Astegiudiziarie.it è parte di Rete Aste Network

Accedi o registrati

Non sei ancora registrato?

Oppure

Accedi

Negozi, botteghe

VIA FEDERICO II DI SVEVIA N.4 E 6, Belpasso (CT)

€ 54.015,00

Offerta minima € 40.512,00


Codice A4326272

Lotto 2

Data udienza 29/05/2026 ore 11:00

Termine presentazione offerte 28/05/2026 ore 13:00

Negozi, botteghe

VIA FEDERICO II DI SVEVIA N.4 E 6, Belpasso (CT)

€ 54.015,00

Offerta minima € 40.512,00


Codice A4326272

Lotto 2

Data udienza 29/05/2026 ore 11:00

Termine presentazione offerte 28/05/2026 ore 13:00

Ti interessa questa vendita?

Documentazione

Visualizza su mappa

Mappa geografica del bene

Punti di interesse

Fonte dati

Nel raggio di {{range}}Km

Loading...
  • {{ getIcon(poi.type) }} {{ poi.localized }}: {{poi.count}}
  • {{ getIcon(poi.type) }} {{ poi.localized }}: {{poi.count}}
Dati non disponibili

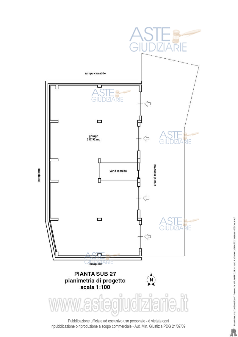
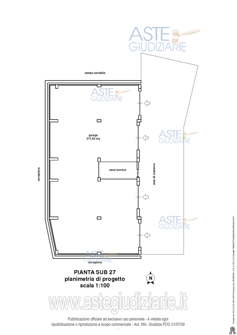
LOTTO DUE Bottega sita in Belpasso (CT), via Federico II di Svevia, n. 4 e 6, piano terra, censito al N.C.E.U. al foglio 36, particella 523, subalterno 20, categoria C/1, classe 2, consistenza 95 m2, rendita 1.221,68 euro, confinante a sud, ovest ed est con corte comune, a nord con vano scala e proprietà stessa ditta (sub 19).

Indirizzo
VIA FEDERICO II DI SVEVIA N.4 E 6, Belpasso (CT)


Codice asta
4326272


Lotto
2


Numero beni
1


Genere
Immobili


Categoria
Immobile commerciale


Valore di stima
-


Negozi, botteghe

LOTTO DUE Bottega sita in Belpasso (CT), via Federico II di Svevia, n. 4 e 6, piano terra, censito al N.C.E.U. al foglio 36, particella 523, subalterno 20, categoria C/1, classe 2, consistenza 95 m2, rendita 1.221,68 euro, confinante a sud, ovest ed est con corte comune, a nord con vano scala e proprietà stessa ditta (sub 19).

Indirizzo
VIA FEDERICO II DI SVEVIA N.4-6, Belpasso (CT)


Piano
-


Disponibilità
-


Vani
-


Bagni
-


Metri quadri
95,00


Certificazione energetica
-


Dati catastali

Foglio:36, Particella:523, Subalterno:20


Data udienza
29/05/2026 ore 11:00


Tipo di vendita
Senza incanto


Modalità di vendita
Sincrona mista


Luogo
VIA ALBERTO MARIO N.56 - Catania 95129


Luogo presentazione offerte
-


Termine presentazione offerte
28/05/2026 ore 13:00


Prezzo base
€ 54.015,00


Offerta minima
€ 40.512,00


Rialzo minimo in caso di gara
€ 1.000,00


Deposito cauzionale
10% del prezzo offerto


Deposito in conto spese
-


Tribunale
Catania

Tipo di procedura
Esecuzione immobiliare post legge 80

Ruolo
283/2022

Delegato alla vendita
Fichera Giovanni
(Procede alle operazioni di vendita)
(Gestisce la visita del bene)

Recapiti
Tel. 095388875

Scheda COD. 4326272 - Pubblicata dal 27/02/2026

La presente scheda di vendita riporta integralmente informazioni e documenti pervenuti ufficialmente dal Ministero e dal professionista incaricato.

Pubblicazione notarizzata su Blockchain


Pubblicazione autorizzata dall’Autorità competente, è vietata ogni ripubblicazione o riproduzione anche parziale


Ti interessa questa vendita?

Documentazione

Visualizza su mappa

Mappa geografica del bene

Storico delle vendite

Data venditaPrezzo base
09/07/2025€ 96.025,00
12/12/2025€ 72.019,00
29/05/2026€ 54.015,00

Punti di interesse

Fonte dati

Nel raggio di {{range}}Km

Loading...
  • {{ getIcon(poi.type) }} {{ poi.localized }}: {{poi.count}}
  • {{ getIcon(poi.type) }} {{ poi.localized }}: {{poi.count}}
Dati non disponibili