Astegiudiziarie.it è parte di Rete Aste Network

Accedi o registrati

Non sei ancora registrato?

Oppure

Accedi

Porzione di immobile

Via Carlo Alberto dalla Chiesa n. 10/B, Loro Ciuffenna (AR)

€ 29.900,80

Offerta minima € 22.425,60


Codice A4284765

Lotto 2

Data udienza 19/05/2026 ore 09:00

Termine presentazione offerte 18/05/2026 ore 13:00

Porzione di immobile

Via Carlo Alberto dalla Chiesa n. 10/B, Loro Ciuffenna (AR)

€ 29.900,80

Offerta minima € 22.425,60


Codice A4284765

Lotto 2

Data udienza 19/05/2026 ore 09:00

Termine presentazione offerte 18/05/2026 ore 13:00

Ti interessa questa vendita?

Visualizza su mappa

Mappa geografica del bene

Punti di interesse

Fonte dati

Nel raggio di {{range}}Km

Loading...
  • {{ getIcon(poi.type) }} {{ poi.localized }}: {{poi.count}}
  • {{ getIcon(poi.type) }} {{ poi.localized }}: {{poi.count}}
Dati non disponibili

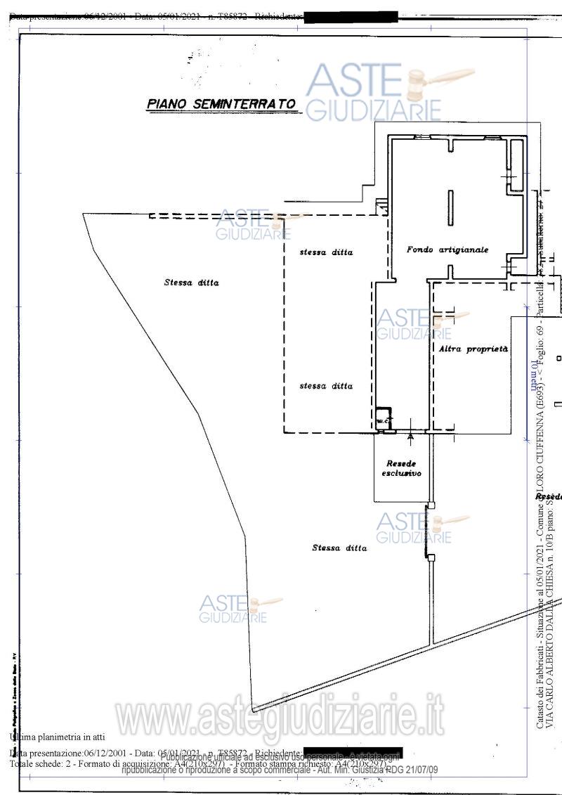
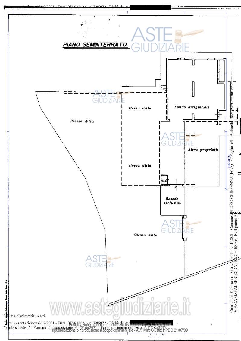
Diritto di piena proprietà di porzione di maggior fabbricato di circa 155 mq ad uso residenziale/artigianale , sviluppata al piano seminterrato e costituita da una porzione immobiliare adibita a fondo artigianale, rappresentata da un unico ampio locale (a forma irregolare) adibito a magazzino, oltre due porzioni di scannafosso e piccolo servizio igienico corredata da antistante resede pertinenziale in proprietà esclusiva, il tutto integrato dalla condominialità pro quota sulle cose comuni per legge.

Indirizzo
Via Carlo Alberto dalla Chiesa n. 10/B, Loro Ciuffenna (AR)


Codice asta
4284765


Lotto
2


Numero beni
1


Genere
Immobili


Categoria
Altra categoria


Valore di stima
-


Porzione di immobile

Diritto di piena proprietà di porzione di maggior fabbricato di circa 155 mq ad uso residenziale/artigianale , sviluppata al piano seminterrato e costituita da una porzione immobiliare adibita a fondo artigianale, rappresentata da un unico ampio locale (a forma irregolare) adibito a magazzino, oltre due porzioni di scannafosso e piccolo servizio igienico corredata da antistante resede pertinenziale in proprietà esclusiva, il tutto integrato dalla condominialità pro quota sulle cose comuni per legge.

Indirizzo
Via Carlo Alberto dalla Chiesa n. 10/B, , Loro Ciuffenna (AR)


Piano
S1


Disponibilità
LIBERO


Vani
-


Bagni
-


Metri quadri
155,00


Certificazione energetica
-


Dati catastali

Foglio:69, Particella:382, Subalterno:27
Foglio:69, Particella:382, Subalterno:1


Data udienza
19/05/2026 ore 09:00


Tipo di vendita
Senza incanto


Modalità di vendita
Sincrona mista


Luogo
P.za Falcone e Borsellino, 52100 Arezzo AR, Italia - Arezzo 52100


Luogo presentazione offerte
-


Termine presentazione offerte
18/05/2026 ore 13:00


Prezzo base
€ 29.900,80


Offerta minima
€ 22.425,60


Rialzo minimo in caso di gara
€ 500,00


Deposito cauzionale
10% del prezzo offerto


Deposito in conto spese
-


Tribunale
Arezzo

Tipo di procedura
Esecuzione immobiliare post legge 80

Ruolo
156/2020

Giudice
Rodino' di miglione  Elisabetta

Recapiti
-

Email
-

Delegato alla vendita
Mencucci Giulia gerardine
(Procede alle operazioni di vendita)

Recapiti
Cell. 3334149749
Tel. 0575300065

Email
giulia.mencucci@studiolegalean...

IVG
Arezzo-siena  Istituto vendite giudiziarie
(Gestisce la visita del bene)

Recapiti
Cell. 3397337017
Tel. 0577318111

Scheda COD. 4284765 - Pubblicata dal 25/03/2026

La presente scheda di vendita riporta integralmente informazioni e documenti pervenuti ufficialmente dal Ministero e dal professionista incaricato.

Pubblicazione notarizzata su Blockchain


Pubblicazione autorizzata dall’Autorità competente, è vietata ogni ripubblicazione o riproduzione anche parziale


Ti interessa questa vendita?

Visualizza su mappa

Mappa geografica del bene

Storico delle vendite

Data venditaPrezzo base
19/12/2023€ 73.000,00
14/03/2024€ 58.400,00
11/12/2024€ 46.720,00
24/06/2025€ 37.376,00
19/05/2026€ 29.900,80

Punti di interesse

Fonte dati

Nel raggio di {{range}}Km

Loading...
  • {{ getIcon(poi.type) }} {{ poi.localized }}: {{poi.count}}
  • {{ getIcon(poi.type) }} {{ poi.localized }}: {{poi.count}}
Dati non disponibili