Astegiudiziarie.it è parte di Rete Aste Network

Accedi o registrati

Non sei ancora registrato?

Oppure

Accedi

Negozi, botteghe

Via Umberto I - Via Tempio, Tortolì (OG)

€ 50.710,00

Offerta minima € 50.710,00


Codice A305900

Lotto Lotto unico

Data vendita 27/05/2026 ore 13:30

Termine presentazione offerte 26/05/2026 ore 13:00

Negozi, botteghe

Via Umberto I - Via Tempio, Tortolì (OG)

€ 50.710,00

Offerta minima € 50.710,00


Codice A305900

Lotto Lotto unico

Data Vendita 27/05/2026 ore 13:30

Termine presentazione offerte 26/05/2026 ore 13:00

Ti interessa questa vendita?

Documentazione

Visualizza su mappa

Mappa geografica del bene

Punti di interesse

Fonte dati

Nel raggio di {{range}}Km

Loading...
  • {{ getIcon(poi.type) }} {{ poi.localized }}: {{poi.count}}
  • {{ getIcon(poi.type) }} {{ poi.localized }}: {{poi.count}}
Dati non disponibili

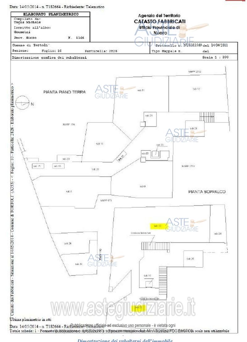
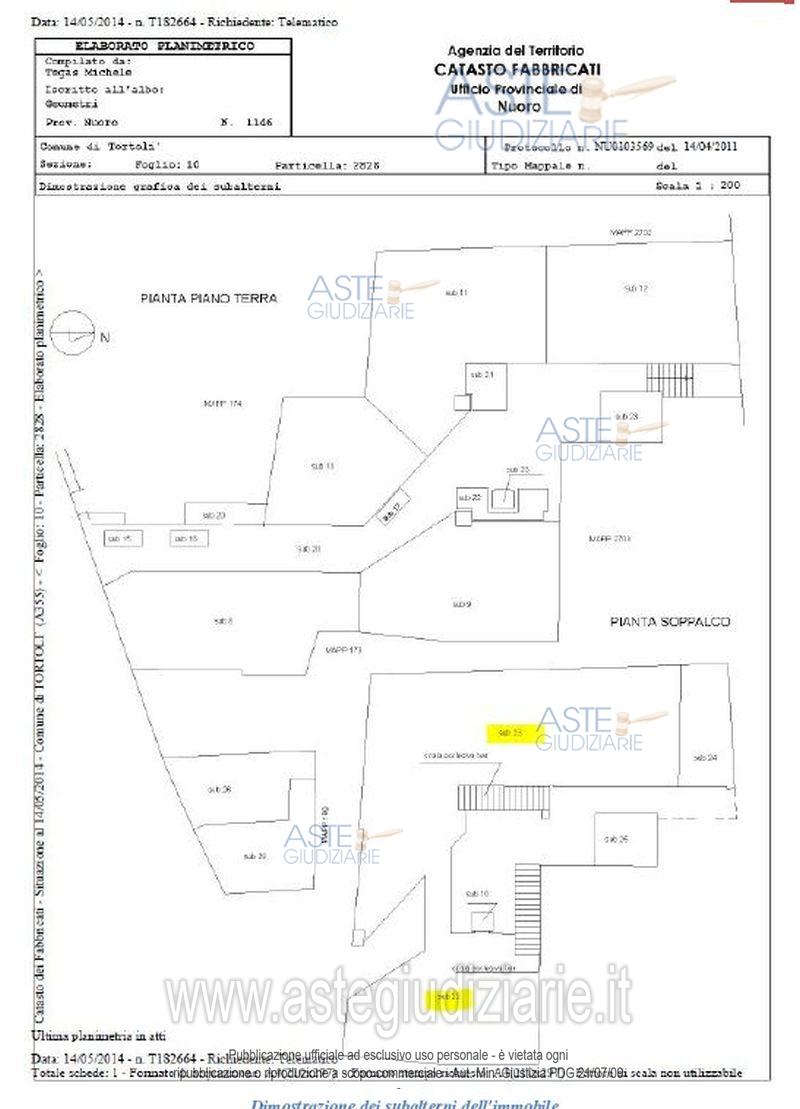
Comune di Tortolì (OG), N.C.E.U. foglio 10, particella 2828, sub 23, cat. C/1, cl. 4, RC euro 2.710,31, locale commerciale (bar – negozio) + parti comuni, posto al piano soppalcato con ingresso dalla galleria al piano terra, superficie utile mq 153,00.

Indirizzo
Via Umberto I - Via Tempio, Tortolì (OG)


Codice asta
305900


Lotto
Lotto unico


Numero beni
1


Genere
Immobili


Categoria
Immobile commerciale


Valore di stima
-


Negozi, botteghe

Comune di Tortolì (OG), N.C.E.U. foglio 10, particella 2828, sub 23, cat. C/1, cl. 4, RC euro 2.710,31, locale commerciale (bar – negozio) + parti comuni, posto al piano soppalcato con ingresso dalla galleria al piano terra, superficie utile mq 153,00.

Indirizzo
Via Umberto I - ViaTempio, Tortolì (OG)


Piano
1


Disponibilità
LIBERO


Vani
-


Bagni
-


Metri quadri
153,00


Certificazione energetica
-


Dati catastali

Foglio:10, Particella:2828, Sub particella:23


Data vendita
27/05/2026 ore 13:30


Tipo di vendita
Senza incanto


Modalità di vendita
Presso il venditore


Luogo
Via dei Portuali snc - Tortolì 08048


Luogo presentazione offerte
-


Termine presentazione offerte
26/05/2026 ore 13:00


Prezzo base
€ 50.710,00


Offerta minima
€ 50.710,00


Rialzo minimo in caso di gara
€ 2.000,00


Deposito cauzionale
10% del prezzo offerto


Deposito in conto spese
-


Tribunale
Lanusei

Tipo di procedura
Fallimentare

Ruolo
5/2013

Curatore
Meloni Paolo
(Procede alle operazioni di vendita)
(Gestisce la visita del bene)

Recapiti
Cell. 3398822850
Tel. 0782570420

Scheda COD. 305900 - Pubblicata dal 09/04/2026

La presente scheda di vendita riporta integralmente informazioni e documenti pervenuti ufficialmente dal Ministero e dal professionista incaricato.

Pubblicazione notarizzata su Blockchain


Pubblicazione autorizzata dall’Autorità competente, è vietata ogni ripubblicazione o riproduzione anche parziale


Ti interessa questa vendita?

Documentazione

Visualizza su mappa

Mappa geografica del bene

Storico delle vendite

Data venditaPrezzo base
02/07/2015€ 336.660,00
09/07/2015€ 336.660,00
21/10/2015€ 252.495,00
28/10/2015€ 252.495,00
20/01/2016€ 201.996,00
15/06/2016€ 181.796,00
22/06/2016€ 181.796,00
12/10/2016€ 163.616,00
27/10/2016€ 163.616,00
15/02/2017€ 147.254,00
14/06/2017€ 117.803,00
12/07/2017€ 117.803,00
15/11/2017€ 117.803,00
30/11/2017€ 117.803,00
15/03/2018€ 106.023,00
21/06/2018€ 106.023,00
22/11/2018€ 95.421,00
18/04/2019€ 85.879,00
19/09/2019€ 77.291,00
17/12/2020€ 69.562,00
15/04/2021€ 62.606,00
29/06/2021€ 62.606,00
18/11/2021€ 62.606,00
12/04/2022€ 56.345,00
27/05/2026€ 50.710,00

Punti di interesse

Fonte dati

Nel raggio di {{range}}Km

Loading...
  • {{ getIcon(poi.type) }} {{ poi.localized }}: {{poi.count}}
  • {{ getIcon(poi.type) }} {{ poi.localized }}: {{poi.count}}
Dati non disponibili