Astegiudiziarie.it è parte di Rete Aste Network

Accedi o registrati

Non sei ancora registrato?

Oppure

Accedi

Terreno

Contrada Reddito degli Angeli, Forenza (PZ)

€ 2.675.000,00

Offerta minima € 2.006.250,00


Codice A2795430

Lotto Lotto unico

Data udienza 30/06/2026 ore 13:00

Termine presentazione offerte 29/06/2026 ore 13:00

Terreno

Contrada Reddito degli Angeli, Forenza (PZ)

€ 2.675.000,00

Offerta minima € 2.006.250,00


Codice A2795430

Lotto Lotto unico

Data udienza 30/06/2026 ore 13:00

Termine presentazione offerte 29/06/2026 ore 13:00

Ti interessa questa vendita?

Visualizza su mappa

Mappa geografica del bene

Punti di interesse

Fonte dati

Nel raggio di {{range}}Km

Loading...
  • {{ getIcon(poi.type) }} {{ poi.localized }}: {{poi.count}}
  • {{ getIcon(poi.type) }} {{ poi.localized }}: {{poi.count}}
Dati non disponibili

Fondi rustici in Forenza alla contrada Reddito degli Angeli della estensione catastale di ettari 124.28.41 con pertinenziali ed entrostanti fabbricati; i fondi rustici sono censiti in parte al foglio 63 in parte al foglio 64 in parte al foglio 66 in parte al foglio 71 in parte al foglio 72 ed in parte al foglio 73 mentre i fabbricati sono censiti al foglio 72 particella 110; al foglio 73 particelle: 131,132 sub 1,2,3,4,5,138 sub 2,3,4,139 sub 2,157 graffata con le particelle 158,160,161,162 e 169 e 171.

Indirizzo
Contrada Reddito degli Angeli, Forenza (PZ)


Codice asta
2795430


Lotto
Lotto unico


Numero beni
1


Genere
Immobili


Categoria
Altra categoria


Valore di stima
-


Terreno

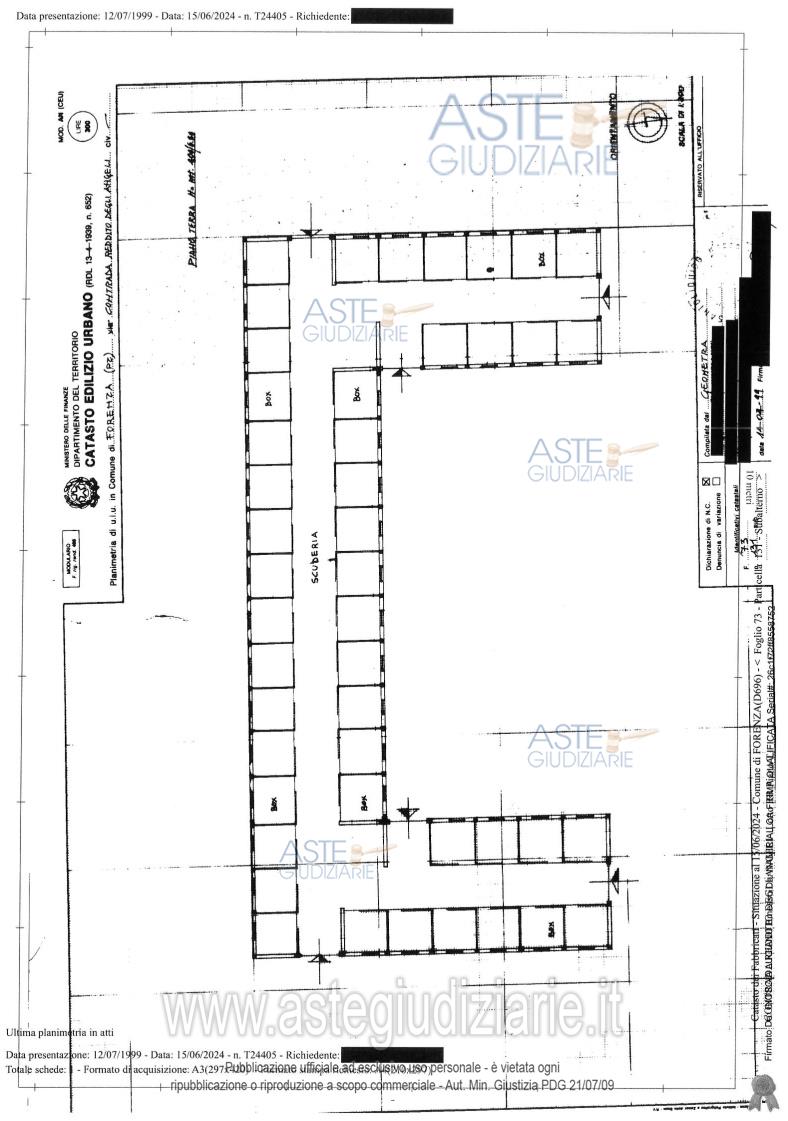
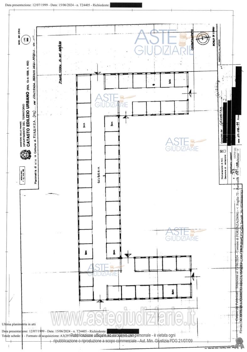
Comprensorio di fondi rustici sito in agro di Forenza alla contrada Reddito degli Angeli con accesso dal Km 48+200 della Strada Provinciale n.10 Venosina, della estensione catastale complessiva di ettari 124 (centoventiquattro) are 28 (ventotto) e centiare 41(quarantuno) con pertinenziali ed entrostanti fabbricati funzionali all’attività agricola, adibiti a scuderie con relativi servizi, officina depositi, infermeria, cantina, alloggio del custode e appartamento padronale, uffci, scuola cucina, bar ristoro, quattro mini alloggi; i fondi rustici sono censiti al foglio 63 particelle: 2 e 3; al foglio 64 particelle: 37,39,40,43, e 44;al foglio 66 particelle: 1,3,4,5,7 e 85; al foglio 71 particelle: 75 e 76; al foglio 72 particelle: 26,27,29,40,41,42,43,45,46, 49, 50,, 53, 82, 83, 88, 89, 109; al foglio 73 particelle: 1, 7, 13, 18, 19, 20, 35, 36, 37, 38, 40, 41, 43, 44, 45, 46, 47, 48, 49, 50, 51, 52, 55, 58, 60, 68, 78, 79, 80, 81, 82, 83, 84, 85, 86, 87, 89, 90, 91, 92, 95, 103, 104, 105, 109, 110, 113, 115, 117, 118, 119, 155, 156, 159, 163, 164 e 168; mentre i fabbricati sono riportati in catasto fabbricati del Comune di Forenza al foglio 72 particella 110 contrada Reddito Degli Angeli snc piano: T categ C/2 cl.4 mq.4 superficie catastale totale mq.6 R.C. Euro 6,20; al foglio 73 particelle: 131 contrada Reddito degli Angeli snc lotto RR piano T categ. D/10 R.C. Euro 950,28; 132 sub 1 contrada Reddito Degli Angeli piano: S1 categ. C/2 cl.1 mq.418 (superficie catastale totale mq 466) R.C. Euro 388,58; 132 sub 2 contrada Reddito Degli Angeli piano: T-1 categ A/4 cl.4 vani 2,5 superficie catastale totale mq. 44 (escluse aree scoperte mq.44) R.C. Euro 72,30; 132 sub 3 contrada Reddito Degli Angeli piano: T-1 categ A/4 cl.4 vani 2,5 superficie catastale totale 42 mq. ( escluse aree scoperte mq. 42) R.C. Euro 72,30; 132 sub 4 contrada Reddito Degli Angeli piano: T-1 categ A/4 cl.4 vani 2,5 superficie catastale totale mq. 44 (escluse aree scoperte mq.44) R.C. Euro 72,30; 132 sub 5 contrada Reddito Degli Angeli piano: T-1 categ A/4 cl.4 vani 5,5 superficie catastale totale mq. 84 (escluse aree scoperte mq.84) R.C. Euro 159,07;138 sub 2 contrada Reddito Degli Angeli snc piano: T categ A/4 cl.4 vani 3,5 superficie catastale totale mq. 65 (escluse aree scoperte mq.65) R.C. Euro 101,23; 138 sub 3 contrada Reddito Degli Angeli snc piano: 1 categ A/3 cl.3 vani 2 superficie catastale totale mq. 47 (escluse aree scoperte mq.46) R.C. Euro 68,17; 138 sub 4 contrada Reddito Degli Angeli snc piano: 1-2 categ A/3 cl.3 vani 7 R.C. superficie catastale totale mq. 218 (escluse aree scoperte mq.218) Euro 238,60; 139 sub 2 contrada Reddito Degli Angeli snc piano: T categ. C/2 cl.4 mq.16 superficie catastale totale mq. 24 R.C. Euro 24,79; 157 graffata con le particelle 158 , 160 , 161 , 162 e 169 contrada Reddito degli Angeli snc piano T-1 categ. D/10 R.C. Euro 16.744,00;- 171 contrada Reddito Degli Angeli snc Cat F/2.

Indirizzo
Contrada Reddito degli Angeli, Forenza (PZ)


Piano
-


Disponibilità
OCCUPATO


Vani
-


Bagni
-


Metri quadri
1242841,00


Certificazione energetica
-


Dati catastali

Foglio:63, Particella:2
Foglio:63, Particella:3
Foglio:64, Particella:37
Foglio:64, Particella:39
Foglio:64, Particella:40
Foglio:64, Particella:43
Foglio:64, Particella:44
Foglio:66, Particella:1
Foglio:66, Particella:3
Foglio:66, Particella:4
Foglio:66, Particella:5
Foglio:66, Particella:7
Foglio:66, Particella:85
Foglio:71, Particella:75
Foglio:71, Particella:76
Foglio:72, Particella:26
Foglio:72, Particella:27
Foglio:72, Particella:29
Foglio:72, Particella:40
Foglio:72, Particella:41
Foglio:72, Particella:42
Foglio:72, Particella:43
Foglio:72, Particella:45
Foglio:72, Particella:46
Foglio:72, Particella:49
Foglio:72, Particella:50
Foglio:72, Particella:53
Foglio:72, Particella:82
Foglio:72, Particella:83
Foglio:72, Particella:88
Foglio:72, Particella:89
Foglio:72, Particella:109
Foglio:73, Particella:1
Foglio:73, Particella:7
Foglio:73, Particella:13
Foglio:73, Particella:18
Foglio:73, Particella:19
Foglio:73, Particella:20
Foglio:73, Particella:35
Foglio:73, Particella:36
Foglio:73, Particella:37
Foglio:73, Particella:38
Foglio:73, Particella:40
Foglio:73, Particella:41
Foglio:73, Particella:43
Foglio:73, Particella:44
Foglio:73, Particella:45
Foglio:73, Particella:46
Foglio:73, Particella:47
Foglio:73, Particella:48
Foglio:73, Particella:49
Foglio:73, Particella:50
Foglio:73, Particella:51
Foglio:73, Particella:52
Foglio:73, Particella:55
Foglio:73, Particella:58
Foglio:73, Particella:60
Foglio:73, Particella:68
Foglio:73, Particella:78
Foglio:73, Particella:79
Foglio:73, Particella:80
Foglio:73, Particella:81
Foglio:73, Particella:82
Foglio:73, Particella:83
Foglio:73, Particella:84
Foglio:73, Particella:85
Foglio:73, Particella:86
Foglio:73, Particella:87
Foglio:73, Particella:89
Foglio:73, Particella:90
Foglio:73, Particella:91
Foglio:73, Particella:92
Foglio:73, Particella:95
Foglio:73, Particella:103
Foglio:73, Particella:104
Foglio:73, Particella:105
Foglio:73, Particella:109
Foglio:73, Particella:110
Foglio:73, Particella:113
Foglio:73, Particella:115
Foglio:73, Particella:117
Foglio:73, Particella:118
Foglio:73, Particella:119
Foglio:73, Particella:155
Foglio:73, Particella:156
Foglio:73, Particella:159
Foglio:73, Particella:163
Foglio:73, Particella:164
Foglio:73, Particella:168
Foglio:72, Particella:110
Foglio:73, Particella:131
Foglio:73, Particella:132, Subalterno:1
Foglio:73, Particella:132, Subalterno:2
Foglio:73, Particella:132, Subalterno:3
Foglio:73, Particella:132, Subalterno:4
Foglio:73, Particella:132, Subalterno:5
Foglio:73, Particella:138, Subalterno:2
Foglio:73, Particella:138, Subalterno:3
Foglio:73, Particella:138, Subalterno:4
Foglio:73, Particella:139, Subalterno:2
Foglio:73, Particella:157, Graffato:158,160,161,162,169
Foglio:73, Particella:171


Data udienza
30/06/2026 ore 13:00


Tipo di vendita
Senza incanto


Modalità di vendita
Asincrona telematica


Luogo
N.A. -


Luogo presentazione offerte
-


Termine presentazione offerte
29/06/2026 ore 13:00


Prezzo base
€ 2.675.000,00


Offerta minima
€ 2.006.250,00


Rialzo minimo in caso di gara
€ 15.000,00


Deposito cauzionale
10% del prezzo offerto


Deposito in conto spese
-


Tribunale
Potenza ex Tribunale di Melfi

Tipo di procedura
Esecuzione immobiliare post legge 80

Ruolo
69/2008

Giudice
Di paolo Annachiara

Recapiti
-

Email
-

Delegato alla vendita
Carretta Francesco
(Procede alle operazioni di vendita)

Recapiti
Tel. 097283380

Email
fcarretta@notariato.it

Custode giudiziario
De luca Monica dea
(Gestisce la visita del bene)

Recapiti
Tel. 0971287426

Scheda COD. 2795430 - Pubblicata dal 16/04/2026

La presente scheda di vendita riporta integralmente informazioni e documenti pervenuti ufficialmente dal Ministero e dal professionista incaricato.

Pubblicazione notarizzata su Blockchain


Pubblicazione autorizzata dall’Autorità competente, è vietata ogni ripubblicazione o riproduzione anche parziale


Ti interessa questa vendita?

Visualizza su mappa

Mappa geografica del bene

Storico delle vendite

Data venditaPrezzo base
22/06/2019€ 5.105.579,53
30/06/2026€ 2.675.000,00

Punti di interesse

Fonte dati

Nel raggio di {{range}}Km

Loading...
  • {{ getIcon(poi.type) }} {{ poi.localized }}: {{poi.count}}
  • {{ getIcon(poi.type) }} {{ poi.localized }}: {{poi.count}}
Dati non disponibili