Astegiudiziarie.it è parte di Rete Aste Network

Accedi o registrati

Non sei ancora registrato?

Oppure

Accedi

Appartamento

via Nazionale 15, Palmi (RC)

€ 69.278,08

Offerta minima € 51.958,56


Codice A4312536

Lotto Unico

Data udienza 03/03/2026 ore 16:30

Termine presentazione offerte 02/03/2026 ore 12:00

Appartamento

via Nazionale 15, Palmi (RC)

€ 69.278,08

Offerta minima € 51.958,56


Codice A4312536

Lotto Unico

Data udienza 03/03/2026 ore 16:30

Termine presentazione offerte 02/03/2026 ore 12:00

Ti interessa questa vendita?

Documentazione

Visualizza su mappa

Mappa geografica del bene

Punti di interesse

Fonte dati

Nel raggio di {{range}}Km

Loading...
  • {{ getIcon(poi.type) }} {{ poi.localized }}: {{poi.count}}
  • {{ getIcon(poi.type) }} {{ poi.localized }}: {{poi.count}}
Dati non disponibili

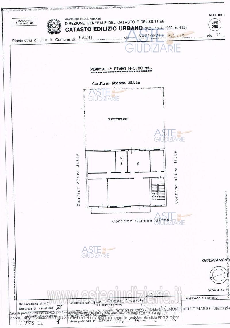
Abitazione di tipo economico, con annesso terrazzo a livello, posta al primo piano. Diritti: nuda proprietà 1/1.

Indirizzo
via Nazionale 15, Palmi (RC)


Codice asta
4312536


Lotto
Unico


Numero beni
1


Genere
Immobili


Categoria
Immobile residenziale


Valore di stima
-


Appartamento

Abitazione di tipo economico, con annesso terrazzo a livello, posta al primo piano. Diritti: nuda proprietà 1/1.

Indirizzo
via Nazionale 15, Palmi (RC)


Piano
-


Disponibilità
-


Vani
6,50


Bagni
-


Metri quadri
154,00


Certificazione energetica
-


Data udienza
03/03/2026 ore 16:30


Tipo di vendita
Senza incanto


Modalità di vendita
Asincrona telematica


Luogo
-


Luogo presentazione offerte
-


Termine presentazione offerte
02/03/2026 ore 12:00


Prezzo base
€ 69.278,08


Offerta minima
€ 51.958,56


Rialzo minimo in caso di gara
€ 1.000,00


Deposito cauzionale
10% del prezzo offerto


Deposito in conto spese
-


Tribunale
Palmi

Tipo di procedura
Esecuzione immobiliare

Ruolo
19/2023

Professionista delegato
Filippone Maria stefania
(Procede alle operazioni di vendita)

Recapiti
Tel. 340 2810328

Email
-

Scheda COD. 4312536 - Pubblicata dal 13/01/2026

La presente scheda di vendita riporta integralmente informazioni e documenti pervenuti ufficialmente dal Ministero e dal professionista incaricato.


Pubblicazione autorizzata dall’Autorità competente, è vietata ogni ripubblicazione o riproduzione anche parziale


Ti interessa questa vendita?

Documentazione

Visualizza su mappa

Mappa geografica del bene

Storico delle vendite

Data venditaPrezzo base
19/11/2024€ 127.349,43
18/02/2025€ 101.879,54
06/05/2025€ 81.503,63
03/03/2026€ 69.278,08

Punti di interesse

Fonte dati

Nel raggio di {{range}}Km

Loading...
  • {{ getIcon(poi.type) }} {{ poi.localized }}: {{poi.count}}
  • {{ getIcon(poi.type) }} {{ poi.localized }}: {{poi.count}}
Dati non disponibili