Astegiudiziarie.it è parte di Rete Aste Network

Accedi o registrati

Non sei ancora registrato?

Oppure

Accedi

Magazzini e locali di deposito

Frazione Azzano, 15, 06049 Spoleto PG, Italia, Spoleto (PG)

€ 28.000,00

Offerta minima € 21.000,00


Codice A4348413

Lotto 3

Data udienza 26/05/2026 ore 09:00

Termine presentazione offerte 25/05/2026 ore 12:00

Magazzini e locali di deposito

Frazione Azzano, 15, 06049 Spoleto PG, Italia, Spoleto (PG)

€ 28.000,00

Offerta minima € 21.000,00


Codice A4348413

Lotto 3

Data udienza 26/05/2026 ore 09:00

Termine presentazione offerte 25/05/2026 ore 12:00

Ti interessa questa vendita?

Documentazione

Visualizza su mappa

Mappa geografica del bene

Punti di interesse

Fonte dati

Nel raggio di {{range}}Km

Loading...
  • {{ getIcon(poi.type) }} {{ poi.localized }}: {{poi.count}}
  • {{ getIcon(poi.type) }} {{ poi.localized }}: {{poi.count}}
Dati non disponibili

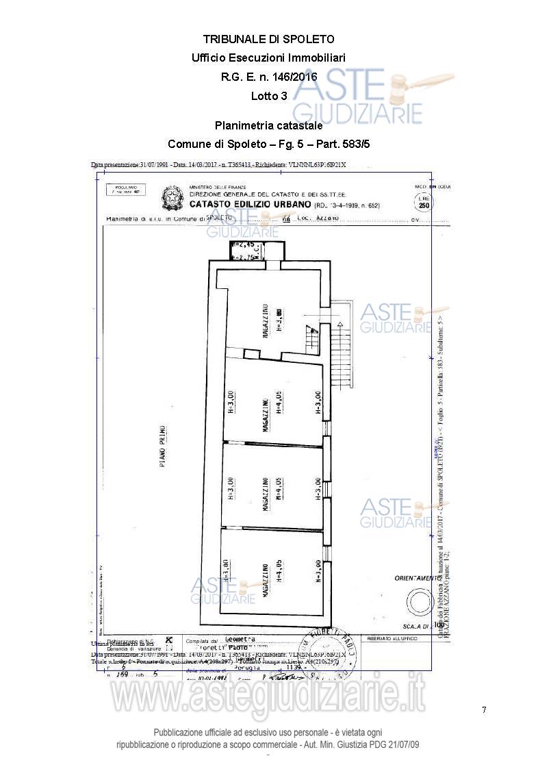
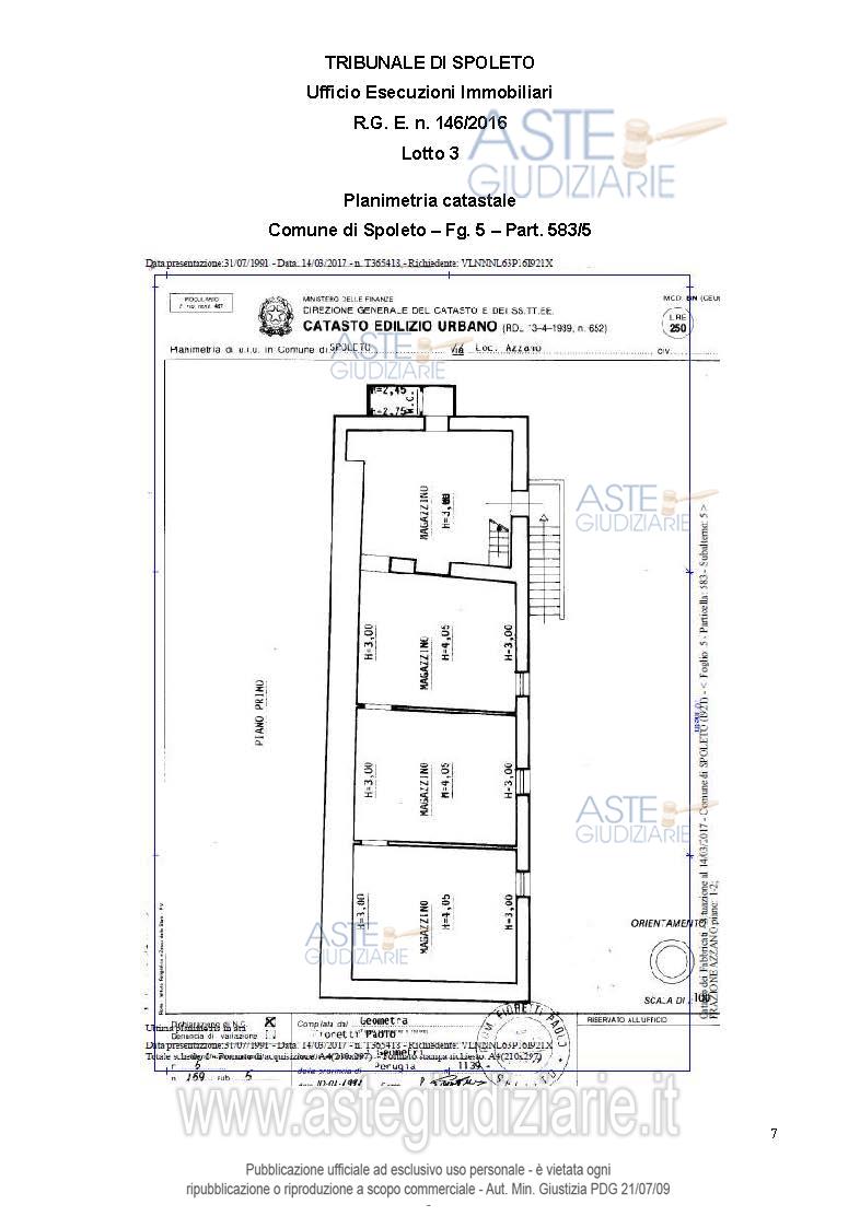
SPOLETO (PG) FRAZ. AZZANO N. 15 LOTTO 3

Indirizzo
Frazione Azzano, 15, 06049 Spoleto PG, Italia, Spoleto (PG)


Codice asta
4348413


Lotto
3


Numero beni
1


Genere
Immobili


Categoria
Immobile commerciale


Valore di stima
-


Magazzini e locali di deposito

Porzione di fabbricato ad uso magazzino al piano primo e secondo, sita nel Comune di Spoleto, Fraz. Azzano n.15, località della vallata Spoletina, distante circa 10 km dal centro di Spoleto.La porzione in esame è costituita da un magazzino posto al piano primo e secondo censito al Catasto dei fabbricati del Comune di Spoleto in questo modo:Magazzino: foglio 5 part. 583, sub 5, Categoria C/2, classe 2, consistenza 122, rendita € 226,83L’edificio principale si sviluppa su tre livelli, piano terra e primo e secondo (torretta). La struttura portante è realizzata in muratura, con tamponature sempre in muratura, solai in latero-cemento, copertura a tetto con manto in coppi. Le facciate sono in pietra a faccia vista e si presenta con finiture esterne discrete.Il magazzino è posto al piano primo e secondo ed è costituita da locali in ristrutturazione e corte comune. Senza impianti e finiture.Stato di occupazione del lotto: Il magazzino è occupato dal debitore.PROFESSIONISTA DELEGATO: DOTT. MARCELLO BOCCHINI (Tel. 0743 220710).GIUDICE ESECUZIONE: DOTT. ALBERTO CAPPELLINI.CUSTODE GIUDIZIARIO: ISTITUTO VENDITE GIUDIZIARIE PERUGIA (0743 45107).LOTTO 3

Indirizzo
Frazione Azzano, 15, 06049 Spoleto PG, Italia, Spoleto (PG)


Piano
-


Disponibilità
-


Vani
-


Bagni
-


Metri quadri
122,00


Certificazione energetica
-


Dati catastali

Foglio:5, Sezione:CF, Particella:583, Subalterno:5


Data udienza
26/05/2026 ore 09:00


Tipo di vendita
Senza incanto


Modalità di vendita
Sincrona mista


Luogo
Via XXV Aprile, 52, 06049 Spoleto PG, Italia - Spoleto 06049


Luogo presentazione offerte
-


Termine presentazione offerte
25/05/2026 ore 12:00


Prezzo base
€ 28.000,00


Offerta minima
€ 21.000,00


Rialzo minimo in caso di gara
€ 500,00


Deposito cauzionale
10% del prezzo offerto


Deposito in conto spese
-


Tribunale
Spoleto

Tipo di procedura
Esecuzione immobiliare post legge 80

Ruolo
146/2016

Giudice
Cappellini Alberto

Recapiti
-

Email
-

Delegato alla vendita
Bocchini Marcello
(Procede alle operazioni di vendita)

Recapiti
Tel. 0743220710

Email
studio.marcellobocchini@gmail....

Custode giudiziario
Perugia Ivg
(Gestisce la visita del bene)

Recapiti
Tel. 0755913525

Scheda COD. 4348413 - Pubblicata dal 30/03/2026

La presente scheda di vendita riporta integralmente informazioni e documenti pervenuti ufficialmente dal Ministero e dal professionista incaricato.

Pubblicazione notarizzata su Blockchain


Pubblicazione autorizzata dall’Autorità competente, è vietata ogni ripubblicazione o riproduzione anche parziale


Ti interessa questa vendita?

Documentazione

Visualizza su mappa

Mappa geografica del bene

Punti di interesse

Fonte dati

Nel raggio di {{range}}Km

Loading...
  • {{ getIcon(poi.type) }} {{ poi.localized }}: {{poi.count}}
  • {{ getIcon(poi.type) }} {{ poi.localized }}: {{poi.count}}
Dati non disponibili