Astegiudiziarie.it è parte di Rete Aste Network

Accedi o registrati

Non sei ancora registrato?

Oppure

Accedi

Appartamento

Via Prati 6/56, Rezzato (BS)

€ 52.250,00

Offerta minima € 39.187,50


Codice A4348197

Lotto Lotto unico

Data udienza 12/05/2026 ore 12:00

Termine presentazione offerte 11/05/2026 ore 12:00

Appartamento

Via Prati 6/56, Rezzato (BS)

€ 52.250,00

Offerta minima € 39.187,50


Codice A4348197

Lotto Lotto unico

Data udienza 12/05/2026 ore 12:00

Termine presentazione offerte 11/05/2026 ore 12:00

Ti interessa questa vendita?

Documentazione

Visualizza su mappa

Mappa geografica del bene

Punti di interesse

Fonte dati

Nel raggio di {{range}}Km

Loading...
  • {{ getIcon(poi.type) }} {{ poi.localized }}: {{poi.count}}
  • {{ getIcon(poi.type) }} {{ poi.localized }}: {{poi.count}}
Dati non disponibili

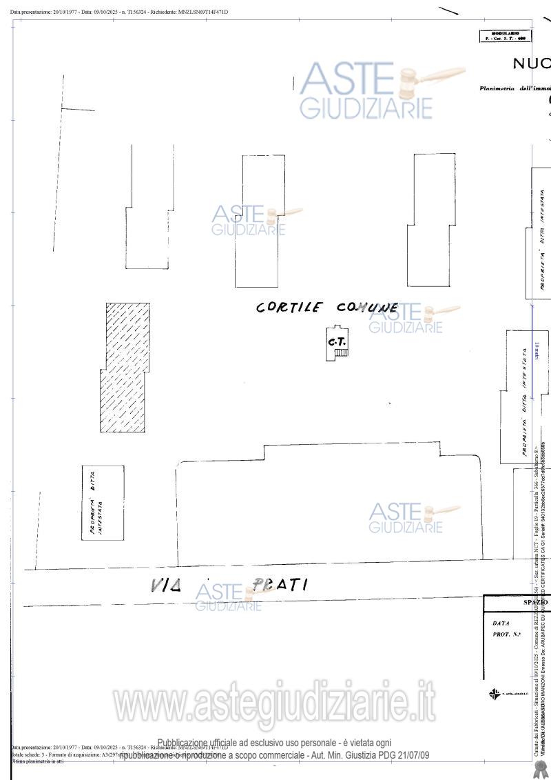
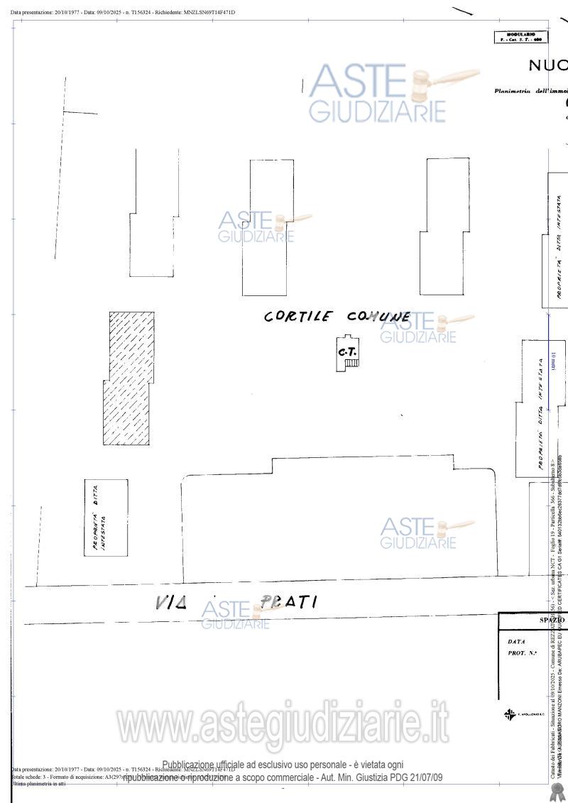
Quota di ½ di proprietà Comune di Rezzato (BS), Via G. Prati n. 54, interno 6 (appartamento) e 13 (autorimessa) Appartamento al terzo piano con cantina e autorimessa, parte di complesso residenziale denominato “Condominio Quartiere S. Anna n°1”

Indirizzo
Via Prati 6/56, Rezzato (BS)


Codice asta
4348197


Lotto
Lotto unico


Numero beni
1


Genere
Immobili


Categoria
Immobile residenziale


Valore di stima
-


Appartamento

Quota di ½ di proprietà Comune di Rezzato (BS), Via G. Prati n. 54, interno 6 (appartamento) e 13 (autorimessa) Appartamento al terzo piano con cantina e autorimessa, parte di complesso residenziale denominato “Condominio Quartiere S. Anna n°1” il tutto censito al Catasto Fabbricati di detto Comune, Sez. NCT Fg. 19 mapp. 366 sub 8 – P. T-3 - cat. A/2 - cl. 2 – 5,5 vani - R.C. Euro 255,65 mapp. 366 sub 1 – P. T - cat. C/6 - cl. 3 – 12 mq - R.C. Euro 26,03 Oltre alle proporzionali quote sulle parti comuni dell’edificio

Indirizzo
Via Prati 6/56, Rezzato (BS)


Piano
-


Disponibilità
OCCUPATO


Vani
-


Bagni
-


Metri quadri
97,00


Certificazione energetica
-


Data udienza
12/05/2026 ore 12:00


Tipo di vendita
Senza incanto


Modalità di vendita
Asincrona telematica


Luogo
N.A. -


Luogo presentazione offerte
-


Termine presentazione offerte
11/05/2026 ore 12:00


Prezzo base
€ 52.250,00


Offerta minima
€ 39.187,50


Rialzo minimo in caso di gara
€ 600,00


Deposito cauzionale
10% del prezzo offerto


Deposito in conto spese
-


Tribunale
Brescia

Tipo di procedura
Espropriazione immobiliare (cartabia)

Ruolo
254/2025

Giudice
Bruno Simonetta

Recapiti
-

Email
-

Delegato alla vendita
Fracassi Claudia
(Procede alle operazioni di vendita)

Recapiti
-

Email
fracassi@mazzolattifracassi.it

Custode giudiziario
Fracassi Claudia
(Gestisce la visita del bene)

Recapiti
-

Scheda COD. 4348197 - Pubblicata dal 26/03/2026

La presente scheda di vendita riporta integralmente informazioni e documenti pervenuti ufficialmente dal Ministero e dal professionista incaricato.


Pubblicazione autorizzata dall’Autorità competente, è vietata ogni ripubblicazione o riproduzione anche parziale


Ti interessa questa vendita?

Documentazione

Visualizza su mappa

Mappa geografica del bene

Punti di interesse

Fonte dati

Nel raggio di {{range}}Km

Loading...
  • {{ getIcon(poi.type) }} {{ poi.localized }}: {{poi.count}}
  • {{ getIcon(poi.type) }} {{ poi.localized }}: {{poi.count}}
Dati non disponibili