Astegiudiziarie.it è parte di Rete Aste Network

Accedi o registrati

Non sei ancora registrato?

Oppure

Accedi

Magazzini e locali di deposito, fabbricati costruiti per esigenze commerciali

Via Corrado da Montemagno, 59B, Quarrata (PT)

€ 197.800,00

Offerta minima € 148.350,00


Codice A4267238

Lotto 1

Data udienza 28/05/2026 ore 16:00

Termine presentazione offerte 27/05/2026 ore 12:00

Magazzini e locali di deposito, fabbricati costruiti per esigenze commerciali

Via Corrado da Montemagno, 59B, Quarrata (PT)

€ 197.800,00

Offerta minima € 148.350,00


Codice A4267238

Lotto 1

Data udienza 28/05/2026 ore 16:00

Termine presentazione offerte 27/05/2026 ore 12:00

Ti interessa questa vendita?

Documentazione

Visualizza su mappa

Mappa geografica del bene

Punti di interesse

Fonte dati

Nel raggio di {{range}}Km

Loading...
  • {{ getIcon(poi.type) }} {{ poi.localized }}: {{poi.count}}
  • {{ getIcon(poi.type) }} {{ poi.localized }}: {{poi.count}}
Dati non disponibili

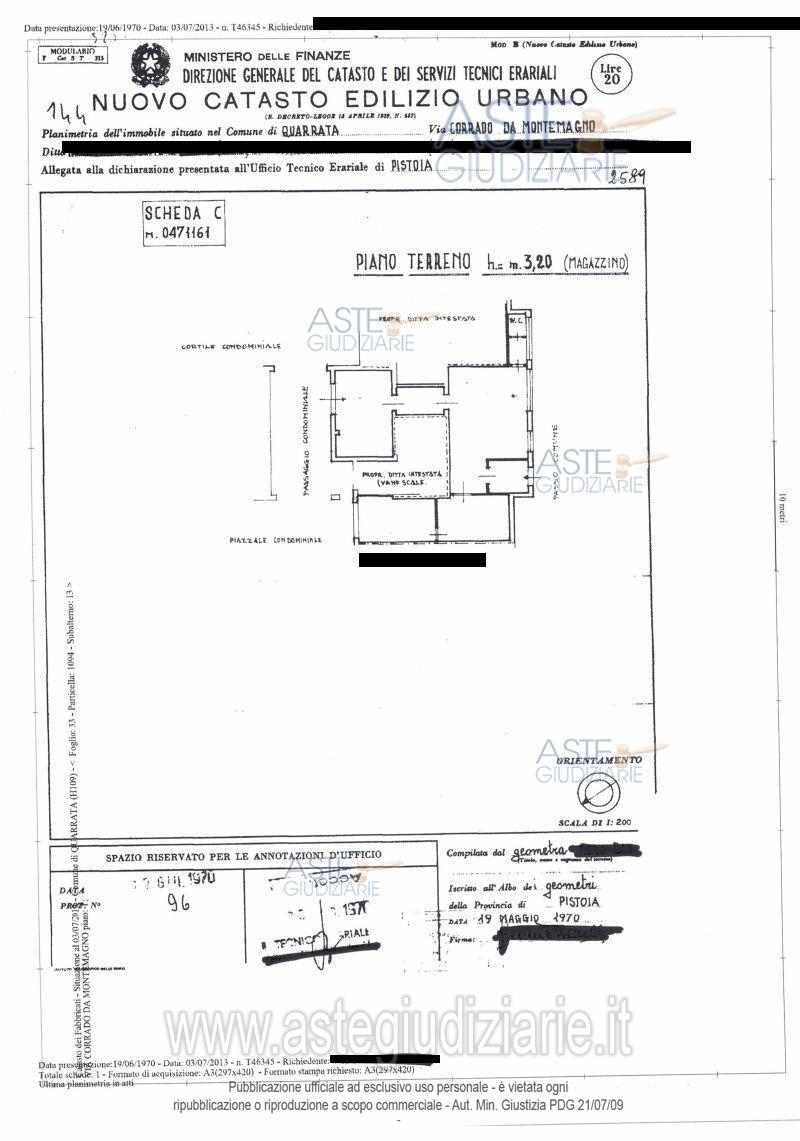
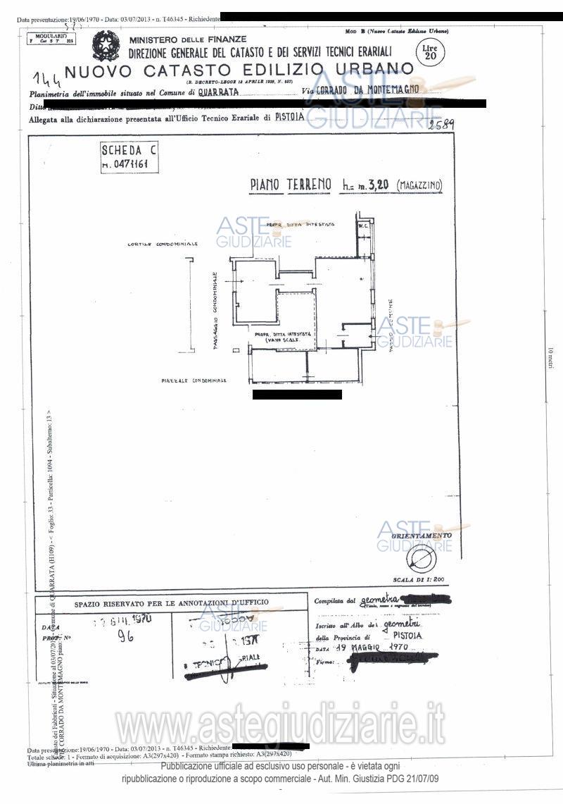
Diritti di piena proprietà su n. 3 fondi a destinazione mista commerciale/magazzini posti al piano terra di fabbricato condominiale.

Indirizzo
Via Corrado da Montemagno, 59B, Quarrata (PT)


Codice asta
4267238


Lotto
1


Numero beni
3


Genere
Immobili


Categoria
Immobile commerciale


Valore di stima
-


Magazzini e locali di deposito

Lotto C) è costituito da un unico ampio locale, accessibile a sud dal passoresede condominiale e a nord dal cortile condominiale.

Indirizzo
Via Corrado da Montemagno, 59B, Quarrata (PT)


Piano
-


Disponibilità
-


Vani
-


Bagni
-


Metri quadri
135,00


Certificazione energetica
-


Magazzini e locali di deposito

Fondo B) è racchiuso tra il precedente fondo A) e il successivo fondo C), ha una destinazione urbanistica catastale magazzino/deposito, è costituito da: ingresso, tre locali a uso laboratorio, disimpegno, magazzino/archivio, servizio igienico, il tutto accessibile a sud dal passoresede condominiale, a nord dal cortile coperto condominiale.

Indirizzo
Via Corrado da Montemagno, 59B, Quarrata (PT)


Piano
-


Disponibilità
-


Vani
-


Bagni
-


Metri quadri
131,00


Certificazione energetica
-


Fabbricati costruiti per esigenze commerciali

Fondo A) ha una destinazione urbanistica di tipo commerciale, è costituito da un vano laboratorio, vano magazzino con ufficio, vani accessori quali ripostigli e servizi igienici, disimpegno, n. 6 vani a uso ufficio, sala d'attesa e locale segreteria. Si accede a detto fondo sia dal lato sud sia dal lato nord, attraverso il piazzale condominiale, ove sono ubicati i posti auto in uso a detta porzione per regolamento condominiale.

Indirizzo
Via Corrado da Montemagno, 59B, Quarrata (PT)


Piano
-


Disponibilità
-


Vani
-


Bagni
-


Metri quadri
350,00


Certificazione energetica
-


Data udienza
28/05/2026 ore 16:00


Tipo di vendita
Senza incanto


Modalità di vendita
Asincrona telematica


Luogo
N.A. -


Luogo presentazione offerte
-


Termine presentazione offerte
27/05/2026 ore 12:00


Prezzo base
€ 197.800,00


Offerta minima
€ 148.350,00


Rialzo minimo in caso di gara
€ 3.500,00


Deposito cauzionale
10% del prezzo offerto


Deposito in conto spese
-


Tribunale
Pistoia

Tipo di procedura
Esecuzione immobiliare post legge 80

Ruolo
63/2009

Delegato alla vendita
Biagioni Chiara
(Procede alle operazioni di vendita)

Recapiti
Tel. 057327368

Email
-

Custode giudiziario
Isveg 
(Gestisce la visita del bene)

Recapiti
Tel. 0573308256

Scheda COD. 4267238 - Pubblicata dal 16/02/2026

La presente scheda di vendita riporta integralmente informazioni e documenti pervenuti ufficialmente dal Ministero e dal professionista incaricato.

Pubblicazione notarizzata su Blockchain


Pubblicazione autorizzata dall’Autorità competente, è vietata ogni ripubblicazione o riproduzione anche parziale


Ti interessa questa vendita?

Documentazione

Visualizza su mappa

Mappa geografica del bene

Storico delle vendite

Data venditaPrezzo base
14/06/2023€ 625.000,00
06/12/2023€ 468.750,00
10/04/2025€ 351.563,00
19/11/2025€ 263.680,00
28/05/2026€ 197.800,00

Punti di interesse

Fonte dati

Nel raggio di {{range}}Km

Loading...
  • {{ getIcon(poi.type) }} {{ poi.localized }}: {{poi.count}}
  • {{ getIcon(poi.type) }} {{ poi.localized }}: {{poi.count}}
Dati non disponibili