Astegiudiziarie.it è parte di Rete Aste Network

Accedi o registrati

Non sei ancora registrato?

Oppure

Accedi

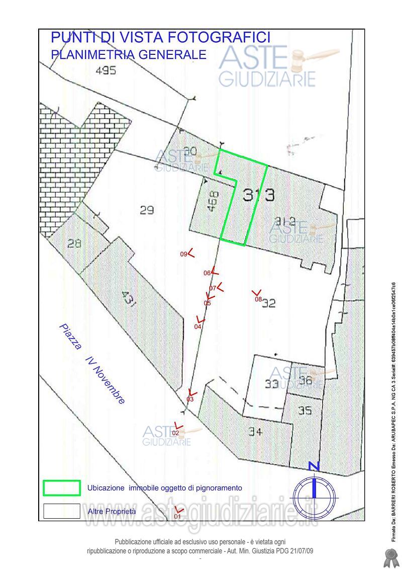
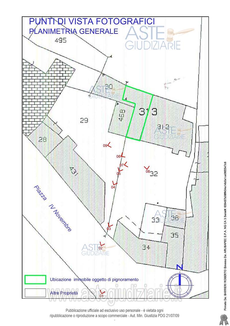
Abitazione di tipo popolare

Piazza IV Novembre, 7, 14040 Mongardino AT, Italia, Mongardino (AT)

€ 13.987,00

Offerta minima € 10.491,00


Codice A2794106

Lotto Lotto unico

Data udienza 02/07/2026 ore 16:00

Termine presentazione offerte 01/07/2026 ore 12:00

Abitazione di tipo popolare

Piazza IV Novembre, 7, 14040 Mongardino AT, Italia, Mongardino (AT)

€ 13.987,00

Offerta minima € 10.491,00


Codice A2794106

Lotto Lotto unico

Data udienza 02/07/2026 ore 16:00

Termine presentazione offerte 01/07/2026 ore 12:00

Ti interessa questa vendita?

Documentazione

Visualizza su mappa

Mappa geografica del bene

Punti di interesse

Fonte dati

Nel raggio di {{range}}Km

Loading...
  • {{ getIcon(poi.type) }} {{ poi.localized }}: {{poi.count}}
  • {{ getIcon(poi.type) }} {{ poi.localized }}: {{poi.count}}
Dati non disponibili

Porzione di fabbricato elevato a due piani fuori terra oltre a piano interrato.

Indirizzo
Piazza IV Novembre, 7, 14040 Mongardino AT, Italia, Mongardino (AT)


Codice asta
2794106


Lotto
Lotto unico


Numero beni
1


Genere
Immobili


Categoria
Immobile residenziale


Valore di stima
-


Abitazione di tipo popolare

Porzione di fabbricato elevata a due piani fuori terra oltre a piano interrato così composta: al piano terreno da soggiorno-ingresso, disimpegno e cucina; al piano primo da due camere; al piano seminterrato servizio igienico, cantina portico con scale di collegamenti tra i piani.

Indirizzo
Piazza IV Novembre, 7, 14040 Mongardino AT, Italia, Mongardino (AT)


Piano
-


Disponibilità
-


Vani
5,50


Bagni
-


Metri quadri
94,00


Certificazione energetica
-


Data udienza
02/07/2026 ore 16:00


Tipo di vendita
Senza incanto


Modalità di vendita
Asincrona telematica


Luogo
N.A. -


Luogo presentazione offerte
-


Termine presentazione offerte
01/07/2026 ore 12:00


Prezzo base
€ 13.987,00


Offerta minima
€ 10.491,00


Rialzo minimo in caso di gara
€ 1.000,00


Deposito cauzionale
10% del prezzo offerto


Deposito in conto spese
-


Tribunale
Asti

Tipo di procedura
Esecuzione immobiliare post legge 80

Ruolo
28/2017

Delegato alla vendita
Ferraris Monica
(Procede alle operazioni di vendita)

Recapiti
Tel. 0141436252

Email
-

Custode giudiziario
Istituto vendite giudiziarie 
(Gestisce la visita del bene)

Recapiti
Cell. 3664299971
Tel. 011485338-0114731714

Scheda COD. 2794106 - Pubblicata dal 10/04/2026

La presente scheda di vendita riporta integralmente informazioni e documenti pervenuti ufficialmente dal Ministero e dal professionista incaricato.

Pubblicazione notarizzata su Blockchain


Pubblicazione autorizzata dall’Autorità competente, è vietata ogni ripubblicazione o riproduzione anche parziale


Ti interessa questa vendita?

Documentazione

Visualizza su mappa

Mappa geografica del bene

Storico delle vendite

Data venditaPrezzo base
03/07/2019€ 36.000,00
23/10/2019€ 32.400,00
04/02/2020€ 29.160,00
19/05/2020€ 26.240,00
14/01/2021€ 26.240,00
30/09/2021€ 23.620,00
18/01/2022€ 21.260,00
27/04/2022€ 19.134,00
25/10/2022€ 17.220,00
15/06/2023€ 15.498,00
18/07/2024€ 14.723,10
14/01/2025€ 13.987,00
02/07/2026€ 13.987,00

Punti di interesse

Fonte dati

Nel raggio di {{range}}Km

Loading...
  • {{ getIcon(poi.type) }} {{ poi.localized }}: {{poi.count}}
  • {{ getIcon(poi.type) }} {{ poi.localized }}: {{poi.count}}
Dati non disponibili