Astegiudiziarie.it è parte di Rete Aste Network

Accedi o registrati

Non sei ancora registrato?

Oppure

Accedi

Abitazione di tipo economico, stalle, scuderie, rimesse, autorimesse

Via Nicolello, 30, 13040 Saluggia VC, Italia, Saluggia (VC)

€ 21.545,00

Offerta minima € 16.158,75


Codice A4309518

Lotto Lotto unico

Data udienza 21/01/2026 ore 09:30

Termine presentazione offerte 20/01/2026 ore 12:00

Abitazione di tipo economico, stalle, scuderie, rimesse, autorimesse

Via Nicolello, 30, 13040 Saluggia VC, Italia, Saluggia (VC)

€ 21.545,00

Offerta minima € 16.158,75


Codice A4309518

Lotto Lotto unico

Data udienza 21/01/2026 ore 09:30

Termine presentazione offerte 20/01/2026 ore 12:00

Ti interessa questa vendita?

Documentazione

Visualizza su mappa

Mappa geografica del bene

Punti di interesse

Fonte dati

Nel raggio di {{range}}Km

Loading...
  • {{ getIcon(poi.type) }} {{ poi.localized }}: {{poi.count}}
  • {{ getIcon(poi.type) }} {{ poi.localized }}: {{poi.count}}
Dati non disponibili

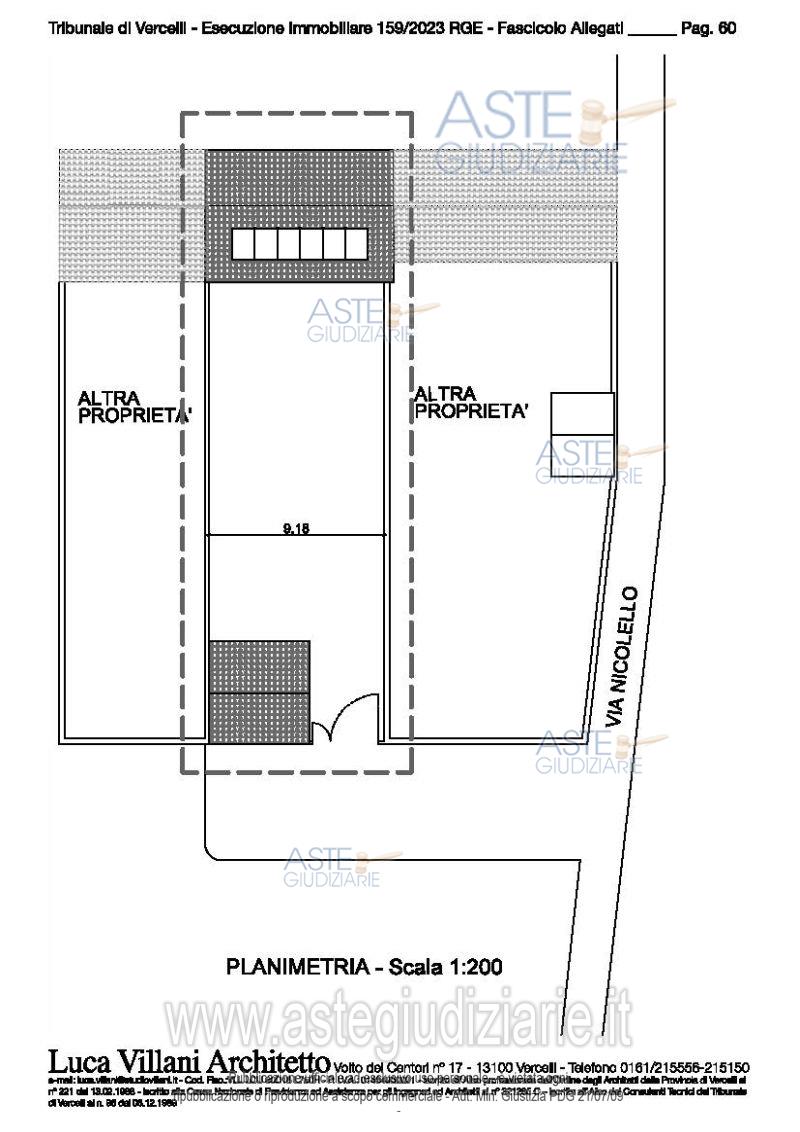
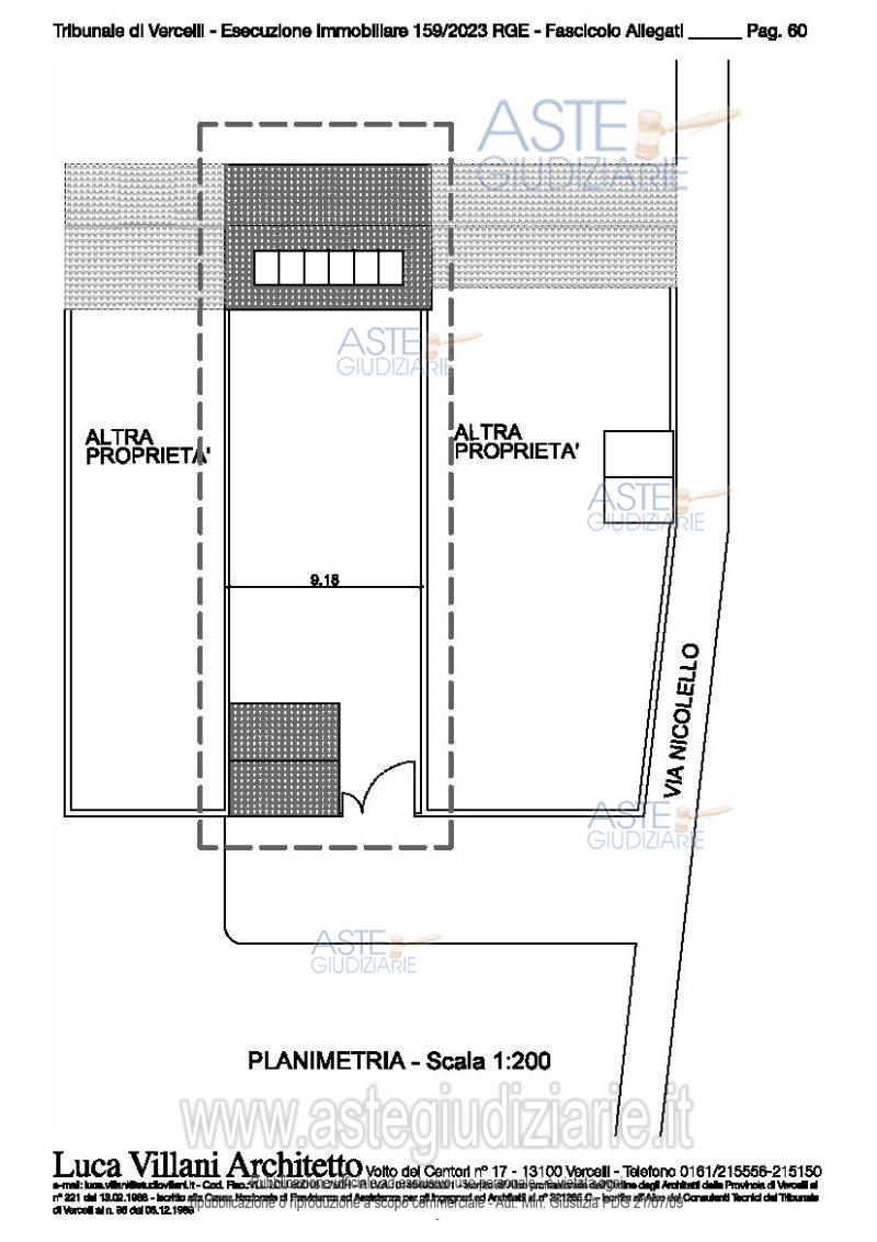
Casa di civile abitazione con annessa autorimessa e cortile di pertinenza.

Indirizzo
Via Nicolello, 30, 13040 Saluggia VC, Italia, Saluggia (VC)


Codice asta
4309518


Lotto
Lotto unico


Numero beni
2


Genere
Immobili


Categoria
Immobile residenziale


Valore di stima
-


Abitazione di tipo economico

Casa di civile abitazione

Indirizzo
Via Nicolello, 30, 13040 Saluggia VC, Italia, Saluggia (VC)


Piano
T1


Disponibilità
OCCUPATO


Vani
4,00


Bagni
-


Metri quadri
159,00


Certificazione energetica
-


Dati catastali

Foglio:8, Particella:239


Stalle, scuderie, rimesse, autorimesse

Autorimessa

Indirizzo
Via Nicolello, 30, 13040 Saluggia VC, Italia, Saluggia (VC)


Piano
-


Disponibilità
OCCUPATO


Vani
-


Bagni
-


Metri quadri
25,00


Certificazione energetica
-


Dati catastali

Foglio:8, Particella:241


Data udienza
21/01/2026 ore 09:30


Tipo di vendita
Senza incanto


Modalità di vendita
Asincrona telematica


Luogo
N.A. -


Luogo presentazione offerte
-


Termine presentazione offerte
20/01/2026 ore 12:00


Prezzo base
€ 21.545,00


Offerta minima
€ 16.158,75


Rialzo minimo in caso di gara
€ 500,00


Deposito cauzionale
20% del prezzo offerto


Deposito in conto spese
-


Tribunale
Vercelli

Tipo di procedura
Esecuzione immobiliare post legge 80

Ruolo
159/2023

Giudice
Fanini Annalisa

Recapiti
-

Email
-

Delegato alla vendita
Deangelis  Sara
(Procede alle operazioni di vendita)
(Gestisce la visita del bene)

Recapiti
Tel. 0161250923

Scheda COD. 4309518 - Pubblicata dal 18/11/2025

La presente scheda di vendita riporta integralmente informazioni e documenti pervenuti ufficialmente dal Ministero e dal professionista incaricato.

Pubblicazione notarizzata su Blockchain


Pubblicazione autorizzata dall’Autorità competente, è vietata ogni ripubblicazione o riproduzione anche parziale


Ti interessa questa vendita?

Documentazione

Visualizza su mappa

Mappa geografica del bene

Storico delle vendite

Data venditaPrezzo base
22/10/2024€ 51.068,00
16/01/2025€ 38.301,00
26/03/2025€ 28.725,75
20/06/2025€ 21.545,00
21/01/2026€ 21.545,00

Punti di interesse

Fonte dati

Nel raggio di {{range}}Km

Loading...
  • {{ getIcon(poi.type) }} {{ poi.localized }}: {{poi.count}}
  • {{ getIcon(poi.type) }} {{ poi.localized }}: {{poi.count}}
Dati non disponibili