Astegiudiziarie.it è parte di Rete Aste Network

Accedi o registrati

Non sei ancora registrato?

Oppure

Accedi

Abitazione di tipo popolare

Via del Mare, Lido di Licola NA, Italia, Pozzuoli (NA)

€ 13.366,36

Offerta minima € 10.024,77


Codice A172509

Lotto Lotto unico

Data vendita 04/02/2026 ore 12:00

Termine presentazione offerte 03/02/2026 ore 12:00

Abitazione di tipo popolare

Via del Mare, Lido di Licola NA, Italia, Pozzuoli (NA)

€ 13.366,36

Offerta minima € 10.024,77


Codice A172509

Lotto Lotto unico

Data Vendita 04/02/2026 ore 12:00

Termine presentazione offerte 03/02/2026 ore 12:00

Ti interessa questa vendita?

Documentazione

Visualizza su mappa

Mappa geografica del bene

Punti di interesse

Fonte dati

Nel raggio di {{range}}Km

Loading...
  • {{ getIcon(poi.type) }} {{ poi.localized }}: {{poi.count}}
  • {{ getIcon(poi.type) }} {{ poi.localized }}: {{poi.count}}
Dati non disponibili

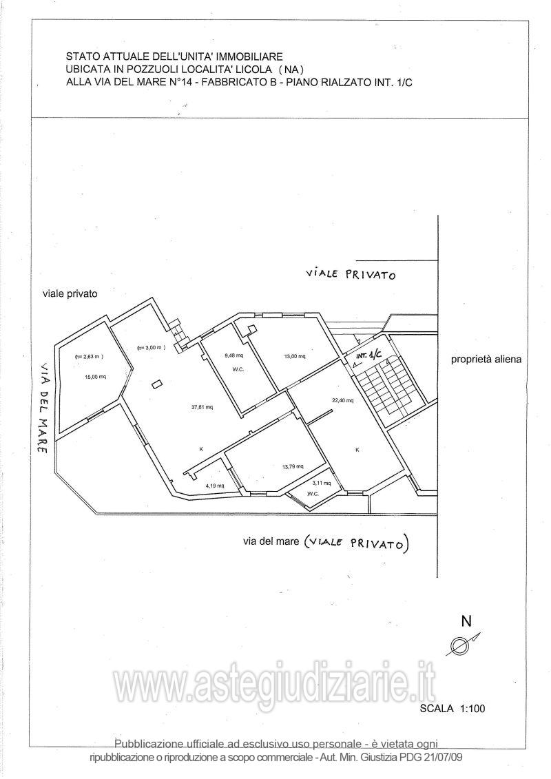
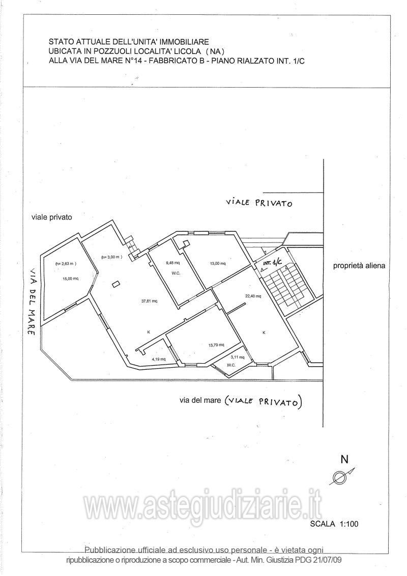
Lotto Unico Quota 1/1 della piena proprietà appartamento sito in Pozzuoli, Località Licola (NA) alla Via del Mare n. 14 (già Via degli Arenili), Parco Laudiero Fabbricato B, Scala C, Piano rialzato, interno 1/C, N.C.E.U. del Comune di Pozzuoli (NA) al foglio 7, particella 171, sub 2, Cat. A / 2, cl. 5, vani catastali 6, per complessivi mq. 138,75 circa; rendita catastale € 759,19. L’appartamento confina ad est ed ovest con i viali privati, a sud con Via del Mare ed a nord con androne vano scala C.

Indirizzo
Via del Mare, Lido di Licola NA, Italia, Pozzuoli (NA)


Codice asta
172509


Lotto
Lotto unico


Numero beni
1


Genere
Immobili


Categoria
Immobile residenziale


Valore di stima
-


Abitazione di tipo popolare

Lotto Unico Quota 1/1 della piena proprietà dell’appartamento sito in Pozzuoli, Località Licola (NA) alla Via del Mare n. 14 (già Via degli Arenili), Parco Laudiero Fabbricato B, Scala C, Piano rialzato, interno 1/C, catastalmente riportato al N.C.E.U. del Comune di Pozzuoli (NA) al foglio 7, particella 171, sub 2, Cat. A / 2, cl. 5, vani catastali 6, per complessivi mq. 138,75 circa; rendita catastale € 759,19. L’appartamento confina ad est ed ovest con i viali privati, a sud con Via del Mare ed a nord con androne vano scala C.

Indirizzo
Via del Mare, 14, 80078 Lido di Licola NA, Italia, Pozzuoli (NA)


Piano
-


Disponibilità
OCCUP


Vani
6,00


Bagni
-


Metri quadri
138,75


Certificazione energetica
-


Dati catastali

Foglio:7, Particella:171, Subalterno:2


Data vendita
04/02/2026 ore 12:00


Tipo di vendita
Senza incanto


Modalità di vendita
Presso il venditore


Luogo
Via Pietro Mascagni, 78, 80128 Napoli NA, Italia - Napoli 80128


Luogo presentazione offerte
-


Termine presentazione offerte
03/02/2026 ore 12:00


Prezzo base
€ 13.366,36


Offerta minima
€ 10.024,77


Rialzo minimo in caso di gara
-


Deposito cauzionale
-


Deposito in conto spese
-


Tribunale
Napoli

Tipo di procedura
Esecuzione immobiliare post legge 80

Ruolo
786/2010

Delegato alla vendita
Gallinoro Ilaria
(Procede alle operazioni di vendita)
(Gestisce la visita del bene)

Recapiti
Tel. 3476203486

Scheda COD. 172509 - Pubblicata dal 10/11/2025

La presente scheda di vendita riporta integralmente informazioni e documenti pervenuti ufficialmente dal Ministero e dal professionista incaricato.

Pubblicazione notarizzata su Blockchain


Pubblicazione autorizzata dall’Autorità competente, è vietata ogni ripubblicazione o riproduzione anche parziale


Ti interessa questa vendita?

Documentazione

Visualizza su mappa

Mappa geografica del bene

Storico delle vendite

Data venditaPrezzo base
08/11/2011€ 150.202,00
29/11/2011€ 150.202,00
30/05/2012€ 112.651,50
27/02/2013€ 84.488,63
12/03/2013€ 84.488,63
17/01/2014€ 63.366,48
31/01/2014€ 63.366,48
28/05/2015€ 47.524,86
09/06/2015€ 47.524,86
10/06/2016€ 47.524,86
30/03/2017€ 35.643,64
28/09/2018€ 17.821,82
01/10/2024€ 13.366,36
04/02/2026€ 13.366,36

Punti di interesse

Fonte dati

Nel raggio di {{range}}Km

Loading...
  • {{ getIcon(poi.type) }} {{ poi.localized }}: {{poi.count}}
  • {{ getIcon(poi.type) }} {{ poi.localized }}: {{poi.count}}
Dati non disponibili