Astegiudiziarie.it è parte di Rete Aste Network

Accedi o registrati

Non sei ancora registrato?

Oppure

Accedi

Compendio pignorato

Località Serboli e, in piccola porzione, località Le Motte, in catasto La Mottaccia, Subbiano (AR)

€ 750.799,36

Offerta minima € 563.099,52


Codice A4330642

Lotto Lotto unico

Data udienza 10/06/2026 ore 10:00

Termine presentazione offerte 09/06/2026 ore 13:00

Compendio pignorato

Località Serboli e, in piccola porzione, località Le Motte, in catasto La Mottaccia, Subbiano (AR)

€ 750.799,36

Offerta minima € 563.099,52


Codice A4330642

Lotto Lotto unico

Data udienza 10/06/2026 ore 10:00

Termine presentazione offerte 09/06/2026 ore 13:00

Ti interessa questa vendita?

Visualizza su mappa

Mappa geografica del bene

Punti di interesse

Fonte dati

Nel raggio di {{range}}Km

Loading...
  • {{ getIcon(poi.type) }} {{ poi.localized }}: {{poi.count}}
  • {{ getIcon(poi.type) }} {{ poi.localized }}: {{poi.count}}
Dati non disponibili

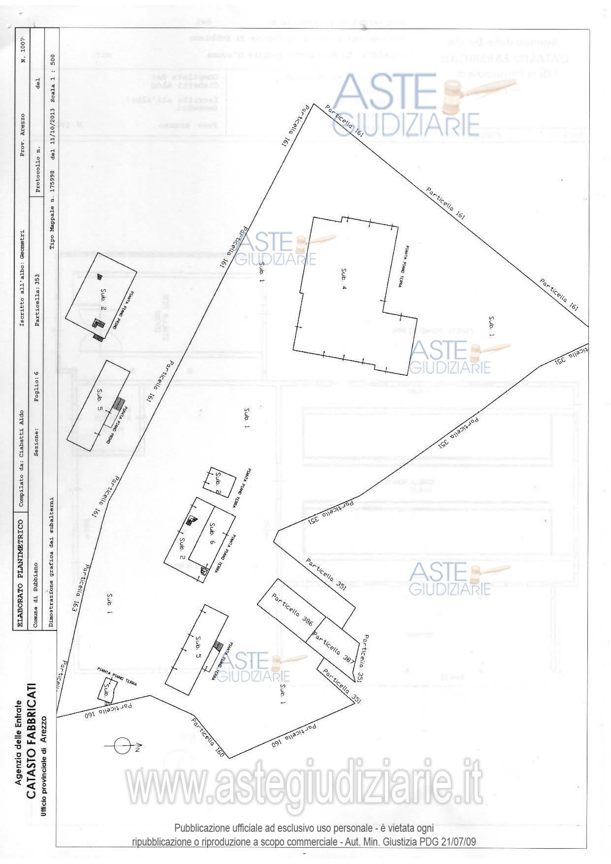
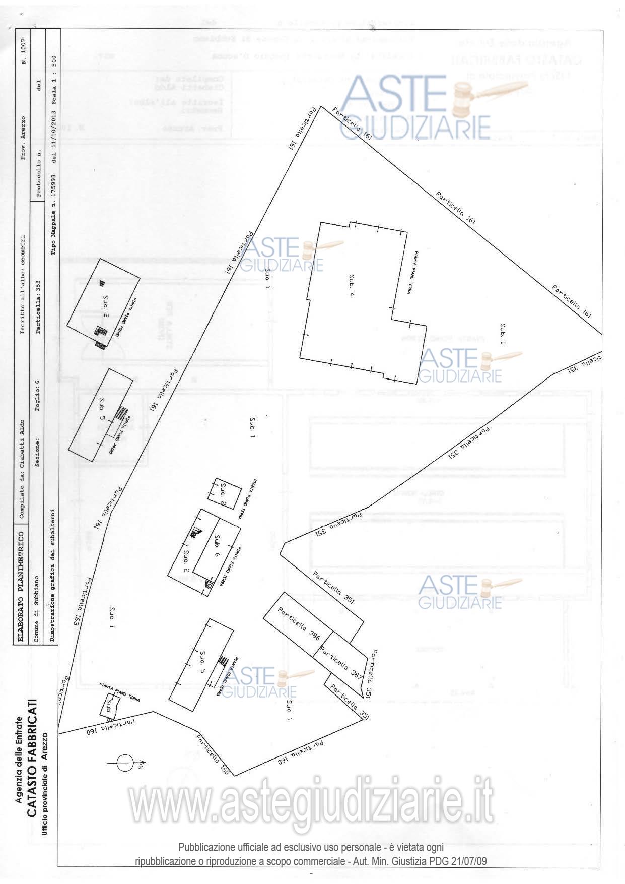
Compendio immobiliare di suolo e di fabbrica, costituente un'unità poderale comprendente un fabbricato abitativo e altri fabbricati accessori con le destinazioni appresso specificate, oltre ad impianti eolico e di biogas, nonché resedi pertinenziali ai fabbricati e dipendenti appezzamenti di terreno agricoli.

Indirizzo
Località Serboli e, in piccola porzione, località Le Motte, in catasto La Mottaccia, Subbiano (AR)


Codice asta
4330642


Lotto
Lotto unico


Numero beni
1


Genere
Immobili


Categoria
Altra categoria


Valore di stima
-


Compendio pignorato

Compendio immobiliare di suolo e di fabbrica, costituente un'unità poderale comprendente un fabbricato abitativo e altri fabbricati accessori con le destinazioni appresso specificate, oltre ad impianti eolico e di biogas, nonché resedi pertinenziali ai fabbricati e dipendenti appezzamenti di terreno agricoli.

Indirizzo
Località Serboli e, in piccola porzione, alla località Le Motte in catasto La Mottaccia, Subbiano (AR)


Piano
-


Disponibilità
-


Vani
-


Bagni
-


Metri quadri
-


Certificazione energetica
-


Data udienza
10/06/2026 ore 10:00


Tipo di vendita
Senza incanto


Modalità di vendita
Sincrona mista


Luogo
Via XXV Aprile, 6, 52100 Arezzo AR, Italia - Arezzo 52100


Luogo presentazione offerte
-


Termine presentazione offerte
09/06/2026 ore 13:00


Prezzo base
€ 750.799,36


Offerta minima
€ 563.099,52


Rialzo minimo in caso di gara
€ 5.000,00


Deposito cauzionale
-


Deposito in conto spese
-


Tribunale
Arezzo

Tipo di procedura
Esecuzione immobiliare post legge 80

Ruolo
253/2018

Giudice
Rodino' di miglione Elisabetta

Recapiti
-

Email
-

Delegato alla vendita
Zazzaro Marcello
(Procede alle operazioni di vendita)

Recapiti
Tel. 0575594507

Email
notares@notares.eu

Custode giudiziario
Arezzo - siena Istituto vendite giudiziarie
(Gestisce la visita del bene)

Recapiti
Cell. 3397337017
Tel. 0577318111

Scheda COD. 4330642 - Pubblicata dal 23/04/2026

La presente scheda di vendita riporta integralmente informazioni e documenti pervenuti ufficialmente dal Ministero e dal professionista incaricato.

Pubblicazione notarizzata su Blockchain


Pubblicazione autorizzata dall’Autorità competente, è vietata ogni ripubblicazione o riproduzione anche parziale


Ti interessa questa vendita?

Visualizza su mappa

Mappa geografica del bene

Storico delle vendite

Data venditaPrezzo base
10/09/2025€ 1.466.405,00
26/11/2025€ 1.173.124,00
18/02/2026€ 938.499,20
10/06/2026€ 750.799,36

Punti di interesse

Fonte dati

Nel raggio di {{range}}Km

Loading...
  • {{ getIcon(poi.type) }} {{ poi.localized }}: {{poi.count}}
  • {{ getIcon(poi.type) }} {{ poi.localized }}: {{poi.count}}
Dati non disponibili