Astegiudiziarie.it è parte di Rete Aste Network

Accedi o registrati

Non sei ancora registrato?

Oppure

Accedi

Fabbricato, tettoie chiuse o aperte, fabbricato rurale, terreno

Via Candia, 30, 10030 Vische TO, Italia, Vische (TO)

€ 22.467,00

Offerta minima € 16.850,25


Codice A4320889

Lotto Lotto unico

Data udienza 10/06/2026 ore 09:30

Termine presentazione offerte 09/06/2026 ore 12:00

Fabbricato, tettoie chiuse o aperte, fabbricato rurale, terreno

Via Candia, 30, 10030 Vische TO, Italia, Vische (TO)

€ 22.467,00

Offerta minima € 16.850,25


Codice A4320889

Lotto Lotto unico

Data udienza 10/06/2026 ore 09:30

Termine presentazione offerte 09/06/2026 ore 12:00

Ti interessa questa vendita?

Documentazione

Visualizza su mappa

Mappa geografica del bene

Punti di interesse

Fonte dati

Nel raggio di {{range}}Km

Loading...
  • {{ getIcon(poi.type) }} {{ poi.localized }}: {{poi.count}}
  • {{ getIcon(poi.type) }} {{ poi.localized }}: {{poi.count}}
Dati non disponibili

Piena proprietà di porzione di fabbricato, elevato a due piani fuori terra, di tipica cascina delcanavese a corte chiusa, comprensivo di giardino sul retro, pertinenze e tettoie ed appezzamento di terreno ubicato a Vische (TO), Lungo via Cascine Pratoferro.

Indirizzo
Via Candia, 30, 10030 Vische TO, Italia, Vische (TO)


Codice asta
4320889


Lotto
Lotto unico


Numero beni
4


Genere
Immobili


Categoria
Immobile residenziale


Valore di stima
-


Fabbricato

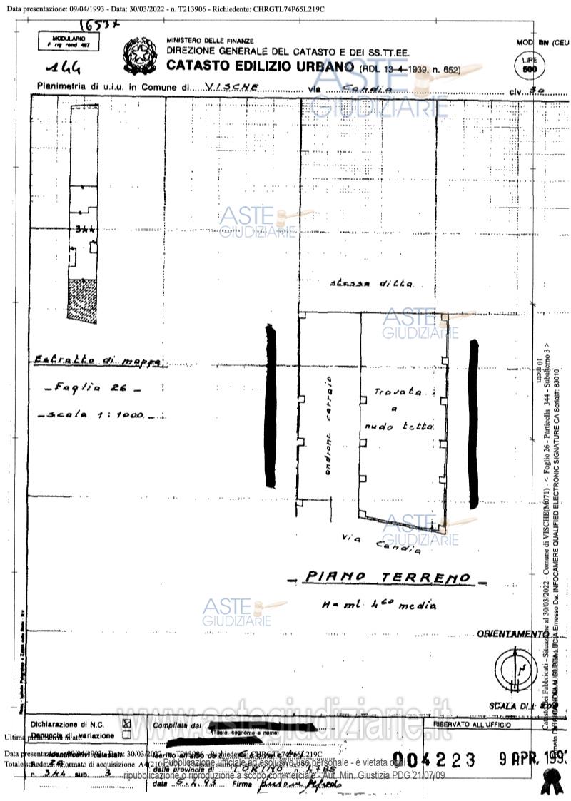
Fabbricato di ingresso costituito da androne carraio e travata a tetto nudo tipo fienile ad un piano fuori terra, sito lungo la via di accesso, Via Candia

Indirizzo
Via Candia, 30, 10030 Vische TO, Italia, Vische (TO)


Piano
-


Disponibilità
-


Vani
2,00


Bagni
-


Metri quadri
96,00


Certificazione energetica
-


Tettoie chiuse o aperte

tettoia/pollaio interno cortile, tettoia di tipo chiuso interno cortile

Indirizzo
Via Candia, 30, 10030 Vische TO, Italia, Vische (TO)


Piano
-


Disponibilità
-


Vani
-


Bagni
-


Metri quadri
23,00


Certificazione energetica
-


Fabbricato rurale

Porzione di cascina occupante la testata di immobile in linea sviluppato a due piani fuoriterra, con fronte su corte chiusa e cortile/giardino di tipo aperto e recintato sul retro delfabbricato (bene 1 di perizia), composto da: al piano terreno (primo fuori terra) dasoggiorno, cucina, corridoio con sottoscala, camera, ripostiglio, disimpegno e servizio conpertinente vano accessorio, locale di sgombero ex stalla ed al piano primo (secondo fuoriterra) da camera, locale di sgombero e camera con balcone e pertinenza travata a tetto nudo.L'accesso alla proprietà avviene tramite l'androne coperto dal quale si accede alla corteprivata;

Indirizzo
Via Candia, 30, 10030 Vische TO, Italia, Vische (TO)


Piano
-


Disponibilità
-


Vani
7,00


Bagni
-


Metri quadri
134,00


Certificazione energetica
-


Terreno

Terreno di tipo agricolo sito lungo la via Cascine Pratoferro

Indirizzo
Via Candia, 30, 10030 Vische TO, Italia, Vische (TO)


Piano
-


Disponibilità
-


Vani
-


Bagni
-


Metri quadri
970,00


Certificazione energetica
-


Data udienza
10/06/2026 ore 09:30


Tipo di vendita
Senza incanto


Modalità di vendita
Asincrona telematica


Luogo
N.A. -


Luogo presentazione offerte
-


Termine presentazione offerte
09/06/2026 ore 12:00


Prezzo base
€ 22.467,00


Offerta minima
€ 16.850,25


Rialzo minimo in caso di gara
€ 500,00


Deposito cauzionale
10% del prezzo offerto


Deposito in conto spese
-


Tribunale
Ivrea

Tipo di procedura
Contenzioso civile

Ruolo
2487/2023

Delegato alla vendita
Defilippi Monica
(Procede alle operazioni di vendita)

Recapiti
-

Email
-

Custode giudiziario
Defilippi Monica
(Gestisce la visita del bene)

Recapiti
Cell. 3388947609

Scheda COD. 4320889 - Pubblicata dal 08/04/2026

La presente scheda di vendita riporta integralmente informazioni e documenti pervenuti ufficialmente dal Ministero e dal professionista incaricato.

Pubblicazione notarizzata su Blockchain


Pubblicazione autorizzata dall’Autorità competente, è vietata ogni ripubblicazione o riproduzione anche parziale


Ti interessa questa vendita?

Documentazione

Visualizza su mappa

Mappa geografica del bene

Storico delle vendite

Data venditaPrezzo base
09/04/2025€ 71.000,00
15/07/2025€ 53.250,00
18/11/2025€ 39.940,00
24/02/2026€ 29.955,00
10/06/2026€ 22.467,00

Punti di interesse

Fonte dati

Nel raggio di {{range}}Km

Loading...
  • {{ getIcon(poi.type) }} {{ poi.localized }}: {{poi.count}}
  • {{ getIcon(poi.type) }} {{ poi.localized }}: {{poi.count}}
Dati non disponibili