Astegiudiziarie.it è parte di Rete Aste Network

Accedi o registrati

Non sei ancora registrato?

Oppure

Accedi

Abitazione di tipo civile, terreno

Via Giovanni Verga, 91019 Valderice TP, Italia, Valderice (TP)

€ 36.663,00

Offerta minima € 27.497,25


Codice A4330749

Lotto 3

Data udienza 21/01/2026 ore 17:00

Termine presentazione offerte 20/01/2026 ore 13:00

Abitazione di tipo civile, terreno

Via Giovanni Verga, 91019 Valderice TP, Italia, Valderice (TP)

€ 36.663,00

Offerta minima € 27.497,25


Codice A4330749

Lotto 3

Data udienza 21/01/2026 ore 17:00

Termine presentazione offerte 20/01/2026 ore 13:00

Ti interessa questa vendita?

Documentazione

Visualizza su mappa

Mappa geografica del bene

Punti di interesse

Fonte dati

Nel raggio di {{range}}Km

Loading...
  • {{ getIcon(poi.type) }} {{ poi.localized }}: {{poi.count}}
  • {{ getIcon(poi.type) }} {{ poi.localized }}: {{poi.count}}
Dati non disponibili

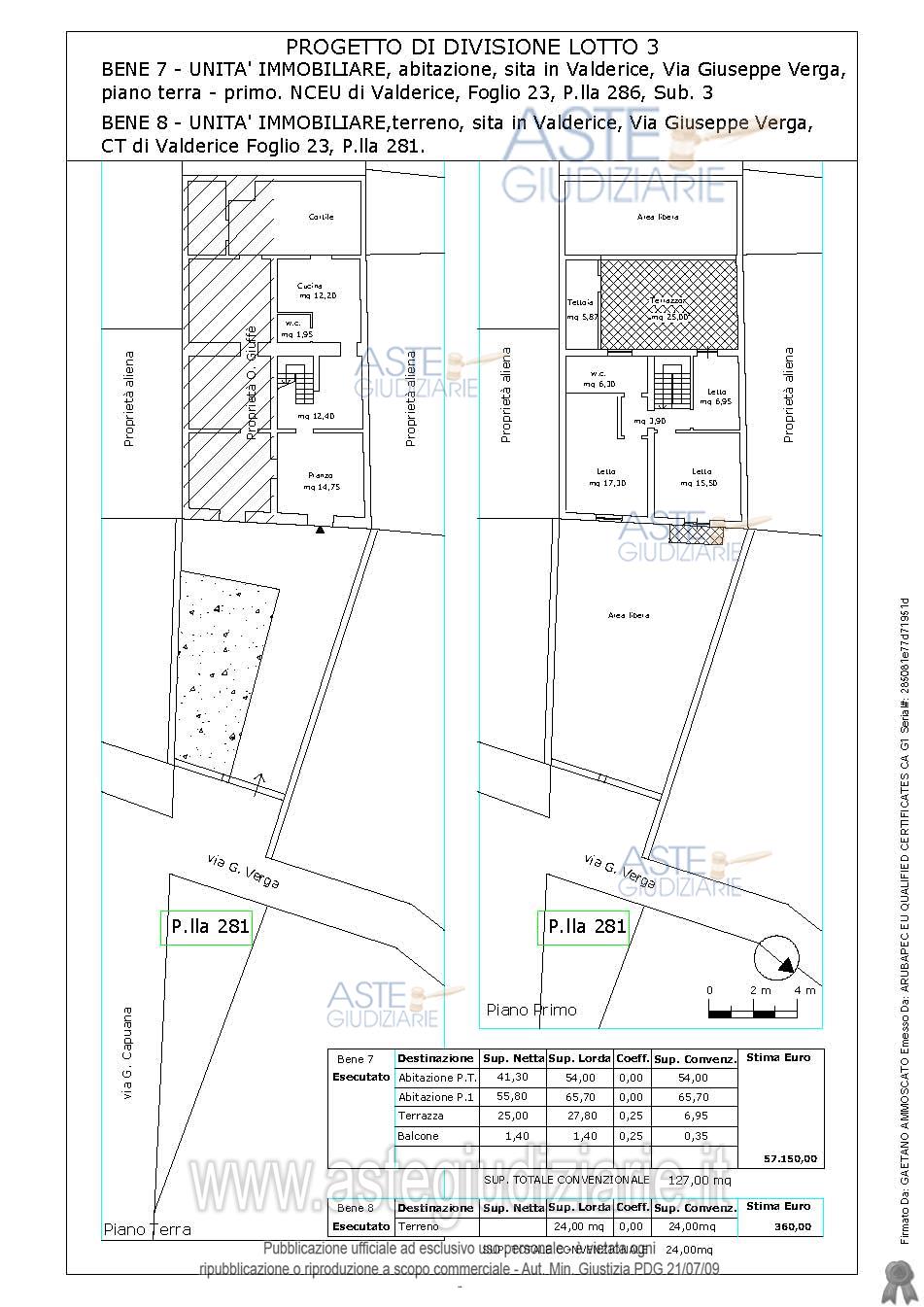
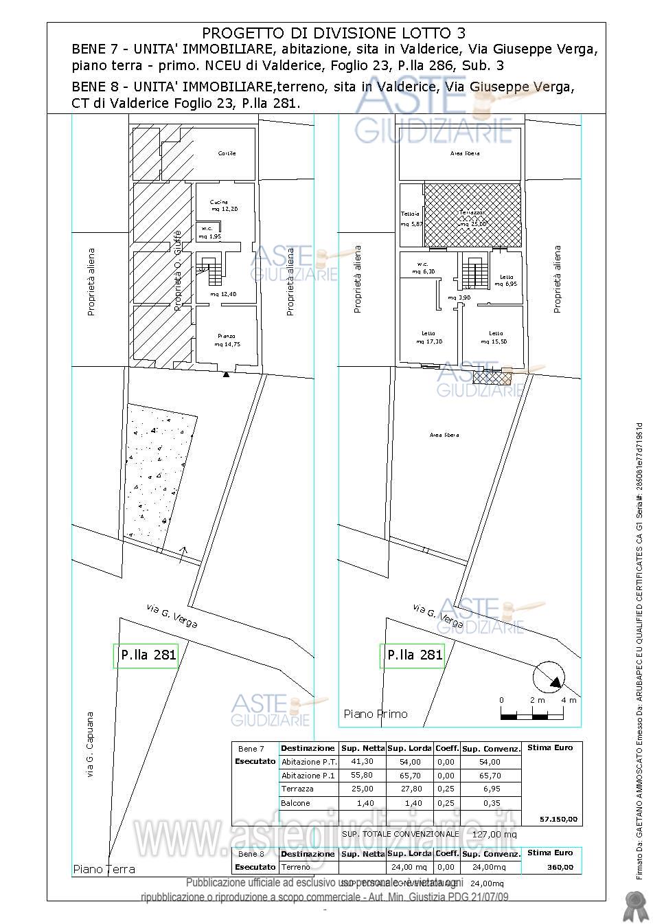
Il lotto si compone di n. 2 beni:- Bene n 7: Fabbricato Civile ubicato in Valderice via Giovanni Verga, c.da S. Barnaba, posto su due livelli (piano terra e primo piano)- Bene n. 8: terreno in parte pavimentato con battuto in cemento in parte in abbandono (antistante fabbricato)

Indirizzo
Via Giovanni Verga, 91019 Valderice TP, Italia, Valderice (TP)


Codice asta
4330749


Lotto
3


Numero beni
2


Genere
Immobili


Categoria
Immobile residenziale


Valore di stima
-


Abitazione di tipo civile

Bene n. 7: Fabbricato Civile ubicato in Valderice via Giovanni Verga, c.da S. Barnaba, posto su due livelli (piano terra e primo piano).

Indirizzo
Via Giovanni Verga, 91019 Valderice TP, Italia, Valderice (TP)


Piano
-


Disponibilità
-


Vani
-


Bagni
-


Metri quadri
-


Certificazione energetica
-


Dati catastali

Foglio:23, Particella:286, Subalterno:3


Terreno

Bene n. 8: terreno censito al foglio 23 particella 281, ubicato in via Giovanni Verga c,da S. Barnaba, Valderice (antistante fabbricato)

Indirizzo
Via Giovanni Verga, 91019 Valderice TP, Italia, Valderice (TP)


Piano
-


Disponibilità
-


Vani
-


Bagni
-


Metri quadri
-


Certificazione energetica
-


Dati catastali

Foglio:23, Particella:281


Data udienza
21/01/2026 ore 17:00


Tipo di vendita
Senza incanto


Modalità di vendita
Sincrona mista


Luogo
Via della Ginestra, 11 - Trapani 91100


Luogo presentazione offerte
-


Termine presentazione offerte
20/01/2026 ore 13:00


Prezzo base
€ 36.663,00


Offerta minima
€ 27.497,25


Rialzo minimo in caso di gara
€ 1.000,00


Deposito cauzionale
10% del prezzo offerto


Deposito in conto spese
-


Tribunale
Trapani

Tipo di procedura
Contenzioso civile

Ruolo
1543/2020

Delegato alla vendita
Raineri Valeria maria
(Procede alle operazioni di vendita)

Recapiti
Cell. 3394846347
Tel. 3394846347

Email
avv.raineri@gmail.com

Custode giudiziario
Raineri Valeria maria
(Gestisce la visita del bene)

Recapiti
Cell. 3394846347
Tel. 3394846347

Scheda COD. 4330749 - Pubblicata dal 10/11/2025

La presente scheda di vendita riporta integralmente informazioni e documenti pervenuti ufficialmente dal Ministero e dal professionista incaricato.

Pubblicazione notarizzata su Blockchain


Pubblicazione autorizzata dall’Autorità competente, è vietata ogni ripubblicazione o riproduzione anche parziale


Ti interessa questa vendita?

Documentazione

Visualizza su mappa

Mappa geografica del bene

Storico delle vendite

Data venditaPrezzo base
14/10/2025€ 48.884,00
21/01/2026€ 36.663,00

Punti di interesse

Fonte dati

Nel raggio di {{range}}Km

Loading...
  • {{ getIcon(poi.type) }} {{ poi.localized }}: {{poi.count}}
  • {{ getIcon(poi.type) }} {{ poi.localized }}: {{poi.count}}
Dati non disponibili