Astegiudiziarie.it è parte di Rete Aste Network

Accedi o registrati

Non sei ancora registrato?

Oppure

Accedi

Appartamento

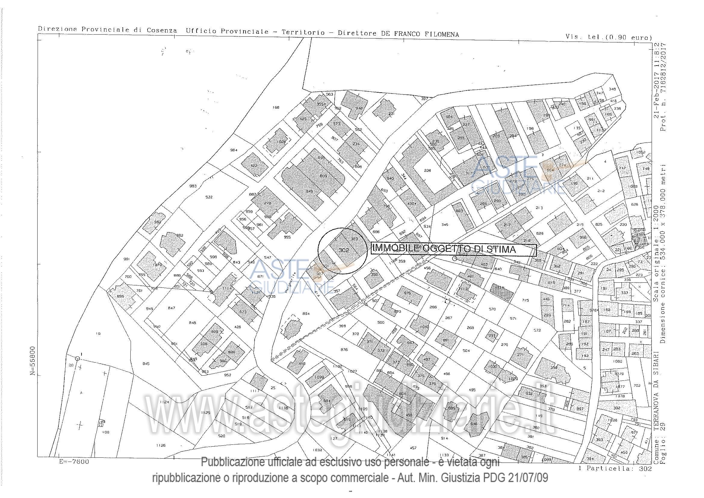
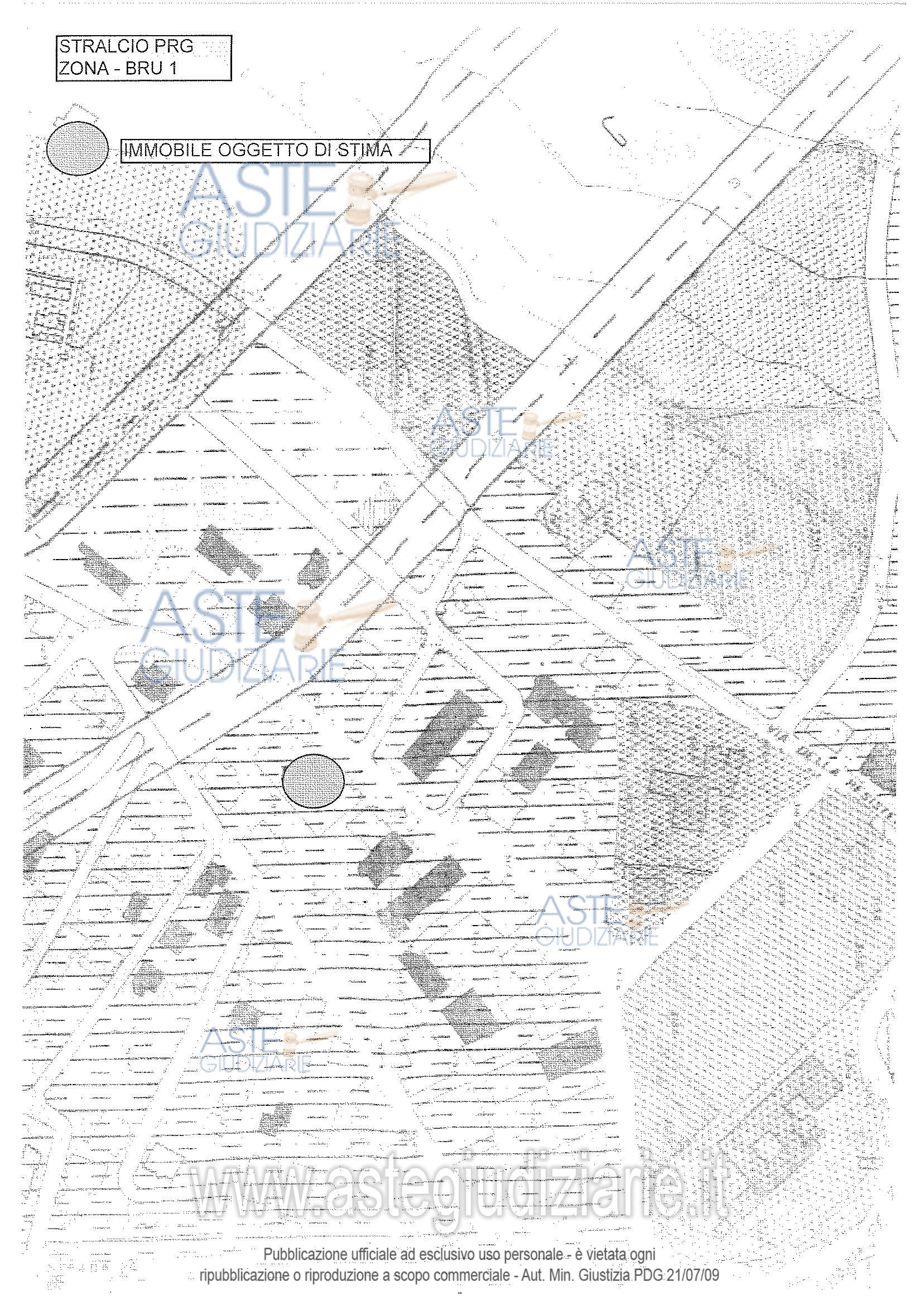
Corso Margherita snc, Terranova da Sibari (CS)

€ 19.617,18

Offerta minima € 14.712,89


Codice A4272057

Lotto 1

Data udienza 11/02/2026 ore 15:00

Termine presentazione offerte 04/02/2026 ore 23:59

Appartamento

Corso Margherita snc, Terranova da Sibari (CS)

€ 19.617,18

Offerta minima € 14.712,89


Codice A4272057

Lotto 1

Data udienza 11/02/2026 ore 15:00

Termine presentazione offerte 04/02/2026 ore 23:59

Ti interessa questa vendita?

Documentazione

Visualizza su mappa

Mappa geografica del bene

Punti di interesse

Fonte dati

Nel raggio di {{range}}Km

Loading...
  • {{ getIcon(poi.type) }} {{ poi.localized }}: {{poi.count}}
  • {{ getIcon(poi.type) }} {{ poi.localized }}: {{poi.count}}
Dati non disponibili

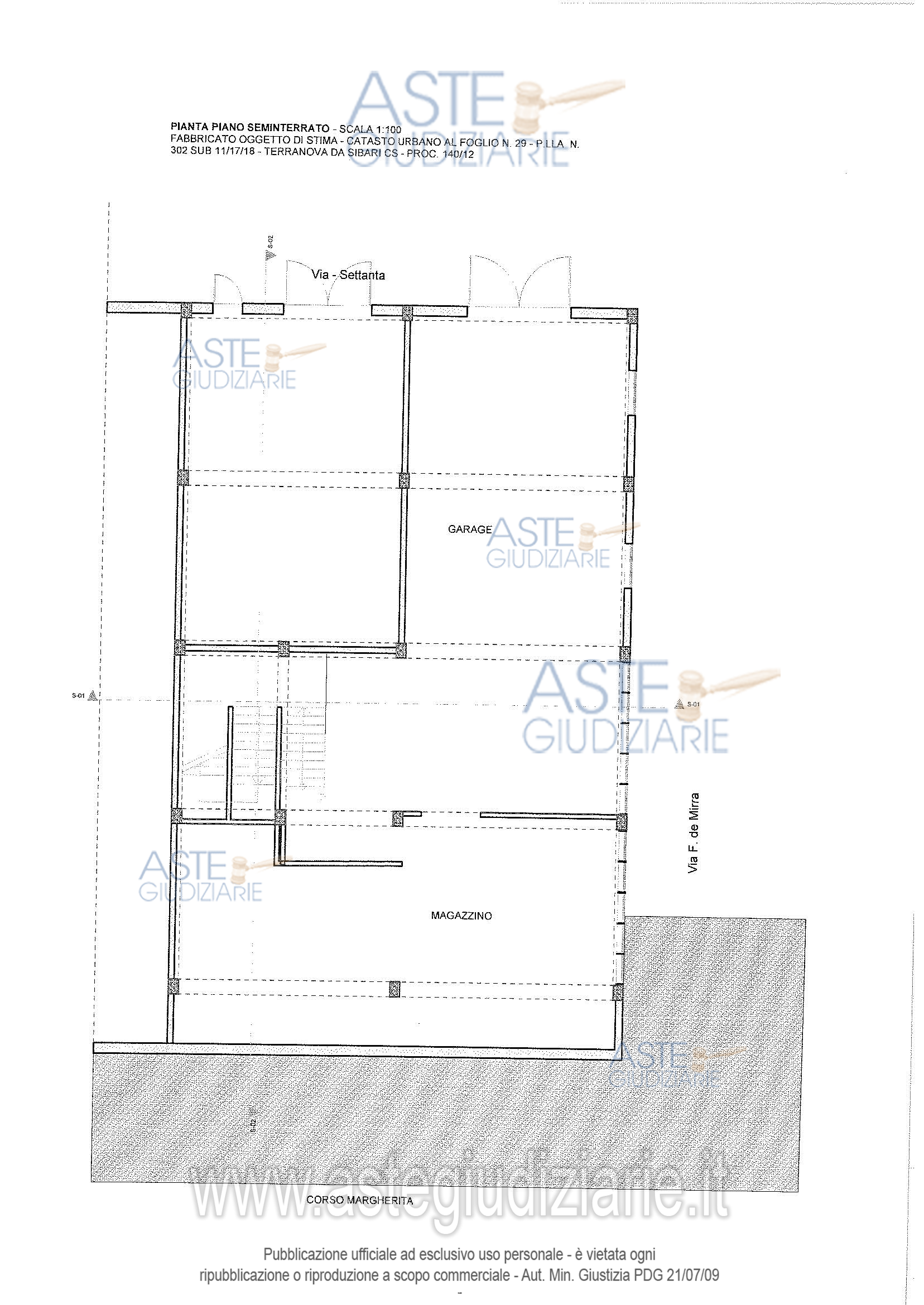
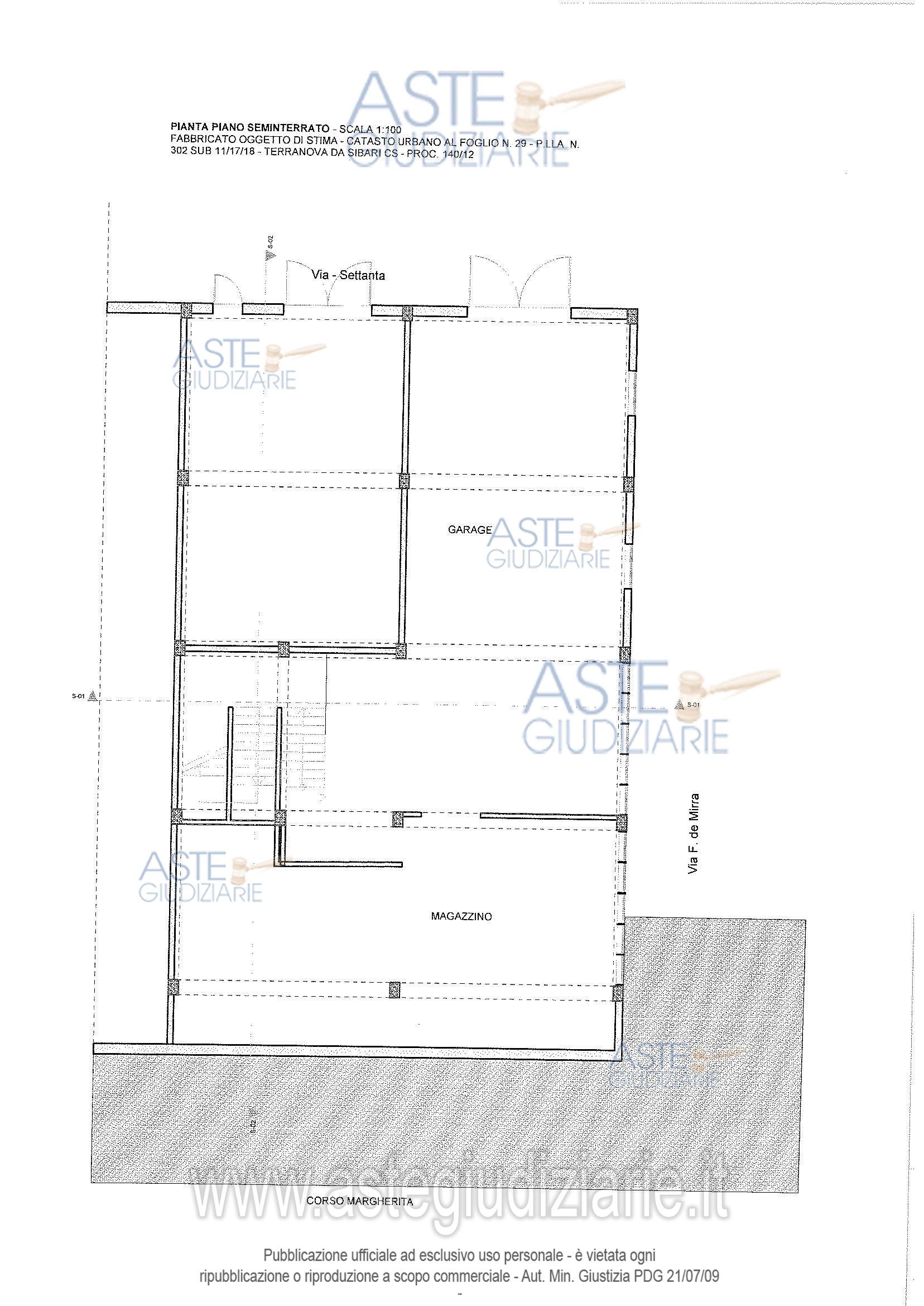
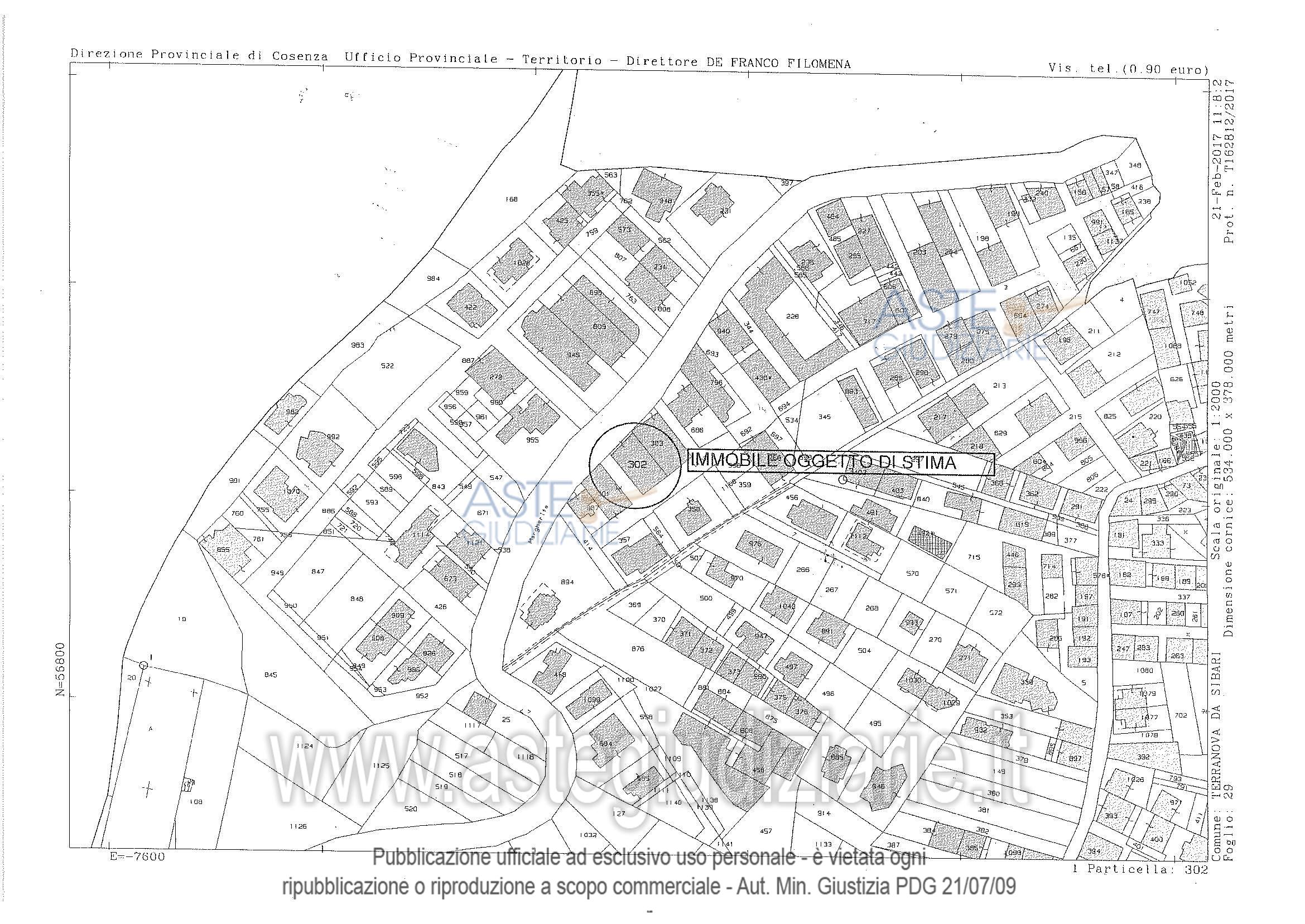
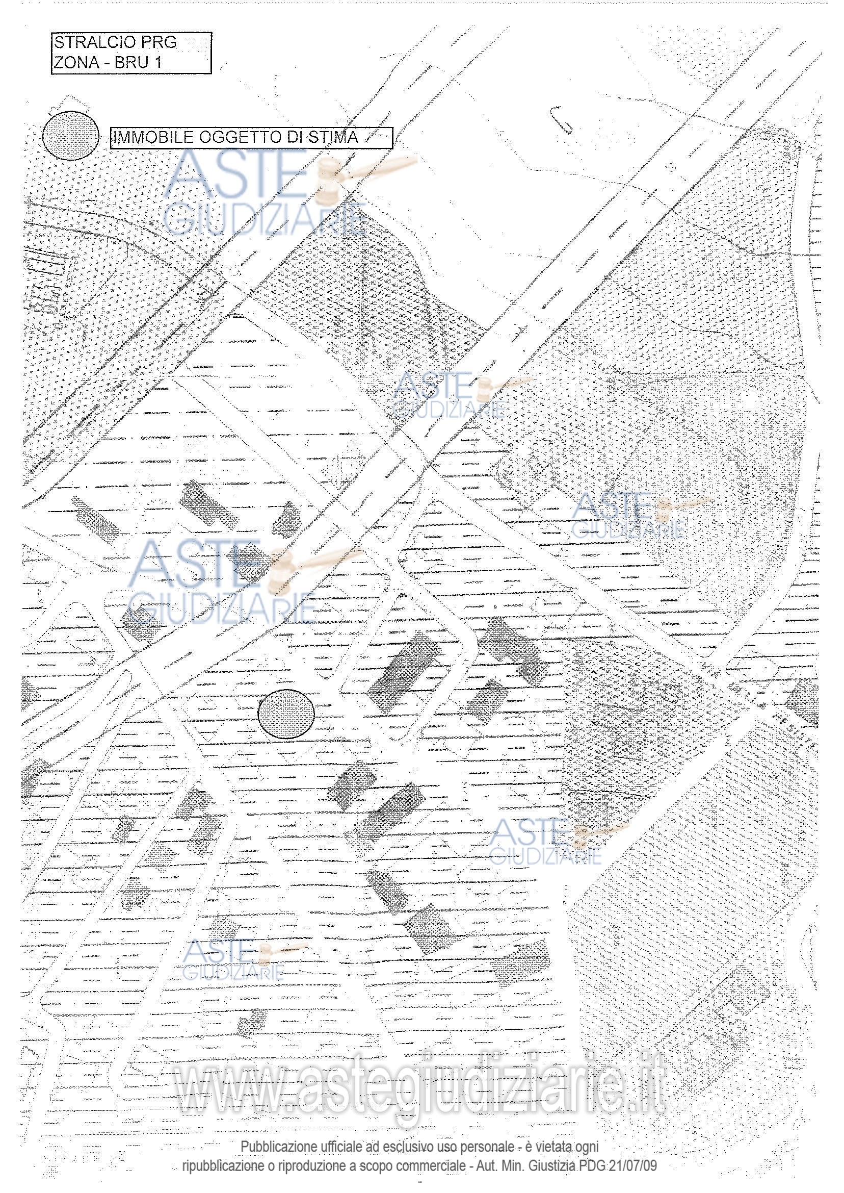
UNITÀ IMMOBILIARE, sita nel comune di Terranova da Sibari censita nel catasto fabbricati al foglio 29, particella 302 sub. 11 in corso di definizione cat. F/4, situata al piano 1, superficie lorda complessiva pari a mq 163,00; foglio 29, p.lla 302 sub 17, cat. C/2, piano S1 superficie catastale pari amq 49,00 foglio 29, p.lla 302 sub 18, cat. C/2, piano S1 superficie catastale pari a mq 83,00.

Indirizzo
Corso Margherita snc, Terranova da Sibari (CS)


Codice asta
4272057


Lotto
1


Numero beni
1


Genere
Immobili


Categoria
Immobile residenziale


Valore di stima
-


Appartamento

UNITÀ IMMOBILIARE, sita nel comune di Terranova da Sibari censita nel catasto fabbricati al foglio 29, particella 302 sub. 11 in corso di definizione cat. F/4, situata al piano 1, superficie lorda complessiva pari a mq 163,00; foglio 29, p.lla 302 sub 17, cat. C/2, piano S1 superficie catastale pari a mq 49,00 foglio 29, p.lla 302 sub 18, cat. C/2, piano S1 superficie catastale pari a mq 83,00. Trattasi di un appartamento al primo piano in fase di costruzione in un edificio composto da un piano terra e mansarda abitata e da due piani il primo e il secondo in fase di costruzione, con garage seminterrato. L’appartamento è servito da una scala interna, con ingresso principale dal Corso Margherita; le pertinenze sono comunicanti, hanno un accesso diretto grazie a porte esterne ed un altro dall’ingresso principale per mezzo di una scala interna non rifinita. L'immobile è nel medesimo stato senza segni di deperimento

Indirizzo
Corso Margherita snc, Terranova da Sibari (CS)


Piano
-


Disponibilità
LIBER


Vani
1,00


Bagni
-


Metri quadri
163,00


Certificazione energetica
-


Data udienza
11/02/2026 ore 15:00


Tipo di vendita
Senza incanto


Modalità di vendita
Sincrona telematica


Luogo
N.A. -


Luogo presentazione offerte
-


Termine presentazione offerte
04/02/2026 ore 23:59


Prezzo base
€ 19.617,18


Offerta minima
€ 14.712,89


Rialzo minimo in caso di gara
€ 500,00


Deposito cauzionale
10% del prezzo offerto


Deposito in conto spese
-


Tribunale
Castrovillari

Tipo di procedura
Esecuzione immobiliare post legge 80

Ruolo
140/2012

Giudice
Gaudiano Giuliana

Recapiti
-

Email
-

Delegato alla vendita
Salvante Mariangela
(Procede alle operazioni di vendita)

Recapiti
-

Email
salvantemariangela@msn.com

Custode giudiziario
Salvante Mariangela
(Gestisce la visita del bene)

Recapiti
-

Scheda COD. 4272057 - Pubblicata dal 17/12/2025

La presente scheda di vendita riporta integralmente informazioni e documenti pervenuti ufficialmente dal Ministero e dal professionista incaricato.

Pubblicazione notarizzata su Blockchain


Pubblicazione autorizzata dall’Autorità competente, è vietata ogni ripubblicazione o riproduzione anche parziale


Ti interessa questa vendita?

Documentazione

Visualizza su mappa

Mappa geografica del bene

Storico delle vendite

Data venditaPrezzo base
12/06/2023€ 39.234,37
11/10/2023€ 19.617,18
11/02/2026€ 19.617,18

Punti di interesse

Fonte dati

Nel raggio di {{range}}Km

Loading...
  • {{ getIcon(poi.type) }} {{ poi.localized }}: {{poi.count}}
  • {{ getIcon(poi.type) }} {{ poi.localized }}: {{poi.count}}
Dati non disponibili