Astegiudiziarie.it è parte di Rete Aste Network

Accedi o registrati

Non sei ancora registrato?

Oppure

Accedi

Abitazione di tipo economico

Via del Fullone, 10, 12, 14, 16, 18 e 22, San Marco Argentano (CS)

€ 89.600,00

Offerta minima € 67.200,00


Codice A4342115

Lotto Lotto unico

Data udienza 01/07/2026 ore 10:00

Termine presentazione offerte 30/06/2026 ore 12:00

Abitazione di tipo economico

Via del Fullone, 10, 12, 14, 16, 18 e 22, San Marco Argentano (CS)

€ 89.600,00

Offerta minima € 67.200,00


Codice A4342115

Lotto Lotto unico

Data udienza 01/07/2026 ore 10:00

Termine presentazione offerte 30/06/2026 ore 12:00

Ti interessa questa vendita?

Documentazione

Visualizza su mappa

Mappa geografica del bene

Punti di interesse

Fonte dati

Nel raggio di {{range}}Km

Loading...
  • {{ getIcon(poi.type) }} {{ poi.localized }}: {{poi.count}}
  • {{ getIcon(poi.type) }} {{ poi.localized }}: {{poi.count}}
Dati non disponibili

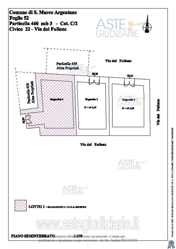
Fabbricato su 4 livelli: piano seminterrato, con 3 magazzini non rifiniti, attualmente adibiti a deposito; piano terra con 3 locali intercomunicanti; unità immobiliare ad uso abitativo al piano primo con 3 vani ampi (2 camere da letto, soggiorno-pranzo) forniti di balcone, vano adibito a wc, un piccolo vano adibito a cucina, un ripostiglio e disimpegni; tramite una scala interna si accede al piano secondo, con vano ampio adibito a camera da letto, vano wc e un disimpegno, dotato di balcone.

Indirizzo
Via del Fullone, 10, 12, 14, 16, 18 e 22, San Marco Argentano (CS)


Codice asta
4342115


Lotto
Lotto unico


Numero beni
1


Genere
Immobili


Categoria
Immobile residenziale


Valore di stima
-


Abitazione di tipo economico

Fabbricato su 4 livelli: piano seminterrato, con 3 magazzini non rifiniti, attualmente adibiti a deposito; piano terra con 3 locali intercomunicanti; unità immobiliare ad uso abitativo al piano primo con 3 vani ampi (2 camere da letto, soggiorno-pranzo) forniti di balcone, vano adibito a wc, un piccolo vano adibito a cucina, un ripostiglio e disimpegni; tramite una scala interna si accede al piano secondo, con vano ampio adibito a camera da letto, vano wc e un disimpegno, dotato di balcone.

Indirizzo
Via del Fullone, 10, 12, 14, 16, 18 e 22, San Marco Argentano (CS)


Piano
T


Disponibilità
OCCUPATO


Vani
70,00


Bagni
-


Metri quadri
361,85


Certificazione energetica
-


Dati catastali

Foglio:52, Particella:460, Subalterno:3, 4, 5, 6, 7


Data udienza
01/07/2026 ore 10:00


Tipo di vendita
Senza incanto


Modalità di vendita
Sincrona telematica


Luogo
N.A. -


Luogo presentazione offerte
-


Termine presentazione offerte
30/06/2026 ore 12:00


Prezzo base
€ 89.600,00


Offerta minima
€ 67.200,00


Rialzo minimo in caso di gara
€ 1.792,00


Deposito cauzionale
10% del prezzo offerto


Deposito in conto spese
-


Tribunale
Cosenza

Tipo di procedura
Espropriazione immobiliare (cartabia)

Ruolo
108/2023

Giudice
Sicilia Giuseppe

Recapiti
-

Email
-

Delegato alla vendita
Ciardullo Mariafrancesca
(Procede alle operazioni di vendita)

Recapiti
Tel. 0984653941

Email
avv.mfciardullo@studiolegaleci...

Custode giudiziario
Ciardullo Mariafrancesca
(Gestisce la visita del bene)

Recapiti
Tel. 0984653941

Scheda COD. 4342115 - Pubblicata dal 17/04/2026

La presente scheda di vendita riporta integralmente informazioni e documenti pervenuti ufficialmente dal Ministero e dal professionista incaricato.


Pubblicazione autorizzata dall’Autorità competente, è vietata ogni ripubblicazione o riproduzione anche parziale


Ti interessa questa vendita?

Documentazione

Visualizza su mappa

Mappa geografica del bene

Storico delle vendite

Data venditaPrezzo base
25/03/2026€ 112.000,00
01/07/2026€ 89.600,00

Punti di interesse

Fonte dati

Nel raggio di {{range}}Km

Loading...
  • {{ getIcon(poi.type) }} {{ poi.localized }}: {{poi.count}}
  • {{ getIcon(poi.type) }} {{ poi.localized }}: {{poi.count}}
Dati non disponibili