Astegiudiziarie.it è parte di Rete Aste Network

Accedi o registrati

Non sei ancora registrato?

Oppure

Accedi

Abitazione di tipo economico

Via Alessandro Volta 3, Paternò (CT)

€ 24.200,00

Offerta minima € 18.150,00


Codice A4343158

Lotto Lotto unico

Data udienza 08/04/2026 ore 09:30

Termine presentazione offerte 07/04/2026 ore 13:00

Abitazione di tipo economico

Via Alessandro Volta 3, Paternò (CT)

€ 24.200,00

Offerta minima € 18.150,00


Codice A4343158

Lotto Lotto unico

Data udienza 08/04/2026 ore 09:30

Termine presentazione offerte 07/04/2026 ore 13:00

Ti interessa questa vendita?

Documentazione

Visualizza su mappa

Mappa geografica del bene

Punti di interesse

Fonte dati

Nel raggio di {{range}}Km

Loading...
  • {{ getIcon(poi.type) }} {{ poi.localized }}: {{poi.count}}
  • {{ getIcon(poi.type) }} {{ poi.localized }}: {{poi.count}}
Dati non disponibili

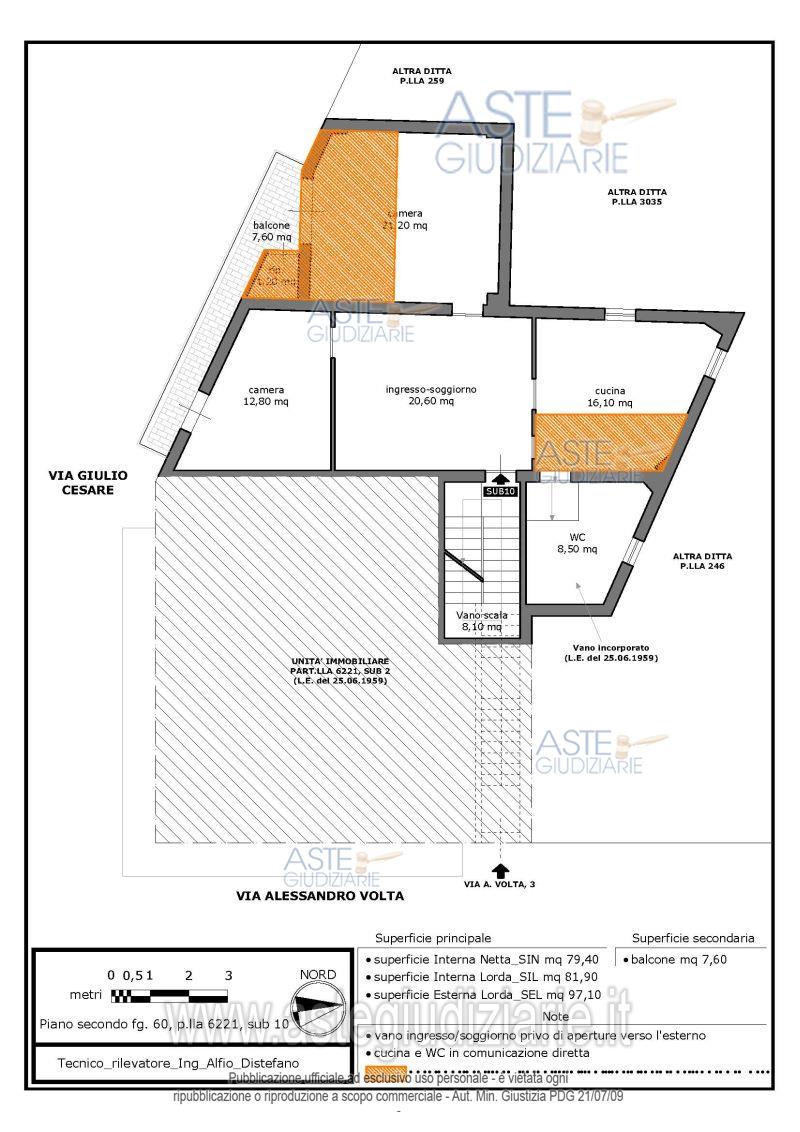
Appartamento al piano secondo di vani 3,5.

Indirizzo
Via Alessandro Volta 3, Paternò (CT)


Codice asta
4343158


Lotto
Lotto unico


Numero beni
1


Genere
Immobili


Categoria
Immobile residenziale


Valore di stima
-


Abitazione di tipo economico

Appartamento al piano secondo di vani 3,5.

Indirizzo
Via Alessandro Volta 3, Paternò (CT)


Piano
-


Disponibilità
-


Vani
3,50


Bagni
1


Metri quadri
84,00


Certificazione energetica
-


Data udienza
08/04/2026 ore 09:30


Tipo di vendita
Senza incanto


Modalità di vendita
Sincrona mista


Luogo
Ufficio Aste Giudiziarie Inlinea S.p.A.-Corso delle Province, 203, scala E - Catania 95128


Luogo presentazione offerte
-


Termine presentazione offerte
07/04/2026 ore 13:00


Prezzo base
€ 24.200,00


Offerta minima
€ 18.150,00


Rialzo minimo in caso di gara
€ 500,00


Deposito cauzionale
10% del prezzo offerto


Deposito in conto spese
-


Tribunale
Catania

Tipo di procedura
Esecuzione immobiliare post legge 80

Ruolo
377/2022

Giudice
Chisari Maria angela

Recapiti
-

Email
-

Delegato alla vendita
Passanisi Gaetano
(Procede alle operazioni di vendita)

Recapiti
-

Email
-

Custode giudiziario
Passanisi Gaetano
(Gestisce la visita del bene)

Recapiti
-

Scheda COD. 4343158 - Pubblicata dal 30/01/2026

La presente scheda di vendita riporta integralmente informazioni e documenti pervenuti ufficialmente dal Ministero e dal professionista incaricato.

Pubblicazione notarizzata su Blockchain


Pubblicazione autorizzata dall’Autorità competente, è vietata ogni ripubblicazione o riproduzione anche parziale


Ti interessa questa vendita?

Documentazione

Visualizza su mappa

Mappa geografica del bene

Punti di interesse

Fonte dati

Nel raggio di {{range}}Km

Loading...
  • {{ getIcon(poi.type) }} {{ poi.localized }}: {{poi.count}}
  • {{ getIcon(poi.type) }} {{ poi.localized }}: {{poi.count}}
Dati non disponibili