Astegiudiziarie.it è parte di Rete Aste Network

Accedi o registrati

Non sei ancora registrato?

Oppure

Accedi

Negozio

SR66, Pistoia PT, Italia, San Marcello Piteglio (PT)

€ 35.500,00

Offerta minima € 26.625,00


Codice A4328451

Lotto 2

Data udienza 02/07/2026 ore 16:00

Termine presentazione offerte 01/07/2026 ore 12:00

Negozio

SR66, Pistoia PT, Italia, San Marcello Piteglio (PT)

€ 35.500,00

Offerta minima € 26.625,00


Codice A4328451

Lotto 2

Data udienza 02/07/2026 ore 16:00

Termine presentazione offerte 01/07/2026 ore 12:00

Ti interessa questa vendita?

Documentazione

Visualizza su mappa

Mappa geografica del bene

Punti di interesse

Fonte dati

Nel raggio di {{range}}Km

Loading...
  • {{ getIcon(poi.type) }} {{ poi.localized }}: {{poi.count}}
  • {{ getIcon(poi.type) }} {{ poi.localized }}: {{poi.count}}
Dati non disponibili

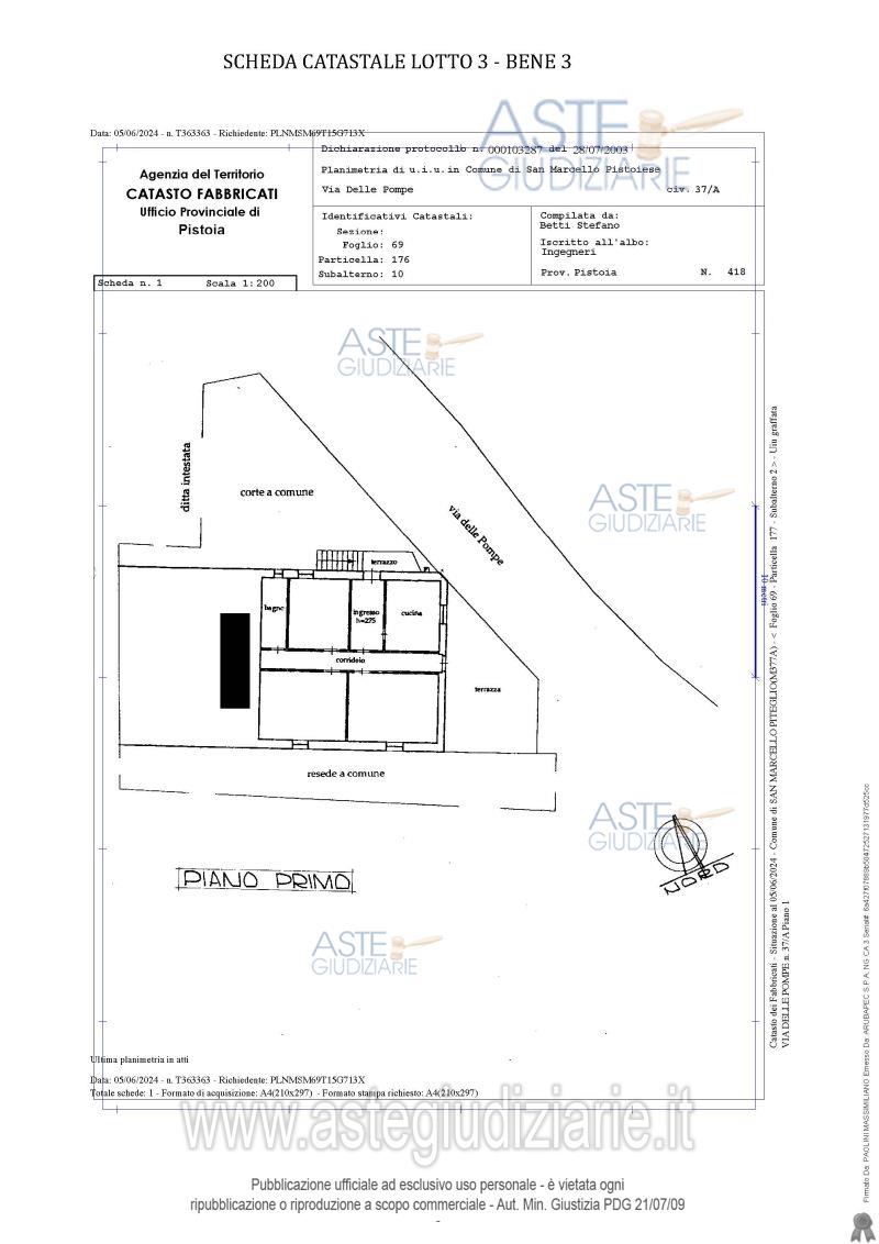
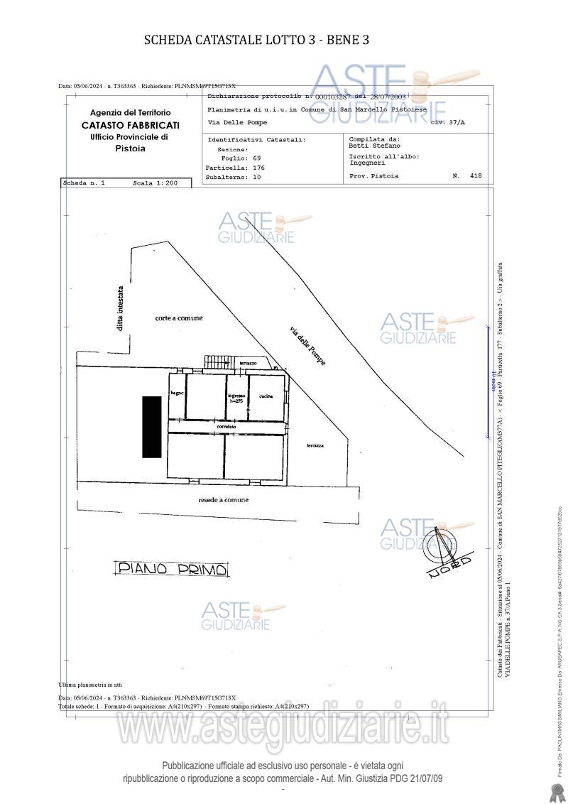
Unità immobiliare ad uso negozio composto da due vani principali di cui uno suddiviso conelementi separatori tipo “open space” non a tutta altezza, realizzati in muratura di mattoni facciavista, locale w.c., locale ripostiglio, in parte sottoscala, da cui si accede ad un vano scannafosso. L’accesso al negozio avviene mediante un passaggio a comune che collega il fabbricato di cui faparte il negozio stesso con la Strada Regionale 66.

Indirizzo
SR66, Pistoia PT, Italia, San Marcello Piteglio (PT)


Codice asta
4328451


Lotto
2


Numero beni
1


Genere
Immobili


Categoria
Immobile commerciale


Valore di stima
-


Negozio

Unità immobiliare ad uso negozio composto da due vani principali di cui uno suddiviso conelementi separatori tipo “open space” non a tutta altezza, realizzati in muratura di mattoni facciavista, locale w.c., locale ripostiglio, in parte sottoscala, da cui si accede ad un vano scannafosso. L’accesso al negozio avviene mediante un passaggio a comune che collega il fabbricato di cui faparte il negozio stesso con la Strada Regionale 66.

Indirizzo
SR66, Pistoia PT, Italia, San Marcello Piteglio (PT)


Piano
-


Disponibilità
-


Vani
2,00


Bagni
1


Metri quadri
70,00


Certificazione energetica
-


Data udienza
02/07/2026 ore 16:00


Tipo di vendita
Senza incanto


Modalità di vendita
Asincrona telematica


Luogo
N.A. -


Luogo presentazione offerte
-


Termine presentazione offerte
01/07/2026 ore 12:00


Prezzo base
€ 35.500,00


Offerta minima
€ 26.625,00


Rialzo minimo in caso di gara
€ 710,00


Deposito cauzionale
10% del prezzo offerto


Deposito in conto spese
-


Tribunale
Pistoia

Tipo di procedura
Espropriazione immobiliare (cartabia)

Ruolo
163/2023

Delegato alla vendita
Melani  Giulia
(Procede alle operazioni di vendita)

Recapiti
-

Email
-

Custode giudiziario
Isveg 
(Gestisce la visita del bene)

Recapiti
-

Scheda COD. 4328451 - Pubblicata dal 16/03/2026

La presente scheda di vendita riporta integralmente informazioni e documenti pervenuti ufficialmente dal Ministero e dal professionista incaricato.


Pubblicazione autorizzata dall’Autorità competente, è vietata ogni ripubblicazione o riproduzione anche parziale


Ti interessa questa vendita?

Documentazione

Visualizza su mappa

Mappa geografica del bene

Storico delle vendite

Data venditaPrezzo base
09/09/2025€ 63.000,00
10/02/2026€ 47.250,00
02/07/2026€ 35.500,00

Punti di interesse

Fonte dati

Nel raggio di {{range}}Km

Loading...
  • {{ getIcon(poi.type) }} {{ poi.localized }}: {{poi.count}}
  • {{ getIcon(poi.type) }} {{ poi.localized }}: {{poi.count}}
Dati non disponibili