Astegiudiziarie.it è parte di Rete Aste Network

Accedi o registrati

Non sei ancora registrato?

Oppure

Accedi

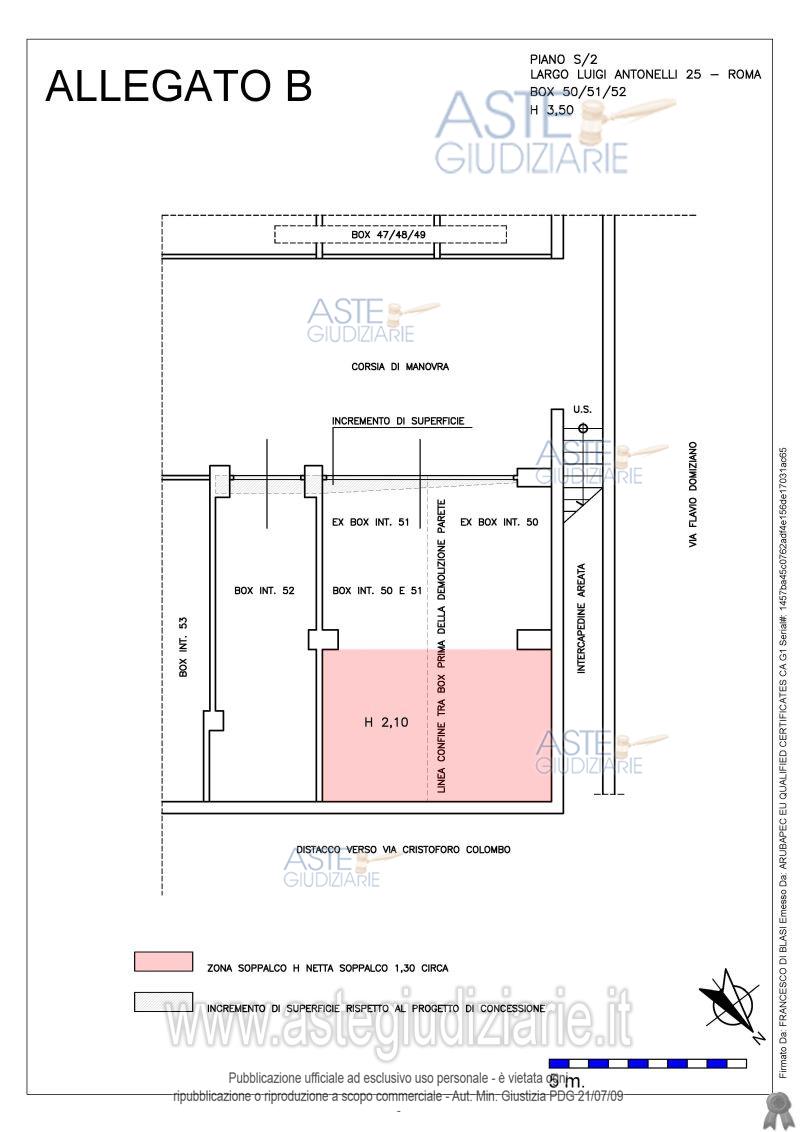
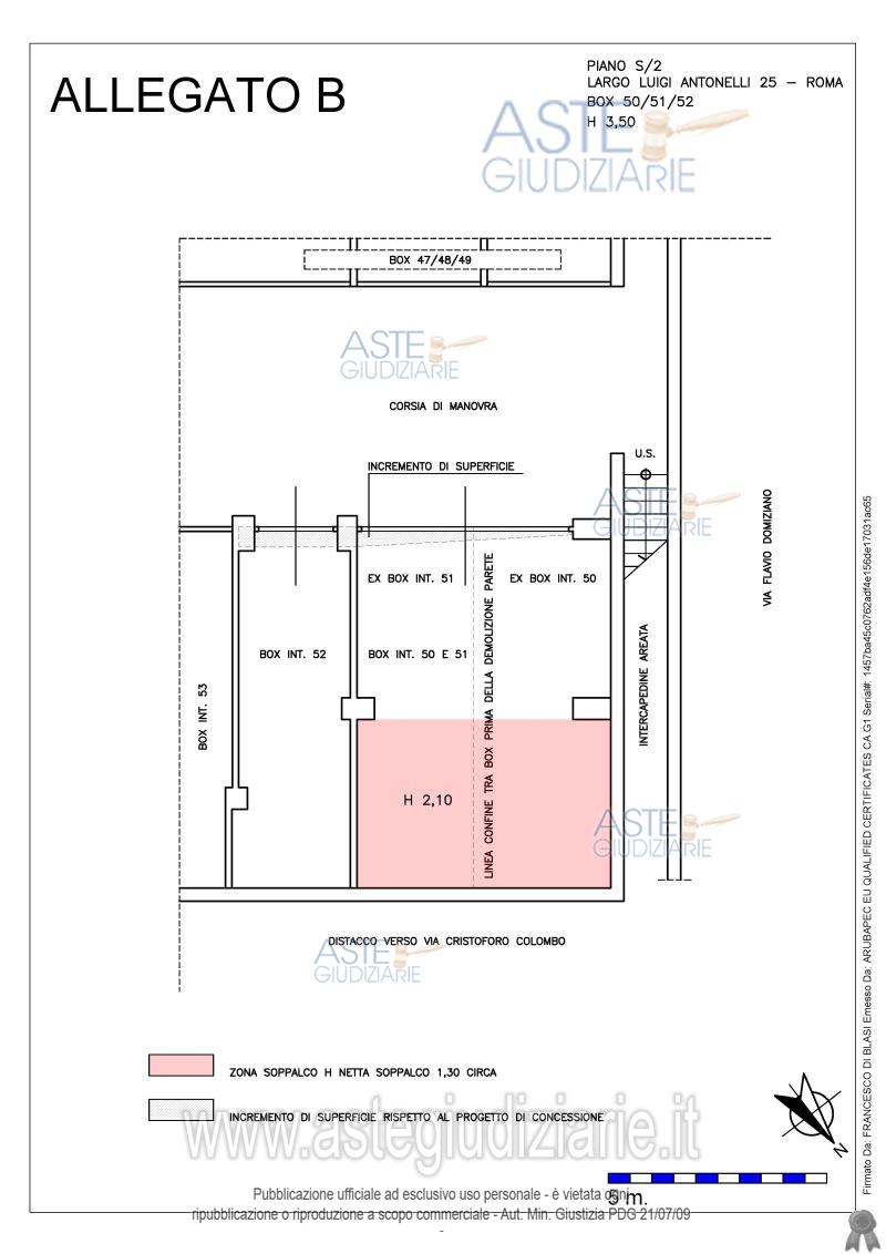
giudiziariagiudiziariaTribunale di ROMAESECUZIONI CIVILI IMMOBILIARIESECUZIONE IMMOBILIARE POST LEGGE 80292022GiudiceGiuseppeLauropolifalsefalseCustodeIvg di roma srlPRCFNC50L27A241Tpvp@visiteivgroma.it0689569801falsetrueDelegato alla venditaAlessandra TorelliTRLLSN72E47H501Ktruefalse24080442IMMOBILIIMMOBILE COMMERCIALELargo Luigi Antonelli, 25, 00145 Roma RM, Italia00145RomaRomaLazioItaliabox auto sito in Roma (RM), Largo Luigi Antonelli n. 25, piano S2, distinto con l’int. 52, composto da un ambiente unico per complessivi mq 23,08 circa convenzionali.3107218IMMOBILE COMMERCIALEGARAGE O AUTORIMESSALargo Luigi Antonelli, 25, 00145 Roma RM, Italia00145RomaRomaLazioItaliabox auto sito in Roma (RM), Largo Luigi Antonelli n. 25, piano S2, distinto con l’int. 52, composto da un ambiente unico per complessivi mq 23,08 circa convenzionali844672022026-06-11T14:00:00SENZA INCANTOASINCRONA TELEMATICAN.A.27.000,0020.250,003.000,002026-06-10T23:59:00sito pubblicitahttps://www.asteannunci.ithttps://www.asteannunci.itgestore delle venditehttps://www.garavirtuale.ithttps://www.garavirtuale.itsito pubblicitahttps://www.astegiudiziarie.ithttps://www.astegiudiziarie.itsito pubblicitahttps://www.fallcoaste.ithttps://www.fallcoaste.it2026-03-13

Garage o autorimessa

Largo Luigi Antonelli, 25, 00145 Roma RM, Italia, Roma (RM)

€ 27.000,00

Offerta minima € 20.250,00


Codice A4347188

Lotto 2

Data udienza 11/06/2026 ore 14:00

Termine presentazione offerte 10/06/2026 ore 23:59

Garage o autorimessa

Largo Luigi Antonelli, 25, 00145 Roma RM, Italia, Roma (RM)

€ 27.000,00

Offerta minima € 20.250,00


Codice A4347188

Lotto 2

Data udienza 11/06/2026 ore 14:00

Termine presentazione offerte 10/06/2026 ore 23:59

Ti interessa questa vendita?

Documentazione

Visualizza su mappa

Mappa geografica del bene

Punti di interesse

Fonte dati

Nel raggio di {{range}}Km

Loading...
  • {{ getIcon(poi.type) }} {{ poi.localized }}: {{poi.count}}
  • {{ getIcon(poi.type) }} {{ poi.localized }}: {{poi.count}}
Dati non disponibili

box auto sito in Roma (RM), Largo Luigi Antonelli n. 25, piano S2, distinto con l’int. 52, composto da un ambiente unico per complessivi mq 23,08 circa convenzionali.

Indirizzo
Largo Luigi Antonelli, 25, 00145 Roma RM, Italia, Roma (RM)


Codice asta
4347188


Lotto
2


Numero beni
1


Genere
Immobili


Categoria
Immobile commerciale


Valore di stima
-


Garage o autorimessa

box auto sito in Roma (RM), Largo Luigi Antonelli n. 25, piano S2, distinto con l’int. 52, composto da un ambiente unico per complessivi mq 23,08 circa convenzionali

Indirizzo
Largo Luigi Antonelli, 25, 00145 Roma RM, Italia, Roma (RM)


Piano
s2


Disponibilità
-


Vani
1,00


Bagni
0


Metri quadri
23,08


Certificazione energetica
-


Dati catastali

Foglio:844, Particella:67, Subalterno:202


Data udienza
11/06/2026 ore 14:00


Tipo di vendita
Senza incanto


Modalità di vendita
Asincrona telematica


Luogo
N.A. -


Luogo presentazione offerte
-


Termine presentazione offerte
10/06/2026 ore 23:59


Prezzo base
€ 27.000,00


Offerta minima
€ 20.250,00


Rialzo minimo in caso di gara
€ 3.000,00


Deposito cauzionale
-


Deposito in conto spese
-


Tribunale
Roma

Tipo di procedura
Esecuzione immobiliare post legge 80

Ruolo
29/2022

Giudice
Lauropoli Giuseppe

Recapiti
-

Email
-

Delegato alla vendita
Torelli  Alessandra
(Procede alle operazioni di vendita)

Recapiti
-

Email
-

Custode giudiziario
Ivg di roma srl  
(Gestisce la visita del bene)

Recapiti
-

Scheda COD. 4347188 - Pubblicata dal 23/03/2026

La presente scheda di vendita riporta integralmente informazioni e documenti pervenuti ufficialmente dal Ministero e dal professionista incaricato.

Pubblicazione notarizzata su Blockchain


Pubblicazione autorizzata dall’Autorità competente, è vietata ogni ripubblicazione o riproduzione anche parziale


Ti interessa questa vendita?

Documentazione

Visualizza su mappa

Mappa geografica del bene

Punti di interesse

Fonte dati

Nel raggio di {{range}}Km

Loading...
  • {{ getIcon(poi.type) }} {{ poi.localized }}: {{poi.count}}
  • {{ getIcon(poi.type) }} {{ poi.localized }}: {{poi.count}}
Dati non disponibili