Astegiudiziarie.it è parte di Rete Aste Network

Accedi o registrati

Non sei ancora registrato?

Oppure

Accedi

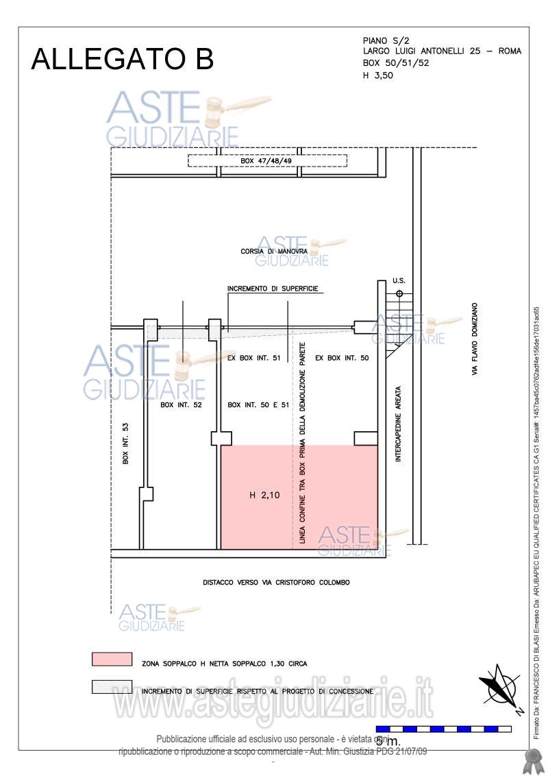
giudiziariagiudiziariaTribunale di ROMAESECUZIONI CIVILI IMMOBILIARIESECUZIONE IMMOBILIARE POST LEGGE 80292022CustodeIvg di roma srl PRCFNC50L27A241Tpvp@visiteivgroma.itfalsetrueGiudiceGiuseppe LauropolifalsefalseDelegato alla venditaAlessandraTorelli TRLLSN72E47H501Ktruefalse24080181IMMOBILIIMMOBILE COMMERCIALELargo Luigi Antonelli, 00145 Roma RM, Italia00145RomaRomaLazioItalian. 2 box auto siti in Roma (RM), Largo Lugi Antonelli n. 25, piano S2, distinti con gli int. 50 e int. 51, di fatto accorpati in un unico locale con serranda basculante di accesso e ampio soppalco in ferro, per complessivi mq 55,07 circa convenzionali.3107214IMMOBILE COMMERCIALEGARAGE O AUTORIMESSALargo Luigi Antonelli, 25, 00145 Roma RM, Italia00145RomaRomaLazioItalian. 2 box auto siti in Roma (RM), Largo Lugi Antonelli n. 25, piano S2, distinti con gli int. 50 e int. 51, di fatto accorpati in un unico locale con serranda basculante di accesso e ampio soppalco in ferro, per complessivi mq 55,07 circa convenzionali.84467200844672012026-06-11T14:00:00SENZA INCANTOASINCRONA TELEMATICAN.A.65.000,0048.750,003.000,002026-06-10T23:59:00sito pubblicitahttps://www.asteannunci.ithttps://www.asteannunci.itsito pubblicitahttps://www.fallcoaste.ithttps://www.fallcoaste.itgestore delle venditehttps://www.garavirtuale.ithttps://www.garavirtuale.itsito pubblicitahttps://www.astegiudiziarie.ithttps://www.astegiudiziarie.it2026-03-13

Garage o autorimessa

Largo Luigi Antonelli, 00145 Roma RM, Italia, Roma (RM)

€ 65.000,00

Offerta minima € 48.750,00


Codice A4347187

Lotto 1

Data udienza 11/06/2026 ore 14:00

Termine presentazione offerte 10/06/2026 ore 23:59

Garage o autorimessa

Largo Luigi Antonelli, 00145 Roma RM, Italia, Roma (RM)

€ 65.000,00

Offerta minima € 48.750,00


Codice A4347187

Lotto 1

Data udienza 11/06/2026 ore 14:00

Termine presentazione offerte 10/06/2026 ore 23:59

Ti interessa questa vendita?

Documentazione

Visualizza su mappa

Mappa geografica del bene

Punti di interesse

Fonte dati

Nel raggio di {{range}}Km

Loading...
  • {{ getIcon(poi.type) }} {{ poi.localized }}: {{poi.count}}
  • {{ getIcon(poi.type) }} {{ poi.localized }}: {{poi.count}}
Dati non disponibili

n. 2 box auto siti in Roma (RM), Largo Lugi Antonelli n. 25, piano S2, distinti con gli int. 50 e int. 51, di fatto accorpati in un unico locale con serranda basculante di accesso e ampio soppalco in ferro, per complessivi mq 55,07 circa convenzionali.

Indirizzo
Largo Luigi Antonelli, 00145 Roma RM, Italia, Roma (RM)


Codice asta
4347187


Lotto
1


Numero beni
1


Genere
Immobili


Categoria
Immobile commerciale


Valore di stima
-


Garage o autorimessa

n. 2 box auto siti in Roma (RM), Largo Lugi Antonelli n. 25, piano S2, distinti con gli int. 50 e int. 51, di fatto accorpati in un unico locale con serranda basculante di accesso e ampio soppalco in ferro, per complessivi mq 55,07 circa convenzionali.

Indirizzo
Largo Luigi Antonelli, 25, 00145 Roma RM, Italia, Roma (RM)


Piano
s2


Disponibilità
-


Vani
1,00


Bagni
0


Metri quadri
55,07


Certificazione energetica
-


Dati catastali

Foglio:844, Particella:67, Subalterno:200
Foglio:844, Particella:67, Subalterno:201


Data udienza
11/06/2026 ore 14:00


Tipo di vendita
Senza incanto


Modalità di vendita
Asincrona telematica


Luogo
N.A. -


Luogo presentazione offerte
-


Termine presentazione offerte
10/06/2026 ore 23:59


Prezzo base
€ 65.000,00


Offerta minima
€ 48.750,00


Rialzo minimo in caso di gara
€ 3.000,00


Deposito cauzionale
-


Deposito in conto spese
-


Tribunale
Roma

Tipo di procedura
Esecuzione immobiliare post legge 80

Ruolo
29/2022

Giudice
Lauropoli Giuseppe

Recapiti
-

Email
-

Delegato alla vendita
Torelli  Alessandra
(Procede alle operazioni di vendita)

Recapiti
-

Email
-

Custode giudiziario
Ivg di roma srl  
(Gestisce la visita del bene)

Recapiti
-

Scheda COD. 4347187 - Pubblicata dal 23/03/2026

La presente scheda di vendita riporta integralmente informazioni e documenti pervenuti ufficialmente dal Ministero e dal professionista incaricato.

Pubblicazione notarizzata su Blockchain


Pubblicazione autorizzata dall’Autorità competente, è vietata ogni ripubblicazione o riproduzione anche parziale


Ti interessa questa vendita?

Documentazione

Visualizza su mappa

Mappa geografica del bene

Punti di interesse

Fonte dati

Nel raggio di {{range}}Km

Loading...
  • {{ getIcon(poi.type) }} {{ poi.localized }}: {{poi.count}}
  • {{ getIcon(poi.type) }} {{ poi.localized }}: {{poi.count}}
Dati non disponibili