Astegiudiziarie.it è parte di Rete Aste Network

Accedi o registrati

Non sei ancora registrato?

Oppure

Accedi

Abitazione di tipo civile

Via Sant'Efisio, 09010 Pula CA, Italia, Pula (CA)

€ 108.800,00

Offerta minima € 81.600,00


Codice A420670

Lotto 1

Data udienza 26/05/2026 ore 11:00

Termine presentazione offerte 25/05/2026 ore 13:00

Abitazione di tipo civile

Via Sant'Efisio, 09010 Pula CA, Italia, Pula (CA)

€ 108.800,00

Offerta minima € 81.600,00


Codice A420670

Lotto 1

Data udienza 26/05/2026 ore 11:00

Termine presentazione offerte 25/05/2026 ore 13:00

Ti interessa questa vendita?

Visualizza su mappa

Mappa geografica del bene

Punti di interesse

Fonte dati

Nel raggio di {{range}}Km

Loading...
  • {{ getIcon(poi.type) }} {{ poi.localized }}: {{poi.count}}
  • {{ getIcon(poi.type) }} {{ poi.localized }}: {{poi.count}}
Dati non disponibili

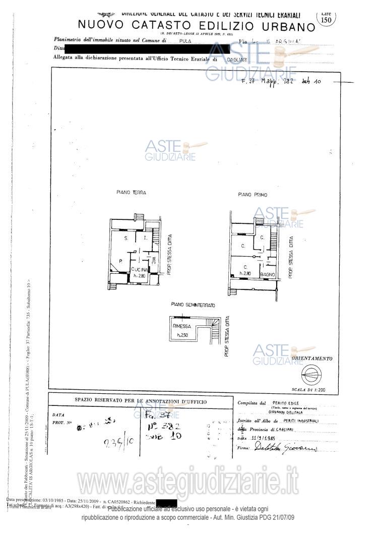
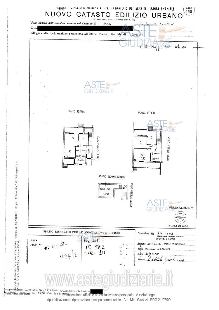
Quota pari all’intero del diritto di usufrutto sull’immobile sito a Pula, sul fabbricato per civile abitazione su tre livelli avente accesso dalla Via S.Efisio, composto al piano seminterrato da locale di sgombero, tre disimpegni, una cantina, un’autorimessa, un ripostiglio; al piano terra da soggiorno, cucina-pranzo, quattro disimpegni, tre bagni, tre camere, uno studio, due loggiati, area cortilizia; al piano primo da una camera, un locale guardaroba, un disimpegno, un bagno, un locale sottotetto

Indirizzo
Via Sant'Efisio, 09010 Pula CA, Italia, Pula (CA)


Codice asta
420670


Lotto
1


Numero beni
1


Genere
Immobili


Categoria
Immobile residenziale


Valore di stima
-


Abitazione di tipo civile

Quota pari all’intero del diritto di usufrutto sull’immobile sito a Pula , sul fabbricato per civile abitazione su tre livelli avente accesso dalla Via S.Efisio, composto al piano seminterrato da locale di sgombero, tre disimpegni, una cantina, un’autorimessa, un ripostiglio; al piano terra da soggiorno, cucina-pranzo, quattro disimpegni, tre bagni, tre camere, uno studio, due loggiati, area cortilizia; al piano primo da una camera, un locale guardaroba, un disimpegno, un bagno, un locale sottotetto

Indirizzo
Via Sant'Efisio, 09050 Pula CA, Italia, Pula (CA)


Piano
-


Disponibilità
-


Vani
8,00


Bagni
-


Metri quadri
2224,00


Certificazione energetica
-


Data udienza
26/05/2026 ore 11:00


Tipo di vendita
Senza incanto


Modalità di vendita
Asincrona telematica


Luogo
N.A. -


Luogo presentazione offerte
-


Termine presentazione offerte
25/05/2026 ore 13:00


Prezzo base
€ 108.800,00


Offerta minima
€ 81.600,00


Rialzo minimo in caso di gara
€ 8.000,00


Deposito cauzionale
15000,00


Deposito in conto spese
-


Tribunale
Cagliari

Tipo di procedura
Esecuzione immobiliare post legge 80

Ruolo
192/2005

Giudice
Cocco Silvia

Recapiti
-

Email
-

Delegato alla vendita
Casti Stefano
(Procede alle operazioni di vendita)

Recapiti
Tel. 07060222574

Email
ufficiouniconotai@pec.it

Custode giudiziario
Ivg cagliari 
(Gestisce la visita del bene)

Recapiti
Tel. 0702299036

Scheda COD. 420670 - Pubblicata dal 27/03/2026

La presente scheda di vendita riporta integralmente informazioni e documenti pervenuti ufficialmente dal Ministero e dal professionista incaricato.

Pubblicazione notarizzata su Blockchain


Pubblicazione autorizzata dall’Autorità competente, è vietata ogni ripubblicazione o riproduzione anche parziale


Ti interessa questa vendita?

Visualizza su mappa

Mappa geografica del bene

Storico delle vendite

Data venditaPrezzo base
04/05/2018€ 327.650,00
28/06/2019€ 262.200,00
20/01/2023€ 236.000,00
28/11/2023€ 188.800,00
16/04/2024€ 170.000,00
14/01/2025€ 170.000,00
27/05/2025€ 136.000,00
13/01/2026€ 136.000,00
26/05/2026€ 108.800,00

Punti di interesse

Fonte dati

Nel raggio di {{range}}Km

Loading...
  • {{ getIcon(poi.type) }} {{ poi.localized }}: {{poi.count}}
  • {{ getIcon(poi.type) }} {{ poi.localized }}: {{poi.count}}
Dati non disponibili