Astegiudiziarie.it è parte di Rete Aste Network

Accedi o registrati

Non sei ancora registrato?

Oppure

Accedi

Fabbricati costruiti per esigenze industriali

Strada Comunale Pozzo Priore n.13, Putignano (BA)

€ 677.700,00

Offerta minima € 677.700,00


Fabbricati costruiti per esigenze industriali

Strada Comunale Pozzo Priore n.13, Putignano (BA)

€ 677.700,00

Offerta minima € 677.700,00


Codice A4210731

Lotto Lotto unico

Data udienza 18/06/2026 ore 11:00

Termine presentazione offerte 17/06/2026 ore 12:00

Ti interessa questa vendita?

Documentazione

Visualizza su mappa

Mappa geografica del bene

Punti di interesse

Fonte dati

Nel raggio di {{range}}Km

Loading...
  • {{ getIcon(poi.type) }} {{ poi.localized }}: {{poi.count}}
  • {{ getIcon(poi.type) }} {{ poi.localized }}: {{poi.count}}
Dati non disponibili

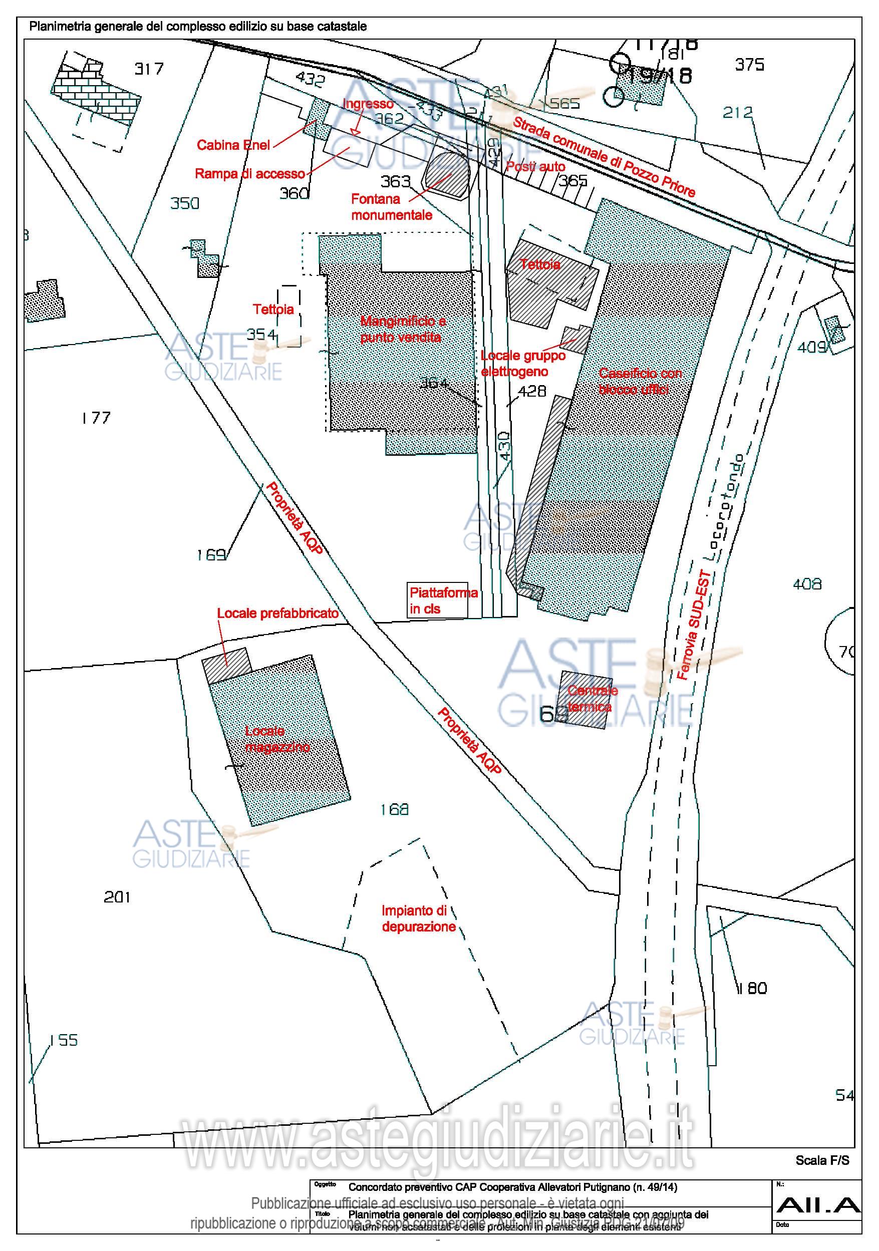
Per la piena ed intera proprietà: bene 1) Immobile ad uso caseificio con pertinenti centrale termica, impianto di depurazione e fabbricato separato adibito a ricovero mezzi aziendali; Per 1/2 dell’ intera proprietà : bene 2) Immobile ad uso cabina elettrica ENEL sviluppato su unico livello al piano stradale oltre a piazzale di ingresso.

Indirizzo
Strada Comunale Pozzo Priore n.13, Putignano (BA)


Codice asta
4210731


Lotto
Lotto unico


Numero beni
2


Genere
Immobili


Categoria
Immobile industriale


Valore di stima
-


Fabbricati costruiti per esigenze industriali

Per la piena ed intera proprietà Bene n. 1 - Immobile ad uso caseificio, sviluppato su tre livelli con annessi locali adibiti ad uffici urbanisticamente destinato a caseificio e catastalmente a opificio. Sono ad esso pertinenti e costituiscono pertanto parte integrante del Bene n.1: - Fabbricato separato seminterrato ospitante la Centrale Termica alimentata a gas metano; - Impianto di depurazione dei reflui del ciclo produttivo; - Fabbricato separato adibito a ricovero mezzi aziendali urbanisticamente destinato a “capannone ricovero macchine aziendali” e catastalmente a opificio.

Indirizzo
Strada Comunale Pozzo Priore n.13, Putignano (BA)


Piano
-


Disponibilità
LIBERO


Vani
-


Bagni
-


Metri quadri
3140,65


Certificazione energetica
-


Fabbricati costruiti per esigenze industriali

Per 1/2 dell’ intera proprietà: Bene n.2 Immobile ad uso cabina elettrica ENEL sviluppato su unico livello al piano stradale, urbanisticamente destinato a locale tecnico e catastalmente destinato a speciali esigenze di un’attività industriale (categoria catastale D/7) oltre a piazzale di ingresso situato su fronte strada di comune accesso al caseificio e ad altro bene non oggetto di vendita (Mangimificio), ubicati in Putignano (BA) – Strada Comunale Pozzo Priore n.15.

Indirizzo
Strada Comunale Pozzo Priore n.13, Putignano (BA)


Piano
-


Disponibilità
LIBERO


Vani
-


Bagni
-


Metri quadri
130,56


Certificazione energetica
-


Data udienza
18/06/2026 ore 11:00


Tipo di vendita
Senza incanto


Modalità di vendita
Asincrona telematica


Luogo
N.A. -


Luogo presentazione offerte
-


Termine presentazione offerte
17/06/2026 ore 12:00


Prezzo base
€ 677.700,00


Offerta minima
€ 677.700,00


Rialzo minimo in caso di gara
€ 50.000,00


Deposito cauzionale
10% del prezzo offerto


Deposito in conto spese
-


Tribunale
Bari

Tipo di procedura
Nuovo concordato preventivo

Ruolo
49/2014

Giudice
Simone Raffaella

Recapiti
-

Email
-

Soggetto specializzato alla vendita
Aste giudiziarie inlinea s.p.a. 
(Procede alle operazioni di vendita)
(Gestisce la visita del bene)

Recapiti
-

Liquidatore giudiziale
Tosches Luigi

Recapiti
-

Email
-

Scheda COD. 4210731 - Pubblicata dal 20/04/2026

La presente scheda di vendita riporta integralmente informazioni e documenti pervenuti ufficialmente dal Ministero e dal professionista incaricato.

Pubblicazione notarizzata su Blockchain


Pubblicazione autorizzata dall’Autorità competente, è vietata ogni ripubblicazione o riproduzione anche parziale


Ti interessa questa vendita?

Documentazione

Visualizza su mappa

Mappa geografica del bene

Storico delle vendite

Data venditaPrezzo base
16/09/2021€ 2.150.000,00
30/11/2021€ 1.827.500,00
05/04/2022€ 1.553.375,00
29/06/2022€ 1.242.700,00
15/02/2023€ 1.093.576,00
05/07/2023€ 929.539,60
23/10/2024€ 836.585,64
25/06/2025€ 753.000,00
18/06/2026€ 677.700,00

Punti di interesse

Fonte dati

Nel raggio di {{range}}Km

Loading...
  • {{ getIcon(poi.type) }} {{ poi.localized }}: {{poi.count}}
  • {{ getIcon(poi.type) }} {{ poi.localized }}: {{poi.count}}
Dati non disponibili