Astegiudiziarie.it è parte di Rete Aste Network

Accedi o registrati

Non sei ancora registrato?

Oppure

Accedi

Abitazione di tipo economico

Via Gaetano Donizetti, 22, Vigevano (PV)

€ 46.898,00

Offerta minima € 35.174,00


Codice A4340869

Lotto Lotto unico

Data udienza 22/01/2026 ore 15:00

Termine presentazione offerte 21/01/2026 ore 12:00

Abitazione di tipo economico

Via Gaetano Donizetti, 22, Vigevano (PV)

€ 46.898,00

Offerta minima € 35.174,00


Codice A4340869

Lotto Lotto unico

Data udienza 22/01/2026 ore 15:00

Termine presentazione offerte 21/01/2026 ore 12:00

Ti interessa questa vendita?

Documentazione

Visualizza su mappa

Mappa geografica del bene

Punti di interesse

Fonte dati

Nel raggio di {{range}}Km

Loading...
  • {{ getIcon(poi.type) }} {{ poi.localized }}: {{poi.count}}
  • {{ getIcon(poi.type) }} {{ poi.localized }}: {{poi.count}}
Dati non disponibili

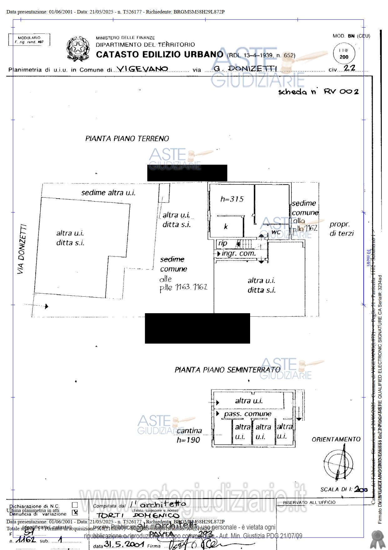
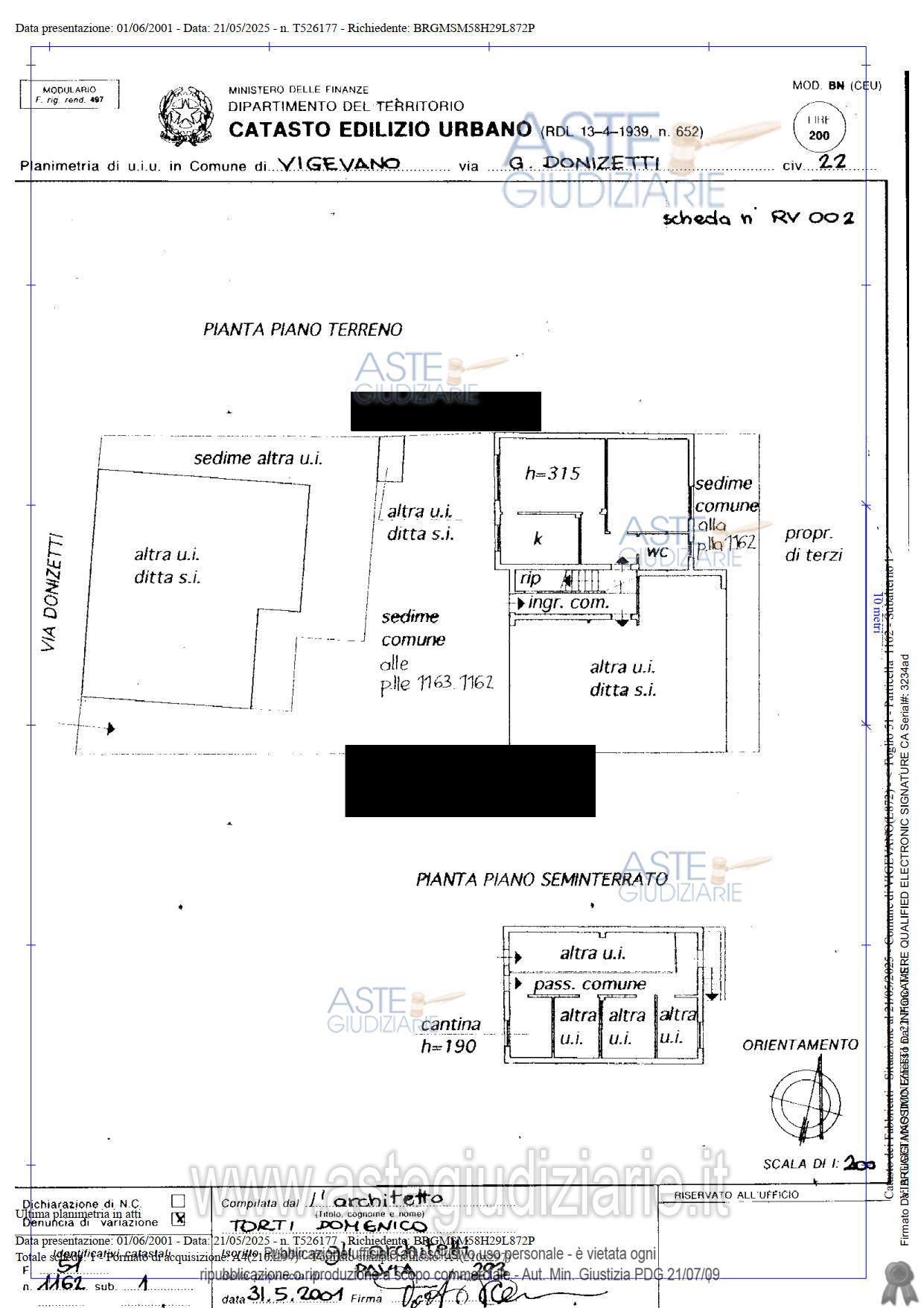
Appartamento di due locali oltre servizi, al piano terreno, primo fuori terra, con locale cantina al piano interrato, all’interno del fabbricato condominiale, denominato “Condominio Donizetti 22” Oltre al bene immobile sopra descritto, sono compresi nel lotto anche le quote di comproprietà delle parti comuni condominiali descritte nell’atto di acquisto ovvero la quota indivisa pari a 133,55/1000 su beni e spazi comuni così come esistenti.

Indirizzo
Via Gaetano Donizetti, 22, Vigevano (PV)


Codice asta
4340869


Lotto
Lotto unico


Numero beni
1


Genere
Immobili


Categoria
Immobile residenziale


Valore di stima
-


Abitazione di tipo economico

Appartamento di due locali oltre servizi, al piano terreno, primo fuori terra, con locale cantina al piano interrato, all’interno del fabbricato condominiale, denominato “Condominio Donizetti 22” Oltre al bene immobile sopra descritto, sono compresi nel lotto anche le quote di comproprietà delle parti comuni condominiali descritte nell’atto di acquisto ovvero la quota indivisa pari a 133,55/1000 su beni e spazi comuni così come esistenti.

Indirizzo
Via Gaetano Donizetti, 22, Vigevano (PV)


Piano
-


Disponibilità
-


Vani
-


Bagni
-


Metri quadri
-


Certificazione energetica
-


Data udienza
22/01/2026 ore 15:00


Tipo di vendita
Senza incanto


Modalità di vendita
Asincrona telematica


Luogo
-


Luogo presentazione offerte
-


Termine presentazione offerte
21/01/2026 ore 12:00


Prezzo base
€ 46.898,00


Offerta minima
€ 35.174,00


Rialzo minimo in caso di gara
€ 1.000,00


Deposito cauzionale
10% del prezzo offerto


Deposito in conto spese
-


Tribunale
Pavia

Tipo di procedura
Espropriazione immobiliare (cartabia)

Ruolo
62/2025

Giudice
Claris appiani Francesca paola

Recapiti
-

Email
-

Delegato alla vendita
Fenini Rossella
(Procede alle operazioni di vendita)

Recapiti
Tel. 03821560003

Email
rossella.fenini.dotcom@gmail.c...

Custode giudiziario
Ifir piemonte Istituto vendite giudiziarie srl
(Gestisce la visita del bene)

Recapiti
Tel. 0381691137

Scheda COD. 4340869 - Pubblicata dal 05/12/2025

La presente scheda di vendita riporta integralmente informazioni e documenti pervenuti ufficialmente dal Ministero e dal professionista incaricato.


Pubblicazione autorizzata dall’Autorità competente, è vietata ogni ripubblicazione o riproduzione anche parziale


Ti interessa questa vendita?

Documentazione

Visualizza su mappa

Mappa geografica del bene

Punti di interesse

Fonte dati

Nel raggio di {{range}}Km

Loading...
  • {{ getIcon(poi.type) }} {{ poi.localized }}: {{poi.count}}
  • {{ getIcon(poi.type) }} {{ poi.localized }}: {{poi.count}}
Dati non disponibili