Astegiudiziarie.it è parte di Rete Aste Network

Accedi o registrati

Non sei ancora registrato?

Oppure

Accedi

Appartamento

Via Ludovico Jacchetti, 21, 28876 Staffa VB, Italia, Macugnaga (VB)

€ 150.000,00

Offerta minima € 112.500,00


Codice A4350329

Lotto Lotto unico

Data udienza 23/06/2026 ore 10:00

Termine presentazione offerte 22/06/2026 ore 12:00

Appartamento

Via Ludovico Jacchetti, 21, 28876 Staffa VB, Italia, Macugnaga (VB)

€ 150.000,00

Offerta minima € 112.500,00


Codice A4350329

Lotto Lotto unico

Data udienza 23/06/2026 ore 10:00

Termine presentazione offerte 22/06/2026 ore 12:00

Ti interessa questa vendita?

Documentazione

Visualizza su mappa

Mappa geografica del bene

Punti di interesse

Fonte dati

Nel raggio di {{range}}Km

Loading...
  • {{ getIcon(poi.type) }} {{ poi.localized }}: {{poi.count}}
  • {{ getIcon(poi.type) }} {{ poi.localized }}: {{poi.count}}
Dati non disponibili

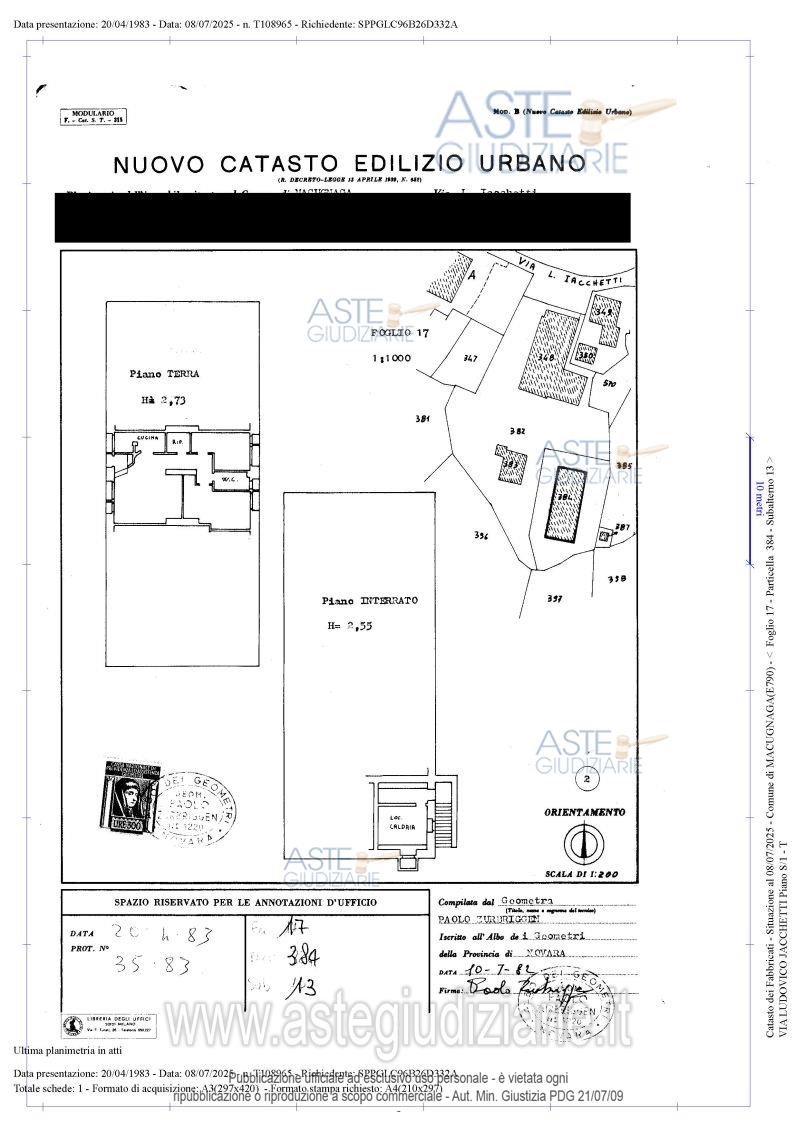
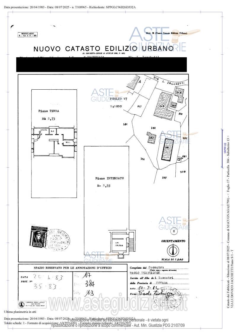
Appartamento al piano terra, inserito in contesto condominiale, composto da: soggiorno, cucina, disimpegno, ripostiglio, bagno, n. 2 camere

Indirizzo
Via Ludovico Jacchetti, 21, 28876 Staffa VB, Italia, Macugnaga (VB)


Codice asta
4350329


Lotto
Lotto unico


Numero beni
1


Genere
Immobili


Categoria
Immobile residenziale


Valore di stima
-


Appartamento

Appartamento al piano terra, inserito in contesto condominiale, composto da: soggiorno, cucina, disimpegno, ripostiglio, bagno, n. 2 camere.

Indirizzo
Via Ludovico Jacchetti, 21, 28876 Staffa VB, Italia, Macugnaga (VB)


Piano
-


Disponibilità
-


Vani
50,00


Bagni
-


Metri quadri
94,00


Certificazione energetica
-


Data udienza
23/06/2026 ore 10:00


Tipo di vendita
Senza incanto


Modalità di vendita
Asincrona telematica


Luogo
N.A. -


Luogo presentazione offerte
-


Termine presentazione offerte
22/06/2026 ore 12:00


Prezzo base
€ 150.000,00


Offerta minima
€ 112.500,00


Rialzo minimo in caso di gara
€ 10.000,00


Deposito cauzionale
10.000,00


Deposito in conto spese
-


Tribunale
Verbania

Tipo di procedura
Espropriazione immobiliare (cartabia)

Ruolo
46/2025

Giudice
Sacco Antonietta
(Procede alle operazioni di vendita)

Recapiti
-

Email
-

Custode giudiziario
Aste giudiziarie inlinea spa 
(Gestisce la visita del bene)

Recapiti
-

Scheda COD. 4350329 - Pubblicata dal 24/04/2026

La presente scheda di vendita riporta integralmente informazioni e documenti pervenuti ufficialmente dal Ministero e dal professionista incaricato.


Pubblicazione autorizzata dall’Autorità competente, è vietata ogni ripubblicazione o riproduzione anche parziale


Ti interessa questa vendita?

Documentazione

Visualizza su mappa

Mappa geografica del bene

Punti di interesse

Fonte dati

Nel raggio di {{range}}Km

Loading...
  • {{ getIcon(poi.type) }} {{ poi.localized }}: {{poi.count}}
  • {{ getIcon(poi.type) }} {{ poi.localized }}: {{poi.count}}
Dati non disponibili