Astegiudiziarie.it è parte di Rete Aste Network

Accedi o registrati

Non sei ancora registrato?

Oppure

Accedi

Abitazione di tipo civile

Cascina Bonifacio, 6, 15050 Molino dei Torti AL, Italia, Molino dei Torti (AL)

€ 20.566,40

Offerta minima € 15.424,80


Codice A4303342

Lotto Lotto unico

Data vendita 18/02/2026 ore 16:00

Termine presentazione offerte 17/02/2026 ore 12:00

Abitazione di tipo civile

Cascina Bonifacio, 6, 15050 Molino dei Torti AL, Italia, Molino dei Torti (AL)

€ 20.566,40

Offerta minima € 15.424,80


Codice A4303342

Lotto Lotto unico

Data Vendita 18/02/2026 ore 16:00

Termine presentazione offerte 17/02/2026 ore 12:00

Ti interessa questa vendita?

Documentazione

Visualizza su mappa

Mappa geografica del bene

Punti di interesse

Fonte dati

Nel raggio di {{range}}Km

Loading...
  • {{ getIcon(poi.type) }} {{ poi.localized }}: {{poi.count}}
  • {{ getIcon(poi.type) }} {{ poi.localized }}: {{poi.count}}
Dati non disponibili

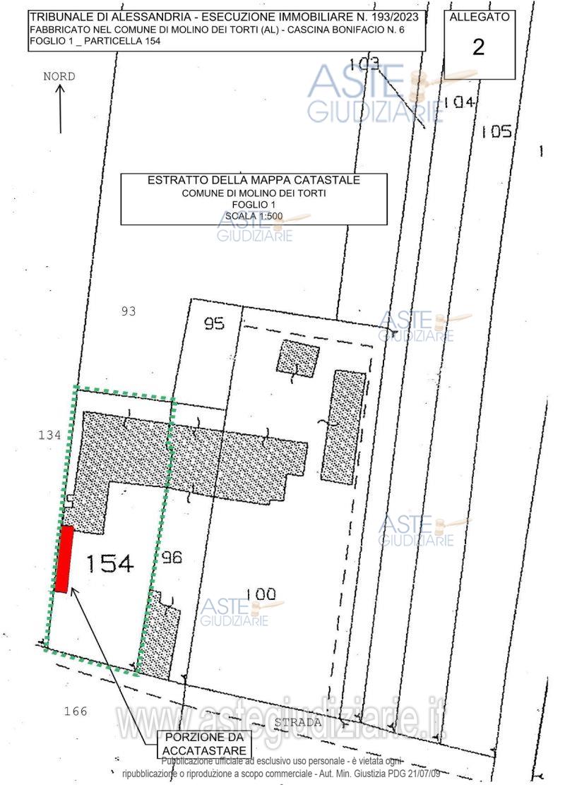
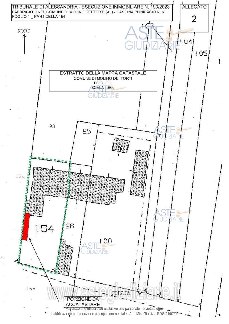
Fabbricato a prevalente destinazione residenziale, costituito da n. 2 appartamenti con accessori, deposito con sovrastante cascina e tettoia, cortile antistante e spazio retrostante.

Indirizzo
Cascina Bonifacio, 6, 15050 Molino dei Torti AL, Italia, Molino dei Torti (AL)


Codice asta
4303342


Lotto
Lotto unico


Numero beni
1


Genere
Immobili


Categoria
Immobile residenziale


Valore di stima
-


Abitazione di tipo civile

Fabbricato a prevalente destinazione residenziale, costituito da n. 2 appartamenti con accessori, deposito con sovrastante cascina e tettoia, cortile antistante e spazio retrostante.

Indirizzo
Cascina Bonifacio, 6, 15050 Molino dei Torti AL, Italia, Molino dei Torti (AL)


Piano
-


Disponibilità
OCCUP


Vani
-


Bagni
-


Metri quadri
-


Certificazione energetica
-


Dati catastali

Foglio:1, Particella:154, Subalterno:2
Foglio:1, Particella:154, Subalterno:3
Foglio:1, Particella:154, Subalterno:4
Foglio:1, Particella:154, Subalterno:5


Data vendita
18/02/2026 ore 16:00


Tipo di vendita
Senza incanto


Modalità di vendita
Presso il venditore


Luogo
Vicolo Pocasale Ghisolfo, 2 - Tortona 15057


Luogo presentazione offerte
-


Termine presentazione offerte
17/02/2026 ore 12:00


Prezzo base
€ 20.566,40


Offerta minima
€ 15.424,80


Rialzo minimo in caso di gara
€ 250,00


Deposito cauzionale
-


Deposito in conto spese
-


Tribunale
Alessandria

Tipo di procedura
Espropriazione immobiliare (cartabia)

Ruolo
193/2023

Giudice
Delli paoli Michele

Recapiti
-

Email
-

Delegato alla vendita
Nobile Ernesto
(Procede alle operazioni di vendita)

Recapiti
Tel. 0131894587

Email
en@studiocaratti.eu

Custode giudiziario
Nobile Ernesto
(Gestisce la visita del bene)

Recapiti
Tel. 0131894587

Scheda COD. 4303342 - Pubblicata dal 13/11/2025

La presente scheda di vendita riporta integralmente informazioni e documenti pervenuti ufficialmente dal Ministero e dal professionista incaricato.


Pubblicazione autorizzata dall’Autorità competente, è vietata ogni ripubblicazione o riproduzione anche parziale


Ti interessa questa vendita?

Documentazione

Visualizza su mappa

Mappa geografica del bene

Storico delle vendite

Data venditaPrezzo base
18/09/2024€ 65.000,00
22/01/2025€ 48.750,00
21/05/2025€ 36.562,50
15/10/2025€ 27.421,87
18/02/2026€ 20.566,40

Punti di interesse

Fonte dati

Nel raggio di {{range}}Km

Loading...
  • {{ getIcon(poi.type) }} {{ poi.localized }}: {{poi.count}}
  • {{ getIcon(poi.type) }} {{ poi.localized }}: {{poi.count}}
Dati non disponibili