Astegiudiziarie.it è parte di Rete Aste Network

Accedi o registrati

Non sei ancora registrato?

Oppure

Accedi

Abitazione di tipo economico, garage o autorimessa

Via Baco, 113, 51030 Cantagrillo PT, Italia, Serravalle Pistoiese (PT)

€ 201.500,00

Offerta minima € 151.125,00


Codice A4338807

Lotto Lotto unico

Data udienza 02/07/2026 ore 10:00

Termine presentazione offerte 01/07/2026 ore 12:00

Abitazione di tipo economico, garage o autorimessa

Via Baco, 113, 51030 Cantagrillo PT, Italia, Serravalle Pistoiese (PT)

€ 201.500,00

Offerta minima € 151.125,00


Codice A4338807

Lotto Lotto unico

Data udienza 02/07/2026 ore 10:00

Termine presentazione offerte 01/07/2026 ore 12:00

Ti interessa questa vendita?

Documentazione

Visualizza su mappa

Mappa geografica del bene

Punti di interesse

Fonte dati

Nel raggio di {{range}}Km

Loading...
  • {{ getIcon(poi.type) }} {{ poi.localized }}: {{poi.count}}
  • {{ getIcon(poi.type) }} {{ poi.localized }}: {{poi.count}}
Dati non disponibili

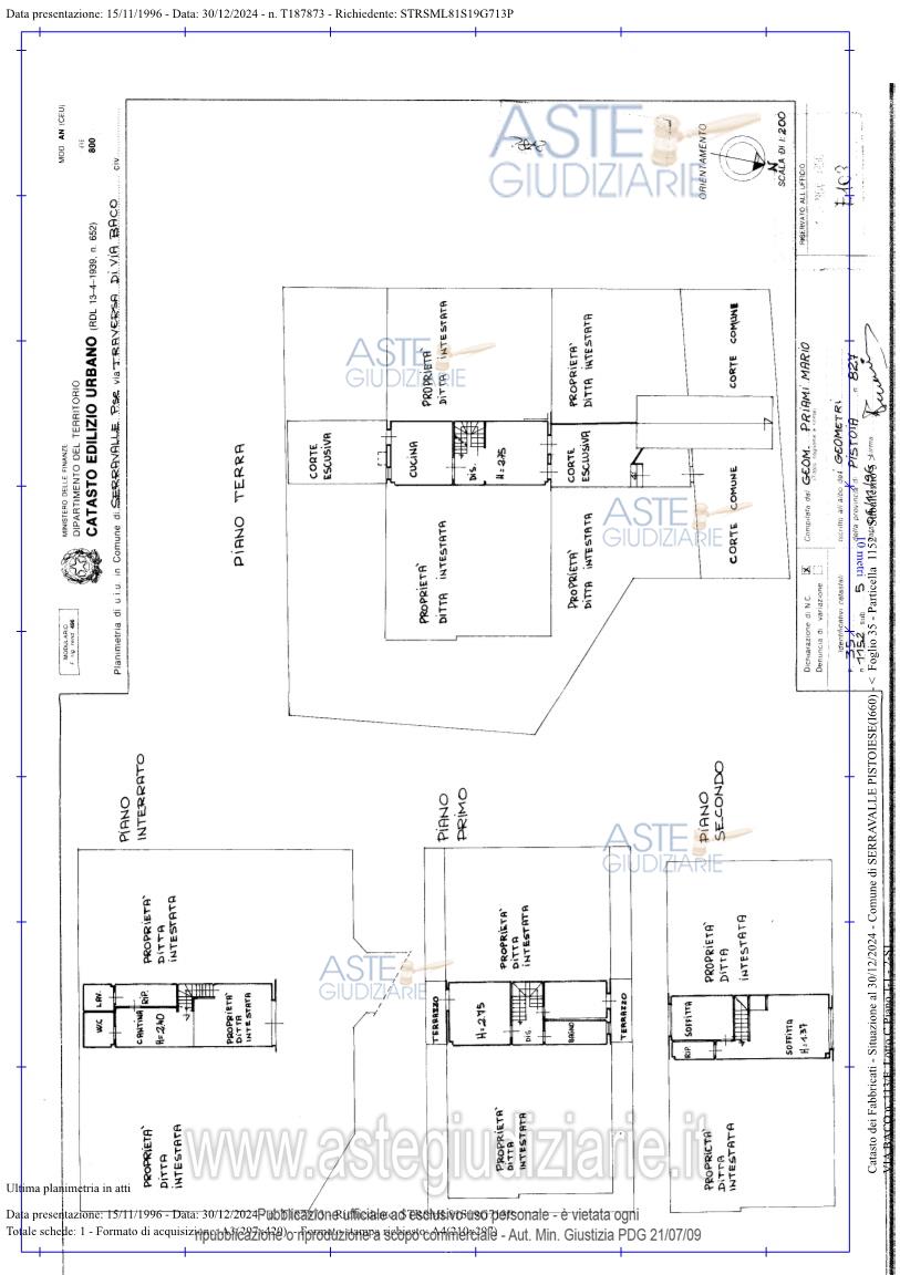
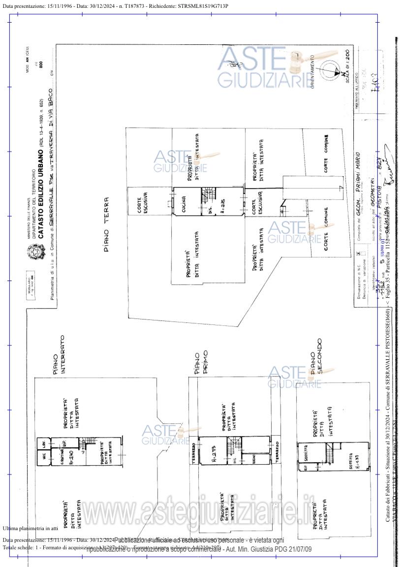
Appartamento così distribuito: al piano interrato, ampiacantina (con accesso diretto alla rimessa), ripostiglio, lavanderia e wc; al piano terra,ingresso/soggiorno, disimpegno, cucina con accesso alla corte esclusiva tergale; - al piano primo,disimpegno, due camere, un bagno oltre a due terrazzi; - al piano secondo sottotetto, da due soffitte(utilizzate a masarda e cucina) e un wc.Tutti i piani sono collegati tra loro da vano scale interno. Risulta di pertinenza esclusiva anche una rimessa .

Indirizzo
Via Baco, 113, 51030 Cantagrillo PT, Italia, Serravalle Pistoiese (PT)


Codice asta
4338807


Lotto
Lotto unico


Numero beni
4


Genere
Immobili


Categoria
Immobile residenziale


Valore di stima
-


Abitazione di tipo economico

Appartamento così distribuito: al piano interrato, ampia cantina (con accesso diretto alla rimessa), ripostiglio, lavanderia e wc; al piano terra, ingresso/soggiorno, disimpegno, cucina con accesso alla corte esclusiva tergale; - al piano primo, disimpegno, due camere, un bagno oltre a due terrazzi; - al piano secondo sottotetto, da due soffitte(utilizzate a mansarda e cucina) e un wc. Tutti i piani sono collegati tra loro da vano scale interno.

Indirizzo
Via Baco, 113, 51030 Cantagrillo PT, Italia, Serravalle Pistoiese (PT)


Piano
-


Disponibilità
-


Vani
8,00


Bagni
-


Metri quadri
163,22


Certificazione energetica
-


Abitazione di tipo economico

Appartamento così distribuito: al piano interrato, ampia cantina (con accesso diretto alla rimessa), ripostiglio, lavanderia e wc; al piano terra, ingresso/soggiorno, disimpegno, cucina con accesso alla corte esclusiva tergale; - al piano primo, disimpegno, due camere, un bagno oltre a due terrazzi; - al piano secondo sottotetto, da due soffitte(utilizzate a mansarda e cucina) e un wc. Tutti i piani sono collegati tra loro da vano scale interno.

Indirizzo
Via Baco, 113, 51030 Cantagrillo PT, Italia, Serravalle Pistoiese (PT)


Piano
-


Disponibilità
-


Vani
8,00


Bagni
-


Metri quadri
163,22


Certificazione energetica
-


Garage o autorimessa

Rimessa (mq 25,00), composta da un unico vano, posta alpiano interrato e collegata alla cantina.

Indirizzo
Via Baco, 113, 51030 Cantagrillo PT, Italia, Serravalle Pistoiese (PT)


Piano
-


Disponibilità
-


Vani
-


Bagni
-


Metri quadri
25,00


Certificazione energetica
-


Garage o autorimessa

Rimessa (mq 25,00), composta da un unico vano, posta alpiano interrato e collegata alla cantina.

Indirizzo
Via Baco, 113, 51030 Cantagrillo PT, Italia, Serravalle Pistoiese (PT)


Piano
-


Disponibilità
-


Vani
-


Bagni
-


Metri quadri
25,00


Certificazione energetica
-


Data udienza
02/07/2026 ore 10:00


Tipo di vendita
Senza incanto


Modalità di vendita
Asincrona telematica


Luogo
N.A. -


Luogo presentazione offerte
-


Termine presentazione offerte
01/07/2026 ore 12:00


Prezzo base
€ 201.500,00


Offerta minima
€ 151.125,00


Rialzo minimo in caso di gara
€ 4.000,00


Deposito cauzionale
10% del prezzo offerto


Deposito in conto spese
-


Tribunale
Pistoia

Tipo di procedura
Espropriazione immobiliare (cartabia)

Ruolo
235/2024

Giudice
Garofalo  Sergio

Recapiti
-

Email
-

Delegato alla vendita
Tripi  sonia
(Procede alle operazioni di vendita)

Recapiti
-

Email
-

Custode giudiziario
Isveg 
(Gestisce la visita del bene)

Recapiti
-

Scheda COD. 4338807 - Pubblicata dal 16/03/2026

La presente scheda di vendita riporta integralmente informazioni e documenti pervenuti ufficialmente dal Ministero e dal professionista incaricato.


Pubblicazione autorizzata dall’Autorità competente, è vietata ogni ripubblicazione o riproduzione anche parziale


Ti interessa questa vendita?

Documentazione

Visualizza su mappa

Mappa geografica del bene

Storico delle vendite

Data venditaPrezzo base
20/02/2026€ 268.500,00
02/07/2026€ 201.500,00

Punti di interesse

Fonte dati

Nel raggio di {{range}}Km

Loading...
  • {{ getIcon(poi.type) }} {{ poi.localized }}: {{poi.count}}
  • {{ getIcon(poi.type) }} {{ poi.localized }}: {{poi.count}}
Dati non disponibili