Astegiudiziarie.it è parte di Rete Aste Network

Accedi o registrati

Non sei ancora registrato?

Oppure

Accedi

Fabbricati per attività agricole

contrada Tiepidi o Tiepoli, Vizzini (CT)

€ 2.515.000,00

Offerta minima € 1.886.250,00


Codice A4350407

Lotto Lotto unico

Data udienza 24/06/2026 ore 15:30

Termine presentazione offerte 23/06/2026 ore 13:00

Fabbricati per attività agricole

contrada Tiepidi o Tiepoli, Vizzini (CT)

€ 2.515.000,00

Offerta minima € 1.886.250,00


Codice A4350407

Lotto Lotto unico

Data udienza 24/06/2026 ore 15:30

Termine presentazione offerte 23/06/2026 ore 13:00

Ti interessa questa vendita?

Documentazione

Visualizza su mappa

Mappa geografica del bene

Punti di interesse

Fonte dati

Nel raggio di {{range}}Km

Loading...
  • {{ getIcon(poi.type) }} {{ poi.localized }}: {{poi.count}}
  • {{ getIcon(poi.type) }} {{ poi.localized }}: {{poi.count}}
Dati non disponibili

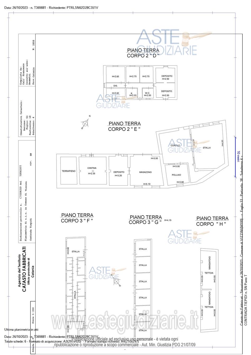
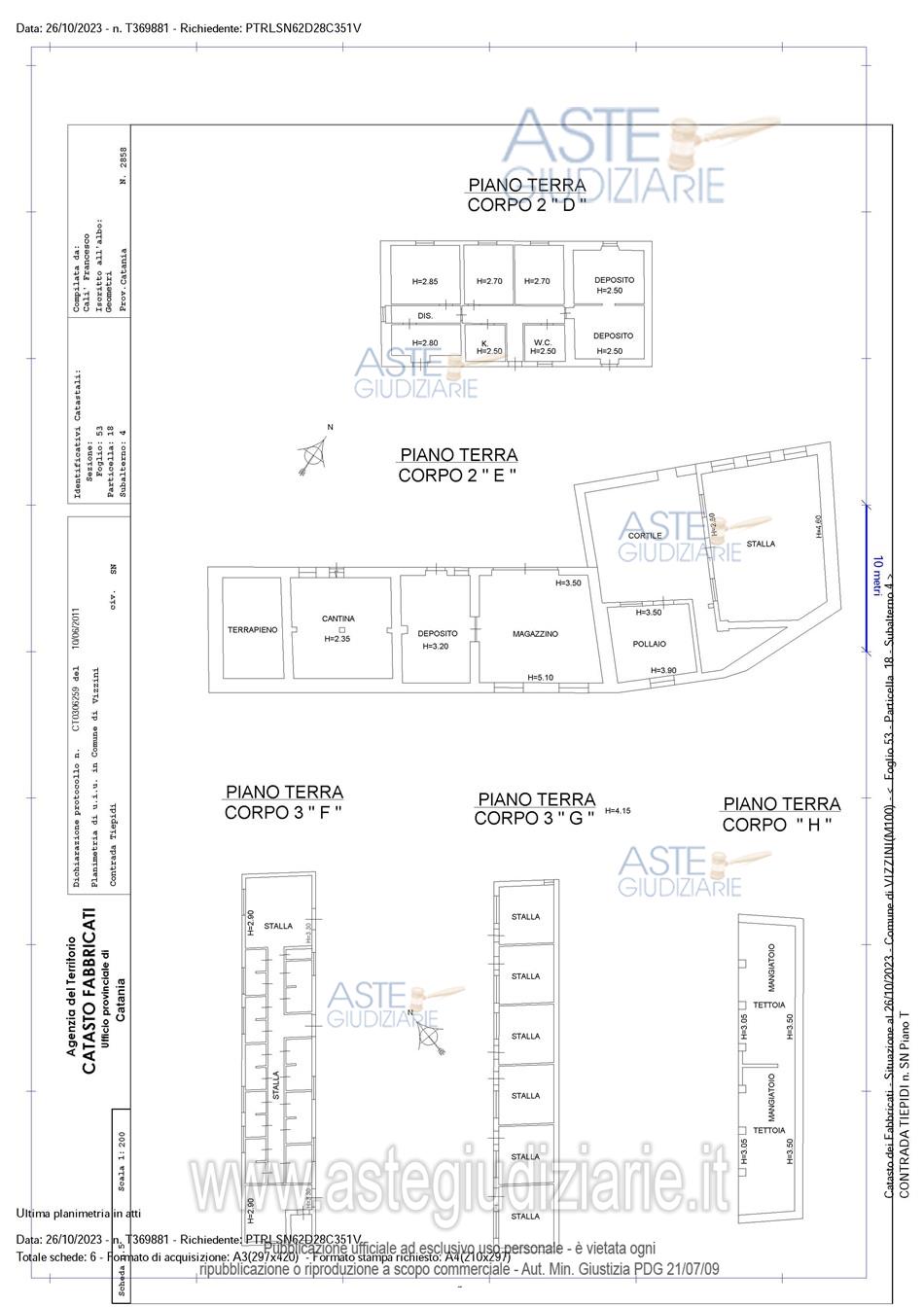
Complesso immobiliare composto da appezzamenti di terreno con insistenti fabbricati urbani e rurali (in parte ancora non censiti in catasto fabbricati), costituenti nell'insieme un'azienda agricola.

Indirizzo
contrada Tiepidi o Tiepoli, Vizzini (CT)


Codice asta
4350407


Lotto
Lotto unico


Numero beni
1


Genere
Immobili


Categoria
Immobile commerciale


Valore di stima
-


Fabbricati per attività agricole

Complesso immobiliare composto da appezzamenti di terreno con insistenti fabbricati urbani e rurali (in parte ancora non censiti in catasto fabbricati), costituenti nell'insieme un'azienda agricola.

Indirizzo
contrada Tiepidi o Tiepoli, Vizzini (CT)


Piano
-


Disponibilità
-


Vani
-


Bagni
-


Metri quadri
-


Certificazione energetica
-


Data udienza
24/06/2026 ore 15:30


Tipo di vendita
Senza incanto


Modalità di vendita
Sincrona mista


Luogo
Via Enna, 1, 95128 Catania CT, Italia - Catania 95128


Luogo presentazione offerte
-


Termine presentazione offerte
23/06/2026 ore 13:00


Prezzo base
€ 2.515.000,00


Offerta minima
€ 1.886.250,00


Rialzo minimo in caso di gara
€ 15.000,00


Deposito cauzionale
10% del prezzo offerto


Deposito in conto spese
-


Tribunale
Catania

Tipo di procedura
Nuovo concordato preventivo

Ruolo
2/2021

Giudice
Cassaniti Sebastiano

Recapiti
-

Email
-

Liquidatore giudiziale
Giovanni Caminito

Recapiti
-

Email
-

Liquidatore giudiziale
Bruno Lucia
(Procede alle operazioni di vendita)

Recapiti
Tel. 095446074

Email
lucia.bruno74@tiscali.it

Custode giudiziario
Bruno Lucia
(Gestisce la visita del bene)

Recapiti
Tel. 095446074

Scheda COD. 4350407 - Pubblicata dal 24/04/2026

La presente scheda di vendita riporta integralmente informazioni e documenti pervenuti ufficialmente dal Ministero e dal professionista incaricato.

Pubblicazione notarizzata su Blockchain


Pubblicazione autorizzata dall’Autorità competente, è vietata ogni ripubblicazione o riproduzione anche parziale


Ti interessa questa vendita?

Documentazione

Visualizza su mappa

Mappa geografica del bene

Punti di interesse

Fonte dati

Nel raggio di {{range}}Km

Loading...
  • {{ getIcon(poi.type) }} {{ poi.localized }}: {{poi.count}}
  • {{ getIcon(poi.type) }} {{ poi.localized }}: {{poi.count}}
Dati non disponibili