Astegiudiziarie.it è parte di Rete Aste Network

Accedi o registrati

Non sei ancora registrato?

Oppure

Accedi

Fabbricati costruiti per esigenze commerciali

Via PIAVE 10, Scaldasole (PV)

€ 31.300,00

Offerta minima € 23.475,00


Codice A4350140

Lotto 3

Data udienza 23/06/2026 ore 15:00

Termine presentazione offerte 22/06/2026 ore 12:00

Fabbricati costruiti per esigenze commerciali

Via PIAVE 10, Scaldasole (PV)

€ 31.300,00

Offerta minima € 23.475,00


Codice A4350140

Lotto 3

Data udienza 23/06/2026 ore 15:00

Termine presentazione offerte 22/06/2026 ore 12:00

Ti interessa questa vendita?

Documentazione

Visualizza su mappa

Mappa geografica del bene

Punti di interesse

Fonte dati

Nel raggio di {{range}}Km

Loading...
  • {{ getIcon(poi.type) }} {{ poi.localized }}: {{poi.count}}
  • {{ getIcon(poi.type) }} {{ poi.localized }}: {{poi.count}}
Dati non disponibili

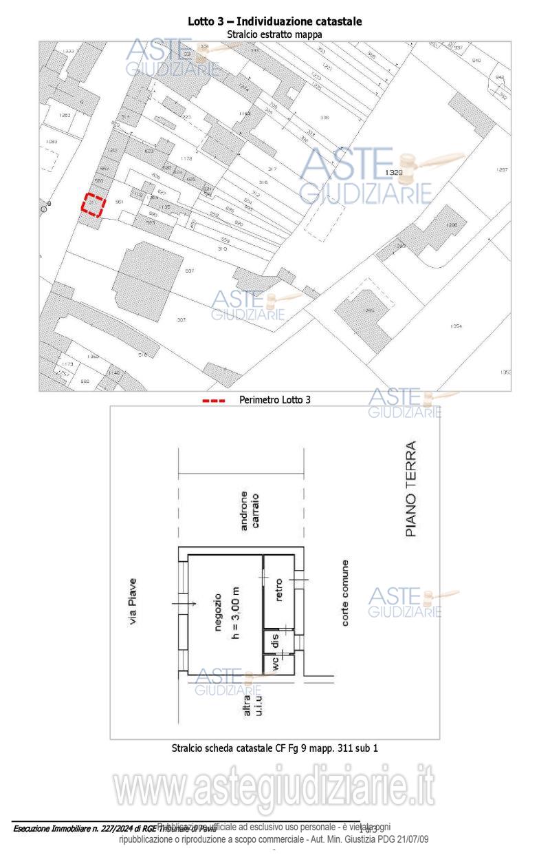
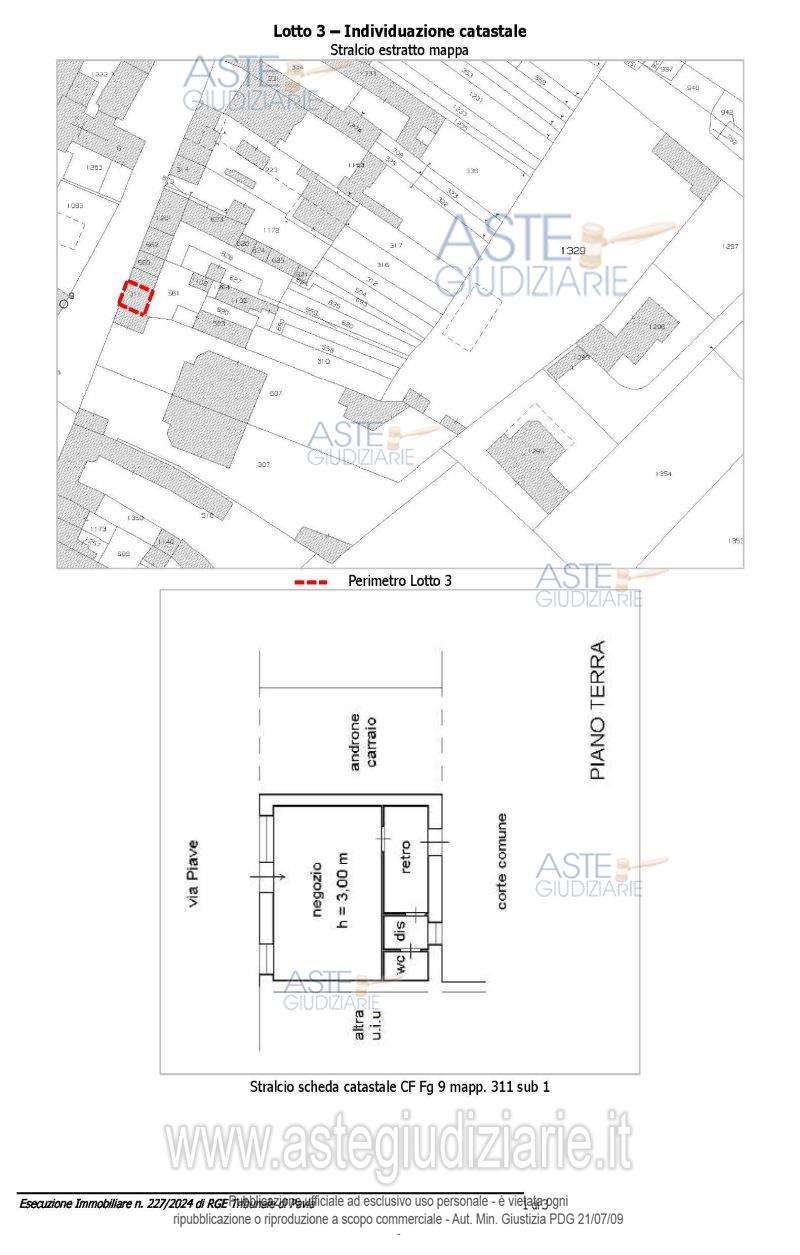
Negozio di superficie commerciale 36 mq al piano terra composto da un locale principale con vetrina, altro locale retrostante con accesso dal cortile, bagno con disimpegno.

Indirizzo
Via PIAVE 10, Scaldasole (PV)


Codice asta
4350140


Lotto
3


Numero beni
1


Genere
Immobili


Categoria
Immobile commerciale


Valore di stima
-


Fabbricati costruiti per esigenze commerciali

Negozio di superficie commerciale 36 mq al piano terra composto da un locale principale con vetrina, altro locale retrostante con accesso dal cortile, bagno con disimpegno.

Indirizzo
Via PIAVE 10, Scaldasole (PV)


Piano
-


Disponibilità
LIBERO


Vani
-


Bagni
-


Metri quadri
36,00


Certificazione energetica
-


Data udienza
23/06/2026 ore 15:00


Tipo di vendita
Senza incanto


Modalità di vendita
Asincrona telematica


Luogo
N.A. -


Luogo presentazione offerte
-


Termine presentazione offerte
22/06/2026 ore 12:00


Prezzo base
€ 31.300,00


Offerta minima
€ 23.475,00


Rialzo minimo in caso di gara
€ 1.000,00


Deposito cauzionale
10% del prezzo offerto


Deposito in conto spese
-


Tribunale
Pavia

Tipo di procedura
Espropriazione immobiliare (cartabia)

Ruolo
227/2024

Giudice
Appiani Francesca claris

Recapiti
-

Email
-

Delegato alla vendita
Abela Gaetano
(Procede alle operazioni di vendita)

Recapiti
-

Email
-

Custode giudiziario
Giudiziarie di vigevano Istituto vendite
(Gestisce la visita del bene)

Recapiti
Tel. 0381691137

Scheda COD. 4350140 - Pubblicata dal 22/04/2026

La presente scheda di vendita riporta integralmente informazioni e documenti pervenuti ufficialmente dal Ministero e dal professionista incaricato.


Pubblicazione autorizzata dall’Autorità competente, è vietata ogni ripubblicazione o riproduzione anche parziale


Ti interessa questa vendita?

Documentazione

Visualizza su mappa

Mappa geografica del bene

Punti di interesse

Fonte dati

Nel raggio di {{range}}Km

Loading...
  • {{ getIcon(poi.type) }} {{ poi.localized }}: {{poi.count}}
  • {{ getIcon(poi.type) }} {{ poi.localized }}: {{poi.count}}
Dati non disponibili