Astegiudiziarie.it è parte di Rete Aste Network

Accedi o registrati

Non sei ancora registrato?

Oppure

Accedi

Compendio pignorato

strada provinciale della Collacchia, località Podere Casa Bianca, Gavorrano (GR)

€ 2.880.000,00

Offerta minima € 2.160.000,00


Codice A4335811

Lotto 7

Data udienza 17/03/2026 ore 10:00

Termine presentazione offerte 12/03/2026 ore 23:59

Compendio pignorato

strada provinciale della Collacchia, località Podere Casa Bianca, Gavorrano (GR)

€ 2.880.000,00

Offerta minima € 2.160.000,00


Codice A4335811

Lotto 7

Data udienza 17/03/2026 ore 10:00

Termine presentazione offerte 12/03/2026 ore 23:59

Ti interessa questa vendita?

Documentazione

Visualizza su mappa

Mappa geografica del bene

Punti di interesse

Fonte dati

Nel raggio di {{range}}Km

Loading...
  • {{ getIcon(poi.type) }} {{ poi.localized }}: {{poi.count}}
  • {{ getIcon(poi.type) }} {{ poi.localized }}: {{poi.count}}
Dati non disponibili

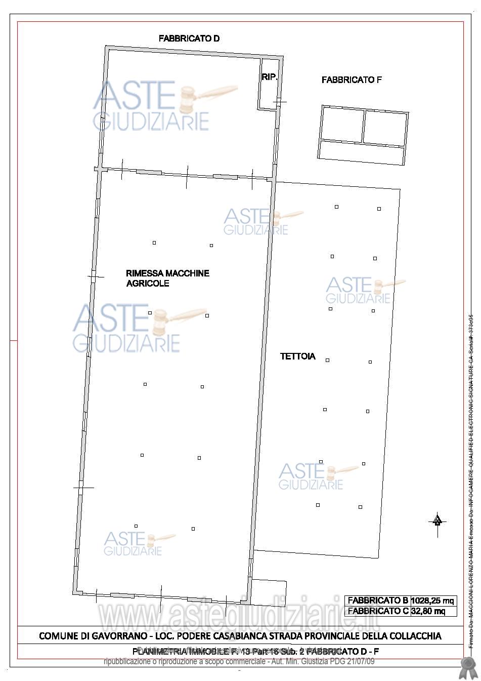
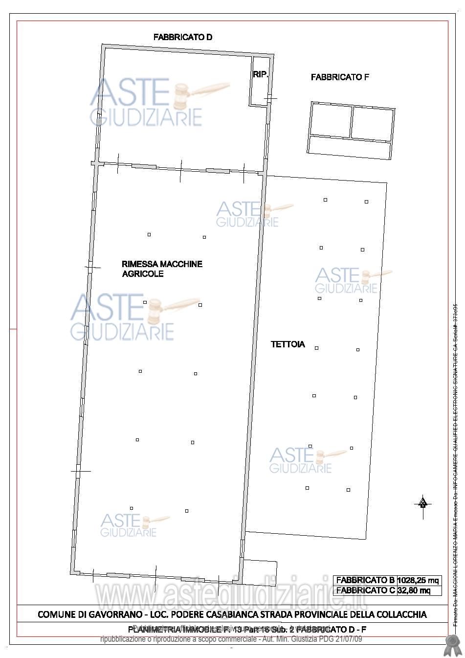
FABBRICATI per funzioni produttive connesse all’attività agricola

Indirizzo
strada provinciale della Collacchia, località Podere Casa Bianca, Gavorrano (GR)


Codice asta
4335811


Lotto
7


Numero beni
1


Genere
Immobili


Categoria
Altra categoria


Valore di stima
-


Compendio pignorato

FABBRICATI per funzioni produttive connesse all’attività agricola consistente in numerosi immobili identificabili in una autorimessa per attrezzi, stalla, magazzino e cantina facenti capo al Fabbricato B, un magazzino e un forno facenti capo al Fabbricato C, una rimessa macchine agricole facenti capo al Fabbricato D, un magazzino rimessa macchine agricole facenti capo al Fabbricato E, una stalla in legno facente capo al Fabbricato F, un locale tecnico facente capo al Fabbricato G, tettoia in eternit facente capo al Fabbricato I oltre a un pozzo facente capo al fabbricato L con accesso dalla Strada Provinciale della Collacchia in Loc. Podere Casa Bianca Comune di Gavorrano. Completano il lotto un appartamento con consistenza 6 vani e 2 fabbricati in costruzione allo stato grezzo oltre a cospicui appezzamenti di terreno a seminativo. Il tutto censito al CATASTO FABBRICATI del Comune di Gavorrano (Gr) al foglio di mappa 13 part. 16 sub 2, 3, 4 e 5 e al CATASTO TERRENI del Comune di Gavorrano (Gr) al foglio di mappa 13 part. 3, 30, 35, 36, 37, 38 e 49.Formalità:•Vincolo a favore del Comune di Gavorrano trascritto in data 04/07/2001 al n. 6234 Reg. Part.Stato occupativo: Occupato in conduzione precaria provvisoria fino alla data di aggiudicazione. Si precisa che è in corso di definizione con gli organi della procedura la regolamentazione delle modalità di rilascio dell’immobile.

Indirizzo
strada provinciale della Collacchia, località Podere Casa Bianca, Gavorrano (GR)


Piano
-


Disponibilità
-


Vani
-


Bagni
-


Metri quadri
-


Certificazione energetica
-


Data udienza
17/03/2026 ore 10:00


Tipo di vendita
Senza incanto


Modalità di vendita
Asincrona telematica


Luogo
N.A. -


Luogo presentazione offerte
-


Termine presentazione offerte
12/03/2026 ore 23:59


Prezzo base
€ 2.880.000,00


Offerta minima
€ 2.160.000,00


Rialzo minimo in caso di gara
€ 50.000,00


Deposito cauzionale
10% del prezzo offerto


Deposito in conto spese
-


Tribunale
Grosseto

Tipo di procedura
Esecuzione immobiliare post legge 80

Ruolo
268/2012

Delegato alla vendita
Del pasqua Francesca
(Procede alle operazioni di vendita)

Recapiti
Cell. 3288263266

Email
francescadelpasqua@gmail.com

Custode giudiziario
Ghelli Lucia
(Gestisce la visita del bene)

Recapiti
Cell. 3426598791

Scheda COD. 4335811 - Pubblicata dal 20/01/2026

La presente scheda di vendita riporta integralmente informazioni e documenti pervenuti ufficialmente dal Ministero e dal professionista incaricato.

Pubblicazione notarizzata su Blockchain


Pubblicazione autorizzata dall’Autorità competente, è vietata ogni ripubblicazione o riproduzione anche parziale


Ti interessa questa vendita?

Documentazione

Visualizza su mappa

Mappa geografica del bene

Storico delle vendite

Data venditaPrezzo base
25/11/2025€ 3.600.000,00
17/03/2026€ 2.880.000,00

Punti di interesse

Fonte dati

Nel raggio di {{range}}Km

Loading...
  • {{ getIcon(poi.type) }} {{ poi.localized }}: {{poi.count}}
  • {{ getIcon(poi.type) }} {{ poi.localized }}: {{poi.count}}
Dati non disponibili