Astegiudiziarie.it è parte di Rete Aste Network

Accedi o registrati

Non sei ancora registrato?

Oppure

Accedi

Fabbricati costruiti per esigenze industriali

Strada Corio, 17, 10070 San Carlo Canavese TO, Italia, San Carlo Canavese (TO)

€ 3.880.000,00

Offerta minima € 2.910.000,00


Codice A4328841

Lotto Lotto unico

Data udienza 24/02/2026 ore 10:00

Termine presentazione offerte 23/02/2026 ore 12:00

Fabbricati costruiti per esigenze industriali

Strada Corio, 17, 10070 San Carlo Canavese TO, Italia, San Carlo Canavese (TO)

€ 3.880.000,00

Offerta minima € 2.910.000,00


Codice A4328841

Lotto Lotto unico

Data udienza 24/02/2026 ore 10:00

Termine presentazione offerte 23/02/2026 ore 12:00

Vendita deserta

Ti interessa questa vendita?

Documentazione

Visualizza su mappa

Mappa geografica del bene

Punti di interesse

Fonte dati

Nel raggio di {{range}}Km

Loading...
  • {{ getIcon(poi.type) }} {{ poi.localized }}: {{poi.count}}
  • {{ getIcon(poi.type) }} {{ poi.localized }}: {{poi.count}}
Dati non disponibili

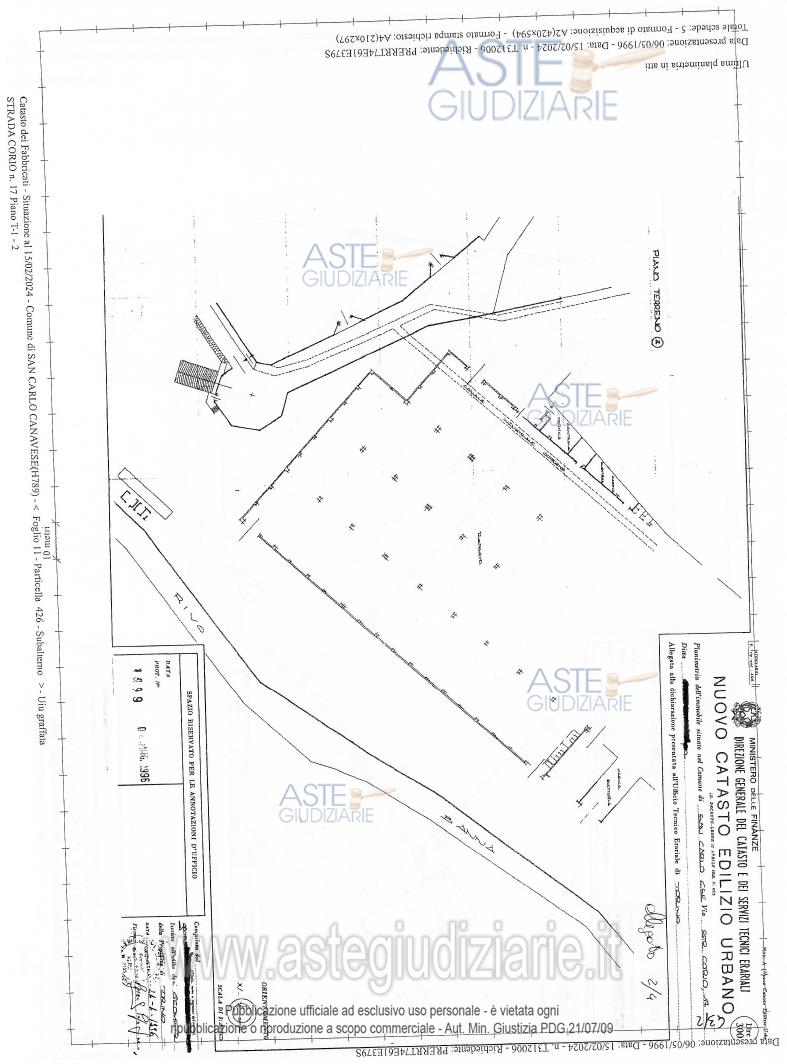
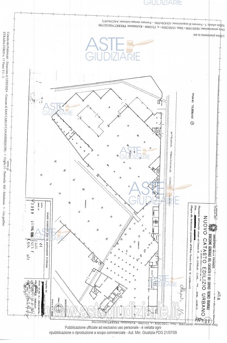
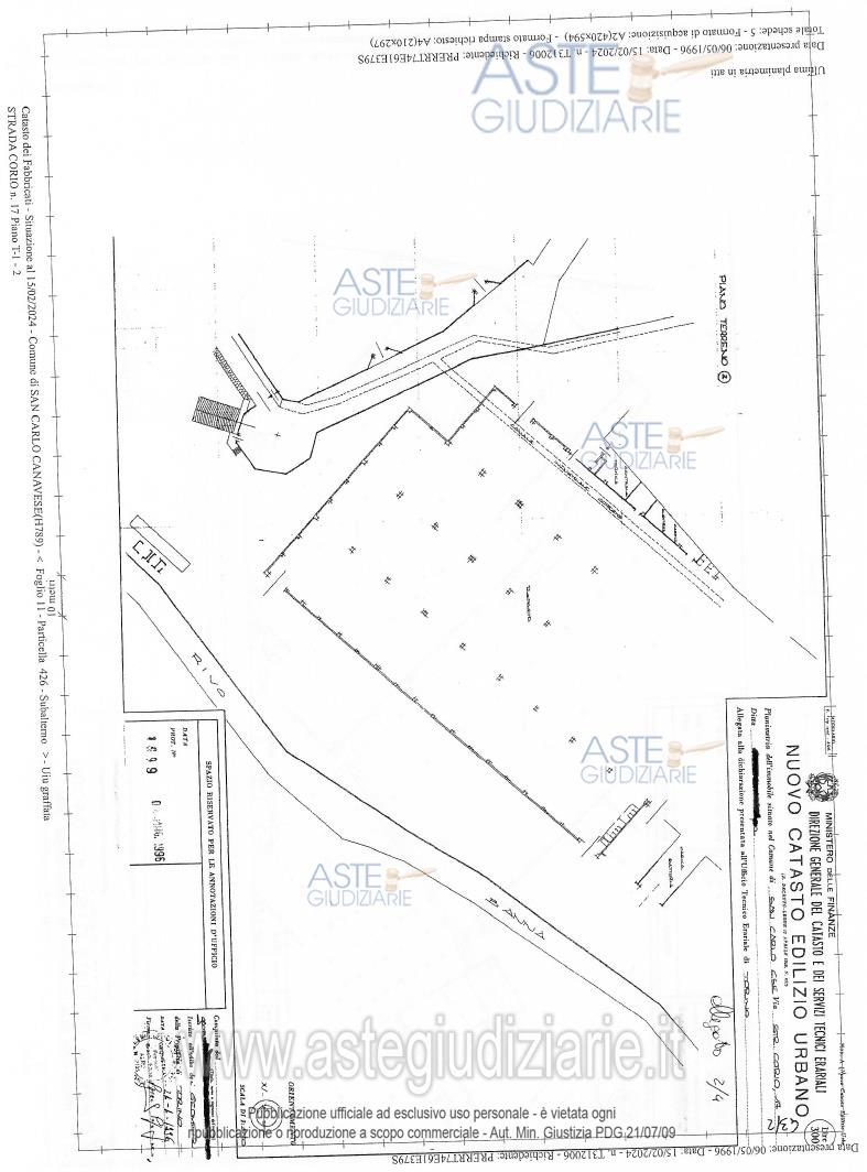
COMPLESSO INDUSTRIALE E ALLOGGIO CUSTODE, OLTRE TERRENI IN CIRIE’ (TO).

Indirizzo
Strada Corio, 17, 10070 San Carlo Canavese TO, Italia, San Carlo Canavese (TO)


Codice asta
4328841


Lotto
Lotto unico


Numero beni
1


Genere
Immobili


Categoria
Immobile industriale


Valore di stima
-


Fabbricati costruiti per esigenze industriali

COMPLESSO INDUSTRIALE E ALLOGGIO CUSTODE, OLTRE TERRENI IN CIRIE’ (TO).

Indirizzo
Strada Corio, 17, 10070 San Carlo Canavese TO, Italia, San Carlo Canavese (TO)


Piano
-


Disponibilità
-


Vani
-


Bagni
-


Metri quadri
31540,00


Certificazione energetica
-


Data udienza
24/02/2026 ore 10:00


Tipo di vendita
Senza incanto


Modalità di vendita
Asincrona telematica


Luogo
-


Luogo presentazione offerte
-


Termine presentazione offerte
23/02/2026 ore 12:00


Prezzo base
€ 3.880.000,00


Offerta minima
€ 2.910.000,00


Rialzo minimo in caso di gara
€ 10.000,00


Deposito cauzionale
10% del prezzo offerto


Deposito in conto spese
-


Tribunale
Ivrea

Tipo di procedura
Espropriazione immobiliare (cartabia)

Ruolo
247/2023

Delegato alla vendita
Meritano  Lorena
(Procede alle operazioni di vendita)

Recapiti
-

Email
-

Custode giudiziario
Meritano  Lorena
(Gestisce la visita del bene)

Recapiti
-

Email

Scheda COD. 4328841 - Pubblicata dal 04/12/2025

La presente scheda di vendita riporta integralmente informazioni e documenti pervenuti ufficialmente dal Ministero e dal professionista incaricato.


Pubblicazione autorizzata dall’Autorità competente, è vietata ogni ripubblicazione o riproduzione anche parziale


Ti interessa questa vendita?

Documentazione

Visualizza su mappa

Mappa geografica del bene

Storico delle vendite

Data venditaPrezzo base
29/07/2025€ 6.884.400,00
25/11/2025€ 5.164.000,00
24/02/2026€ 3.880.000,00

Punti di interesse

Fonte dati

Nel raggio di {{range}}Km

Loading...
  • {{ getIcon(poi.type) }} {{ poi.localized }}: {{poi.count}}
  • {{ getIcon(poi.type) }} {{ poi.localized }}: {{poi.count}}
Dati non disponibili