528IMMOBILIALTRA CATEGORIAVia Cartiere Vecchie - Via Padre Vincenzo PellegriniJesiAnconaMarcheItaliaQuota pari a 1/1 della piena proprietà di appezzamento di terreno non edificabile di complessivi 521mq, in due frustoli ad angolo tra Via Cartiere Vecchie e Via Padre Vincenzo Pellegrini.3117744ALTRA CATEGORIATERRENOVia Cartiere Vecchie - Via Padre Vincenzo PellegriniJesiAnconaMarcheItaliaQuota pari a 1/1 della piena proprietà di appezzamento di terreno non edificabile di complessivi 521mq, in due frustoli ad angolo tra Via Cartiere Vecchie e Via Padre Vincenzo Pellegrini.LIBER5212026-06-10T10:00:00SENZA INCANTOASINCRONA TELEMATICAN.A.2.692,632.019,471.000,002026-06-09T12:00:00sito pubblicitahttps://www.astegiudiziarie.ithttps://www.astegiudiziarie.itgestore delle venditehttp://www.astetelematiche.ithttp://www.astetelematiche.it2026-03-31

Terreno

Via Cartiere Vecchie - Via Padre Vincenzo Pellegrini, Jesi (AN)

€ 2.692,63

Offerta minima € 2.019,47


Codice A4247700

Lotto 28

Data udienza 10/06/2026 ore 10:00

Termine presentazione offerte 09/06/2026 ore 12:00

Terreno

Via Cartiere Vecchie - Via Padre Vincenzo Pellegrini, Jesi (AN)

€ 2.692,63

Offerta minima € 2.019,47


Codice A4247700

Lotto 28

Data udienza 10/06/2026 ore 10:00

Termine presentazione offerte 09/06/2026 ore 12:00

Ti interessa questa vendita?

Documentazione

Visualizza su mappa

Mappa geografica del bene

Punti di interesse

Fonte dati

Nel raggio di {{range}}Km

Loading...
  • {{ getIcon(poi.type) }} {{ poi.localized }}: {{poi.count}}
  • {{ getIcon(poi.type) }} {{ poi.localized }}: {{poi.count}}
Dati non disponibili

Quota pari a 1/1 della piena proprietà di appezzamento di terreno non edificabile di complessivi 521mq, in due frustoli ad angolo tra Via Cartiere Vecchie e Via Padre Vincenzo Pellegrini.

Indirizzo
Via Cartiere Vecchie - Via Padre Vincenzo Pellegrini, Jesi (AN)


Codice asta
4247700


Lotto
28


Numero beni
1


Genere
Immobili


Categoria
Altra categoria


Valore di stima
-


Terreno

Quota pari a 1/1 della piena proprietà di appezzamento di terreno non edificabile di complessivi 521mq, in due frustoli ad angolo tra Via Cartiere Vecchie e Via Padre Vincenzo Pellegrini.

Indirizzo
Via Cartiere Vecchie - Via Padre Vincenzo Pellegrini, Jesi (AN)


Piano
-


Disponibilità
LIBERO


Vani
-


Bagni
-


Metri quadri
521,00


Certificazione energetica
-


Data udienza
10/06/2026 ore 10:00


Tipo di vendita
Senza incanto


Modalità di vendita
Asincrona telematica


Luogo
N.A. -


Luogo presentazione offerte
-


Termine presentazione offerte
09/06/2026 ore 12:00


Prezzo base
€ 2.692,63


Offerta minima
€ 2.019,47


Rialzo minimo in caso di gara
€ 1.000,00


Deposito cauzionale
10% del prezzo offerto


Deposito in conto spese
-


Tribunale
Ancona

Tipo di procedura
Fallimentare (nuovo rito)

Ruolo
38/2019

Giudice
Filippello Giuliana

Recapiti
-

Email
-

Soggetto specializzato alla vendita
Aste giudiziarie inlinea s.p.a. 
(Procede alle operazioni di vendita)
(Gestisce la visita del bene)

Recapiti
-

Curatore
Catana vallemani Camillo

Recapiti
-

Email
-

Curatore
Bortoluzzi Paolo

Recapiti
-

Email
-

-

Scheda COD. 4247700 - Pubblicata dal 31/03/2026

La presente scheda di vendita riporta integralmente informazioni e documenti pervenuti ufficialmente dal Ministero e dal professionista incaricato.


Pubblicazione autorizzata dall’Autorità competente, è vietata ogni ripubblicazione o riproduzione anche parziale


Ti interessa questa vendita?

Documentazione

Visualizza su mappa

Mappa geografica del bene

Storico delle vendite

Data venditaPrezzo base
19/07/2022€ 5.700,00
23/11/2022€ 4.560,00
14/06/2023€ 4.104,00
08/05/2024€ 3.693,60
23/10/2024€ 3.324,24
09/07/2025€ 2.991,82
10/06/2026€ 2.692,63

Punti di interesse

Fonte dati

Nel raggio di {{range}}Km

Loading...
  • {{ getIcon(poi.type) }} {{ poi.localized }}: {{poi.count}}
  • {{ getIcon(poi.type) }} {{ poi.localized }}: {{poi.count}}
Dati non disponibili