Accedi o registrati
Oppure
Accedi
Via G. Marconi, 22, Agnosine (BS)
Offerta minima € 113.906,25
Codice A4274303
Lotto 1
Data udienza 11/12/2025 ore 09:30
Termine presentazione offerte 10/12/2025 ore 12:00
Via G. Marconi, 22, Agnosine (BS)
Offerta minima € 113.906,25
Codice A4274303
Lotto 1
Data udienza 11/12/2025 ore 09:30
Termine presentazione offerte 10/12/2025 ore 12:00
                Nel raggio di {{range}}Km
                
                
            
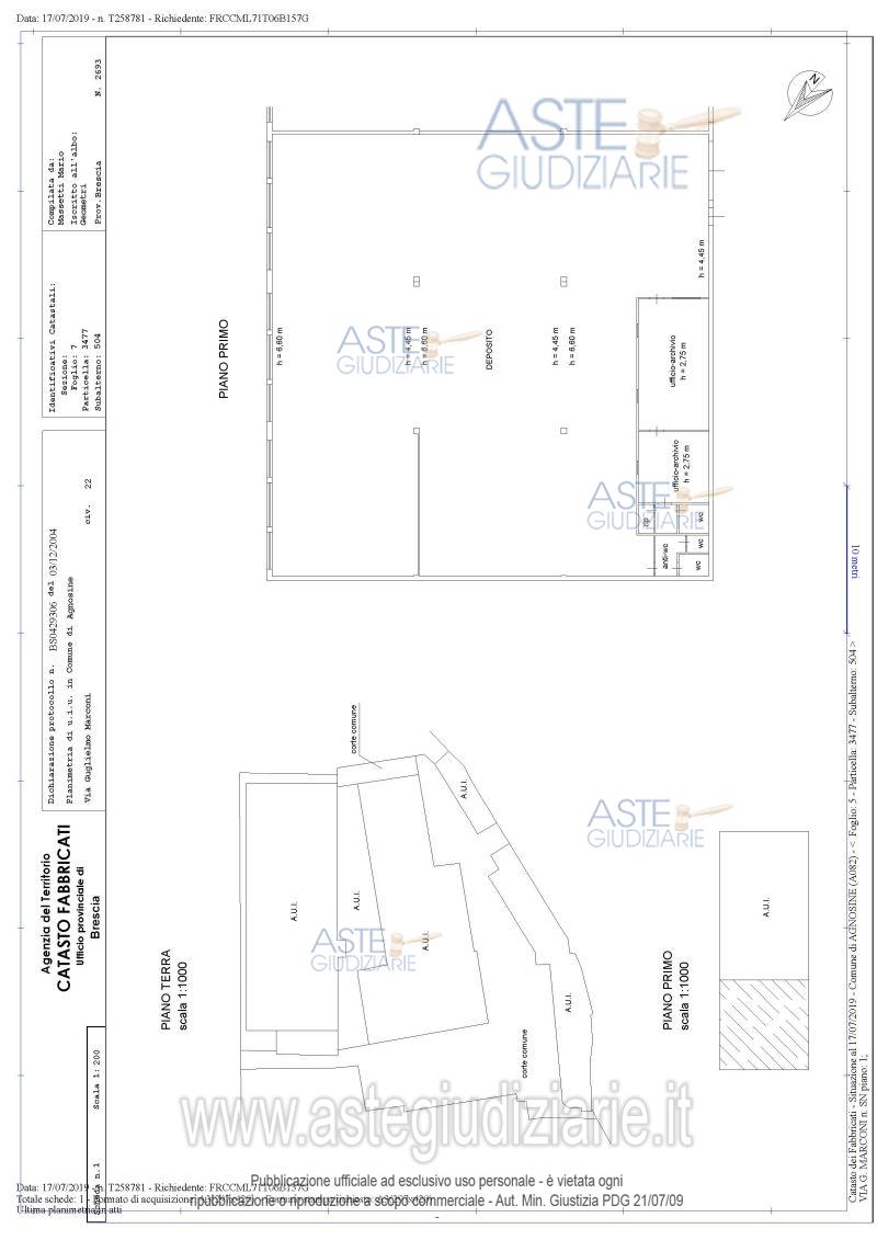
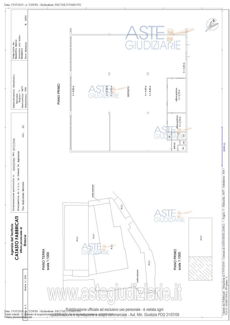
Piena proprietà di unità immobiliare adibita a deposito al piano primo del complesso di capannoni industriali con accesso da Via Marconi n.22.
                                Indirizzo
                                
                                    Via G. Marconi, 22,
                                Agnosine (BS)
                            
                                Codice asta
                                
                                4274303
                            
                                Lotto
                                
                                1
                            
                                Numero beni
                                
                                1
                            
                                Genere
                                
                                Immobili
                            
                                Categoria
                                
                                Immobile industriale
                            
                                    Valore di stima
                                
                                -
                            
Fabbricati costruiti per esigenze industriali
Piena proprietà di unità immobiliare adibita a deposito al piano primo del complesso di capannoni industriali con accesso da Via Marconi n.22.
                    Indirizzo
                    
                        Via G. Marconi, 22,
                    Agnosine (BS)
                    
                    
                    
                    
                    
                
                    Piano
                    
                    -
                
                    Disponibilità
                    
                        -
                
                    Vani
                    
                        -
                
                    Bagni
                    
                    -
                
                    Metri quadri
                    
                        -
                
                    Certificazione energetica
                    
                    -
                
                                
Data udienza                                
                                
                                11/12/2025 ore 09:30
                            
                                Tipo di vendita
                                
                                Senza incanto
                            
                                Modalità di vendita
                                
                                    Asincrona telematica
                            
                                Luogo
                                
                                
                                - 
                                
                                
                                
                                
                                
                            
                                Luogo presentazione offerte
                                
                                -
                            
                                Termine presentazione offerte
                                
                                10/12/2025 ore 12:00
                            
                                    Prezzo base
                                
                                € 151.875,00
                            
                                Offerta minima
                                
                                € 113.906,25
                            
                                Rialzo minimo in caso di gara
                                
                                € 1.600,00
                            
                                Deposito cauzionale
                                
                                10% del prezzo offerto
                            
                                Deposito in conto spese
                                
                                -
                            
                                Tribunale
                                
Brescia                            
                                Tipo di procedura
                                
Esecuzione immobiliare post legge 80                            
                                Ruolo
                                
                                76/2019
                            
                                    Delegato alla vendita
                                    
                                    Rosa Gianluca
                                        
(Procede alle operazioni di vendita)
                                                                    
                                    Recapiti
                                    
                                    Tel. 030222849
                                
                                    Email
                                    
                                                grosa@notariato.it
                                
                                    Custode giudiziario
                                    
                                    Rosa Gianluca
                                                                            
(Gestisce la visita del bene)
                                
                                    Recapiti
                                    
                                    -
                                
Scheda COD. 4274303 - Pubblicata dal 23/10/2025
La presente scheda di vendita riporta integralmente informazioni e documenti pervenuti ufficialmente dal Ministero e dal professionista incaricato.
Pubblicazione autorizzata dall’Autorità competente, è vietata ogni ripubblicazione o riproduzione anche parziale
| Data vendita | Prezzo base | 
| 22/06/2023 | € 270.000,00 | 
| 08/05/2024 | € 270.000,00 | 
| 07/11/2024 | € 202.500,00 | 
| 26/03/2025 | € 151.875,00 | 
| 11/12/2025 | € 151.875,00 | 
                Nel raggio di {{range}}Km