Astegiudiziarie.it è parte di Rete Aste Network

Accedi o registrati

Non sei ancora registrato?

Oppure

Accedi

Terreno

Contrada Zotta Papera o Raisa, Catenanuova (EN)

€ 952,32

Offerta minima € 714,24


Codice A300452

Lotto 4

Data udienza 03/09/2026 ore 10:00

Termine presentazione offerte 02/09/2026 ore 11:00

Terreno

Contrada Zotta Papera o Raisa, Catenanuova (EN)

€ 952,32

Offerta minima € 714,24


Codice A300452

Lotto 4

Data udienza 03/09/2026 ore 10:00

Termine presentazione offerte 02/09/2026 ore 11:00

Ti interessa questa vendita?

Documentazione

Visualizza su mappa

Mappa geografica del bene

Punti di interesse

Fonte dati

Nel raggio di {{range}}Km

Loading...
  • {{ getIcon(poi.type) }} {{ poi.localized }}: {{poi.count}}
  • {{ getIcon(poi.type) }} {{ poi.localized }}: {{poi.count}}
Dati non disponibili

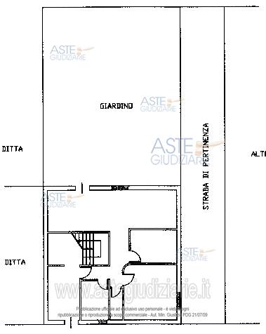
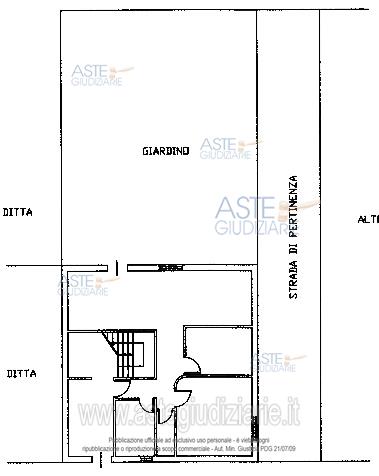
4/6 proprietà di terreno seminativo ha 0.1.45.

Indirizzo
Contrada Zotta Papera o Raisa, Catenanuova (EN)


Codice asta
300452


Lotto
4


Numero beni
1


Genere
Immobili


Categoria
Altra categoria


Valore di stima
-


Terreno

4/6 proprietà di terreno seminativo ha 0.1.45.

Indirizzo
Contrada Zotta Papera o Raisa, Catenanuova (EN)


Piano
-


Disponibilità
-


Vani
-


Bagni
-


Metri quadri
145,00


Certificazione energetica
-


Data udienza
03/09/2026 ore 10:00


Tipo di vendita
Senza incanto


Modalità di vendita
Sincrona mista


Luogo
Viale Armando Diaz, 94100 Enna EN, Italia - Enna 94100


Luogo presentazione offerte
-


Termine presentazione offerte
02/09/2026 ore 11:00


Prezzo base
€ 952,32


Offerta minima
€ 714,24


Rialzo minimo in caso di gara
€ 500,00


Deposito cauzionale
-


Deposito in conto spese
-


Tribunale
Enna

Tipo di procedura
Esecuzione immobiliare post legge 80

Ruolo
66/1997

Giudice
Tricani Evelia

Recapiti
-

Email
-

Delegato alla vendita
Cannata Giovanni
(Procede alle operazioni di vendita)

Recapiti
-

Email
giovanni.cannata@avvnicosia.le...

Custode giudiziario
Cannata Giovanni
(Gestisce la visita del bene)

Recapiti
Tel. 0935633083

Scheda COD. 300452 - Pubblicata dal 24/04/2026

La presente scheda di vendita riporta integralmente informazioni e documenti pervenuti ufficialmente dal Ministero e dal professionista incaricato.

Pubblicazione notarizzata su Blockchain


Pubblicazione autorizzata dall’Autorità competente, è vietata ogni ripubblicazione o riproduzione anche parziale


Ti interessa questa vendita?

Documentazione

Visualizza su mappa

Mappa geografica del bene

Storico delle vendite

Data venditaPrezzo base
26/05/2015€ 3.045,00
03/09/2026€ 952,32

Punti di interesse

Fonte dati

Nel raggio di {{range}}Km

Loading...
  • {{ getIcon(poi.type) }} {{ poi.localized }}: {{poi.count}}
  • {{ getIcon(poi.type) }} {{ poi.localized }}: {{poi.count}}
Dati non disponibili