Astegiudiziarie.it è parte di Rete Aste Network

Accedi o registrati

Non sei ancora registrato?

Oppure

Accedi

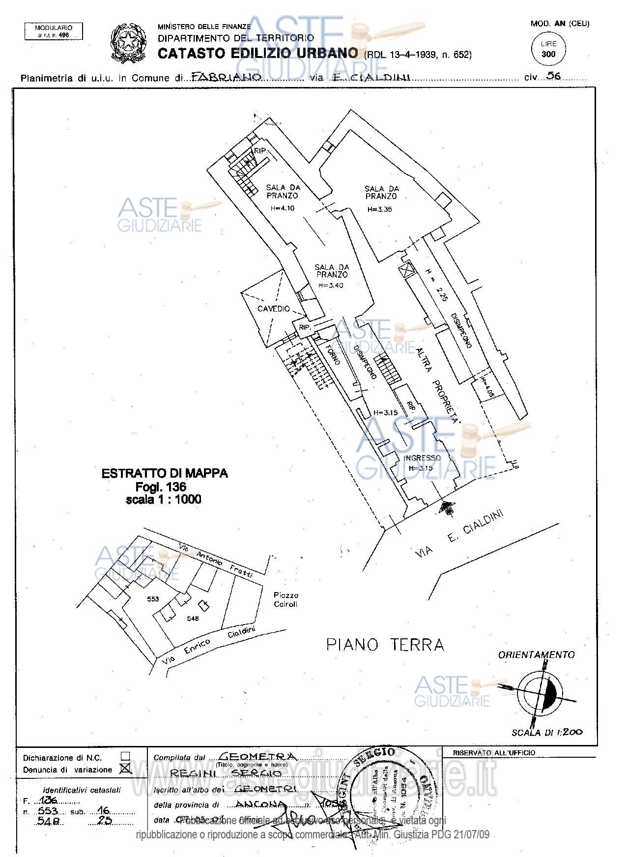
giudiziariagiudiziariaTribunale di ANCONAPROCEDURE CONCORSUALILIQUIDAZIONE GIUDIZIALE (CCI)362024CuratoreGabrieleSartinifalsefalseGiudiceGiulianaFilippellofalsefalseSoggetto specializzato alla venditaAste giudiziarie inlinea s.p.a.MNTGLC63E08E625Hvendite@astegiudiziarie.ittruetrue24142796IMMOBILIIMMOBILE COMMERCIALEPiazza Benedetto Cairoli, 60044 Fabriano AN, ItaliaFabrianoAnconaMarcheItaliaLotto F. Immobile consistente in un esercizio commerciale di ristorante e pizzeria ubicato nel centro storico, oltre numerosi beni mobili di varia natura, quali attrezzature, macchinari, derrate alimentari, vini , arredamenti, attrezzature elettroniche etc. , così come meglio descritti nella perizia di stima dell’Ing. Cristian Bendelari dal n. 1 al n. 221.3114616IMMOBILE COMMERCIALEFABBRICATI COSTRUITI PER ESIGENZE COMMERCIALIPiazza Benedetto Cairoli, 60044 Fabriano AN, ItaliaFabrianoAnconaMarcheItaliaLotto F. Ristorante e pizzeria ubicato nel centro storico e sito nelle vie Cialdini, con ingressi ai civici 56-60-62, Piazza Cairoli, con ingresso al civico 1, ed affacci su via Antonio Fratti e su via Filzi, quest’ultimo anche con ingresso al civico 13, oltre numerosi beni mobili di varia natura, quali attrezzature, macchinari, derrate alimentari, vini , arredamenti, attrezzature elettroniche etc. , così come meglio descritti nella perizia di stima dell’Ing. Cristian Bendelari dal n. 1 al n. 221.La disposizione distributiva delle sale e dei servizi del ristorante è molto articolata e irregolare.Oltre al piano terra dove troviamo una piccola reception, un vano osteria, sale da pranzo, bar, due cucine, corridoi che disimpegnano su ripostigli e servizi igienici, il ristorante si compone anche di una piccola porzione posta al piano interrato dove troviamo la pizzeria costituita da due sale, e di altre poste al piano primo, ammezzato e secondo/sottotetto, anch’esse destinate a ristorante. Al primo piano è presente anche uno spazio disimpegno che di fatto si trova a livello della Via Filzi dal cui n. 13 si può entrare ad una corte esclusiva utilizzata anch’essa come ristorante nei mesi estivi, Sempre dal locale disimpegno si accede ad alcuni locali magazzino e di servizio ed ad una scala interna che conduce ad un piano ammezzato dove è presente un piccolo vano ad uso ripostiglio che si affaccia su un cortile esterno.LIBER4302026-06-11T11:00:00SENZA INCANTOASINCRONA TELEMATICAN.A.384.622,50288.466,885.000,002026-06-10T12:00:00gestore delle venditehttp://www.astetelematiche.ithttp://www.astetelematiche.itsito pubblicitahttps://www.astegiudiziarie.ithttps://www.astegiudiziarie.it2026-03-26

Fabbricati costruiti per esigenze commerciali

Piazza Benedetto Cairoli, 60044 Fabriano AN, Italia, Fabriano (AN)

€ 384.622,50

Offerta minima € 288.466,88


Codice A4334911

Lotto F

Data udienza 11/06/2026 ore 11:00

Termine presentazione offerte 10/06/2026 ore 12:00

Fabbricati costruiti per esigenze commerciali

Piazza Benedetto Cairoli, 60044 Fabriano AN, Italia, Fabriano (AN)

€ 384.622,50

Offerta minima € 288.466,88


Codice A4334911

Lotto F

Data udienza 11/06/2026 ore 11:00

Termine presentazione offerte 10/06/2026 ore 12:00

Ti interessa questa vendita?

Documentazione

Visualizza su mappa

Mappa geografica del bene

Punti di interesse

Fonte dati

Nel raggio di {{range}}Km

Loading...
  • {{ getIcon(poi.type) }} {{ poi.localized }}: {{poi.count}}
  • {{ getIcon(poi.type) }} {{ poi.localized }}: {{poi.count}}
Dati non disponibili

Lotto F. Immobile consistente in un esercizio commerciale di ristorante e pizzeria ubicato nel centro storico, oltre numerosi beni mobili di varia natura, quali attrezzature, macchinari, derrate alimentari, vini , arredamenti, attrezzature elettroniche etc. , così come meglio descritti nella perizia di stima dell’Ing. Cristian Bendelari dal n. 1 al n. 221.

Indirizzo
Piazza Benedetto Cairoli, 60044 Fabriano AN, Italia, Fabriano (AN)


Codice asta
4334911


Lotto
F


Numero beni
1


Genere
Immobili


Categoria
Immobile commerciale


Valore di stima
-


Fabbricati costruiti per esigenze commerciali

Lotto F. Ristorante e pizzeria ubicato nel centro storico e sito nelle vie Cialdini, con ingressi ai civici 56-60-62, Piazza Cairoli, con ingresso al civico 1, ed affacci su via Antonio Fratti e su via Filzi, quest’ultimo anche con ingresso al civico 13, oltre numerosi beni mobili di varia natura, quali attrezzature, macchinari, derrate alimentari, vini , arredamenti, attrezzature elettroniche etc. , così come meglio descritti nella perizia di stima dell’Ing. Cristian Bendelari dal n. 1 al n. 221.La disposizione distributiva delle sale e dei servizi del ristorante è molto articolata e irregolare.Oltre al piano terra dove troviamo una piccola reception, un vano osteria, sale da pranzo, bar, due cucine, corridoi che disimpegnano su ripostigli e servizi igienici, il ristorante si compone anche di una piccola porzione posta al piano interrato dove troviamo la pizzeria costituita da due sale, e di altre poste al piano primo, ammezzato e secondo/sottotetto, anch’esse destinate a ristorante. Al primo piano è presente anche uno spazio disimpegno che di fatto si trova a livello della Via Filzi dal cui n. 13 si può entrare ad una corte esclusiva utilizzata anch’essa come ristorante nei mesi estivi, Sempre dal locale disimpegno si accede ad alcuni locali magazzino e di servizio ed ad una scala interna che conduce ad un piano ammezzato dove è presente un piccolo vano ad uso ripostiglio che si affaccia su un cortile esterno.

Indirizzo
Piazza Benedetto Cairoli, 60044 Fabriano AN, Italia, Fabriano (AN)


Piano
-


Disponibilità
LIBERO


Vani
-


Bagni
-


Metri quadri
430,00


Certificazione energetica
-


Data udienza
11/06/2026 ore 11:00


Tipo di vendita
Senza incanto


Modalità di vendita
Asincrona telematica


Luogo
N.A. -


Luogo presentazione offerte
-


Termine presentazione offerte
10/06/2026 ore 12:00


Prezzo base
€ 384.622,50


Offerta minima
€ 288.466,88


Rialzo minimo in caso di gara
€ 5.000,00


Deposito cauzionale
10% del prezzo offerto


Deposito in conto spese
-


Tribunale
Ancona

Tipo di procedura
Liquidazione giudiziale(cci)

Ruolo
36/2024

Giudice
Filippello Giuliana

Recapiti
-

Email
-

Soggetto specializzato alla vendita
Aste giudiziarie inlinea s.p.a. 
(Procede alle operazioni di vendita)
(Gestisce la visita del bene)

Recapiti
-

Professionista delegato
Sartini Gabriele

Recapiti
Tel. 3337222327

Email
-

Curatore
Sartini Gabriele

Recapiti
-

Email
-

Scheda COD. 4334911 - Pubblicata dal 26/03/2026

La presente scheda di vendita riporta integralmente informazioni e documenti pervenuti ufficialmente dal Ministero e dal professionista incaricato.


Pubblicazione autorizzata dall’Autorità competente, è vietata ogni ripubblicazione o riproduzione anche parziale


Ti interessa questa vendita?

Documentazione

Visualizza su mappa

Mappa geografica del bene

Storico delle vendite

Data venditaPrezzo base
05/11/2025€ 512.830,00
11/06/2026€ 384.622,50

Punti di interesse

Fonte dati

Nel raggio di {{range}}Km

Loading...
  • {{ getIcon(poi.type) }} {{ poi.localized }}: {{poi.count}}
  • {{ getIcon(poi.type) }} {{ poi.localized }}: {{poi.count}}
Dati non disponibili