Astegiudiziarie.it è parte di Rete Aste Network

Accedi o registrati

Non sei ancora registrato?

Oppure

Accedi

Abitazione di tipo civile

Via Due Ponti, 47833 Morciano di Romagna RN, Italia, Morciano di Romagna (RN)

€ 143.000,00

Offerta minima € 107.250,00


Codice A4348694

Lotto 2

Data udienza 26/05/2026 ore 11:30

Termine presentazione offerte 25/05/2026 ore 13:00

Abitazione di tipo civile

Via Due Ponti, 47833 Morciano di Romagna RN, Italia, Morciano di Romagna (RN)

€ 143.000,00

Offerta minima € 107.250,00


Codice A4348694

Lotto 2

Data udienza 26/05/2026 ore 11:30

Termine presentazione offerte 25/05/2026 ore 13:00

Ti interessa questa vendita?

Documentazione

Visualizza su mappa

Mappa geografica del bene

Punti di interesse

Fonte dati

Nel raggio di {{range}}Km

Loading...
  • {{ getIcon(poi.type) }} {{ poi.localized }}: {{poi.count}}
  • {{ getIcon(poi.type) }} {{ poi.localized }}: {{poi.count}}
Dati non disponibili

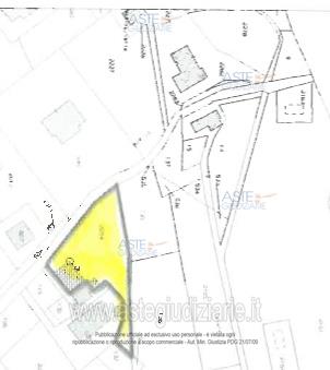
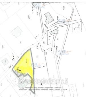
Piena proprietà di fabbricato terra-cielo ad uso residenziale con corte pertinenziale, in aderenza su un lato ad altro fabbricato di remota costruzione

Indirizzo
Via Due Ponti, 47833 Morciano di Romagna RN, Italia, Morciano di Romagna (RN)


Codice asta
4348694


Lotto
2


Numero beni
1


Genere
Immobili


Categoria
Immobile residenziale


Valore di stima
-


Abitazione di tipo civile

Piena proprietà di fabbricato terra-cielo ad uso residenziale con corte pertinenziale, in aderenza su un lato ad altro fabbricato di remota costruzione

Indirizzo
Via Due Ponti, 47833 Morciano di Romagna RN, Italia, Morciano di Romagna (RN)


Piano
-


Disponibilità
-


Vani
-


Bagni
-


Metri quadri
227,07


Certificazione energetica
-


Dati catastali

Foglio:3, Particella:2284


Data udienza
26/05/2026 ore 11:30


Tipo di vendita
Senza incanto


Modalità di vendita
Asincrona telematica


Luogo
N.A. -


Luogo presentazione offerte
-


Termine presentazione offerte
25/05/2026 ore 13:00


Prezzo base
€ 143.000,00


Offerta minima
€ 107.250,00


Rialzo minimo in caso di gara
€ 2.500,00


Deposito cauzionale
10% del prezzo offerto


Deposito in conto spese
-


Tribunale
Rimini

Tipo di procedura
Espropriazione immobiliare (cartabia)

Ruolo
46/2025

Giudice
Bocchini Letizia

Recapiti
-

Email
-

Delegato alla vendita
Tornani Simone
(Procede alle operazioni di vendita)

Recapiti
Tel. 054156585

Email
tornani@studioelectalex.it

Custode giudiziario
Tornani Simone
(Gestisce la visita del bene)

Recapiti
Tel. 054156585

Scheda COD. 4348694 - Pubblicata dal 01/04/2026

La presente scheda di vendita riporta integralmente informazioni e documenti pervenuti ufficialmente dal Ministero e dal professionista incaricato.


Pubblicazione autorizzata dall’Autorità competente, è vietata ogni ripubblicazione o riproduzione anche parziale


Ti interessa questa vendita?

Documentazione

Visualizza su mappa

Mappa geografica del bene

Punti di interesse

Fonte dati

Nel raggio di {{range}}Km

Loading...
  • {{ getIcon(poi.type) }} {{ poi.localized }}: {{poi.count}}
  • {{ getIcon(poi.type) }} {{ poi.localized }}: {{poi.count}}
Dati non disponibili