Astegiudiziarie.it è parte di Rete Aste Network

Accedi o registrati

Non sei ancora registrato?

Oppure

Accedi

Abitazione di tipo ultrapopolare

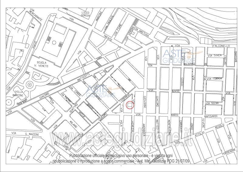
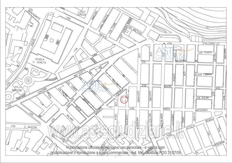
via Venezia 8-10, Lentini (SR)

€ 23.372,00

Offerta minima € 17.529,00


Codice A265302

Lotto Lotto unico

Data vendita 22/05/2026 ore 12:00

Termine presentazione offerte 21/05/2026 ore 12:00

Abitazione di tipo ultrapopolare

via Venezia 8-10, Lentini (SR)

€ 23.372,00

Offerta minima € 17.529,00


Codice A265302

Lotto Lotto unico

Data Vendita 22/05/2026 ore 12:00

Termine presentazione offerte 21/05/2026 ore 12:00

Ti interessa questa vendita?

Documentazione

Visualizza su mappa

Mappa geografica del bene

Punti di interesse

Fonte dati

Nel raggio di {{range}}Km

Loading...
  • {{ getIcon(poi.type) }} {{ poi.localized }}: {{poi.count}}
  • {{ getIcon(poi.type) }} {{ poi.localized }}: {{poi.count}}
Dati non disponibili

Lotto Unico: piena proprietà di edificio composto da n 2 unità immobiliari: appartamento in Lentini (Sr) alla via Venezia n 10 piano 1,2,3, in catasto urbano f.92, p.743, sub5, cat A/4; garage in Lentini (Sr), alla via Venezia n 8, piano T, in catasto urbano f.92, p.743, sub4, cat C/6.

Indirizzo
via Venezia 8-10, Lentini (SR)


Codice asta
265302


Lotto
Lotto unico


Numero beni
1


Genere
Immobili


Categoria
Immobile residenziale


Valore di stima
-


Abitazione di tipo ultrapopolare

Lotto Unico: piena proprietà di edificio composto da n 2 unità immobiliari: appartamento in Lentini (Sr) alla via Venezia n 10 piano 1,2,3, in catasto urbano f.92, p.743, sub5, cat A/4; garage in Lentini (Sr), alla via Venezia n 8, piano T, in catasto urbano f.92, p.743, sub4, cat C/6.

Indirizzo
via Venezia 8- 10, Siracusa (SR)


Piano
T 1 2 3


Disponibilità
OCCUPATO


Vani
-


Bagni
-


Metri quadri
-


Certificazione energetica
-


Dati catastali

Foglio:92, Particella:743, Subalterno:5
Foglio:92, Particella:743, Subalterno:4


Data vendita
22/05/2026 ore 12:00


Tipo di vendita
Senza incanto


Modalità di vendita
Presso il venditore


Luogo
viale Santa Panagia 109 c/o tribunale di Siracusa - Siracusa 96100


Luogo presentazione offerte
-


Termine presentazione offerte
21/05/2026 ore 12:00


Prezzo base
€ 23.372,00


Offerta minima
€ 17.529,00


Rialzo minimo in caso di gara
€ 2.000,00


Deposito cauzionale
-


Deposito in conto spese
-


Tribunale
Siracusa

Tipo di procedura
Esecuzione immobiliare post legge 80

Ruolo
461/2012

Delegato alla vendita
Cataudella Carmelo
(Procede alle operazioni di vendita)
(Gestisce la visita del bene)

Recapiti
Cell. 3474804725
Tel. 0931449210

Scheda COD. 265302 - Pubblicata dal 18/03/2026

La presente scheda di vendita riporta integralmente informazioni e documenti pervenuti ufficialmente dal Ministero e dal professionista incaricato.

Pubblicazione notarizzata su Blockchain


Pubblicazione autorizzata dall’Autorità competente, è vietata ogni ripubblicazione o riproduzione anche parziale


Ti interessa questa vendita?

Documentazione

Visualizza su mappa

Mappa geografica del bene

Storico delle vendite

Data venditaPrezzo base
22/07/2014€ 73.867,11
29/07/2014€ 73.867,11
13/01/2015€ 55.400,33
20/01/2015€ 55.400,33
05/06/2015€ 41.550,25
12/06/2015€ 41.550,25
26/09/2019€ 55.400,33
13/02/2024€ 41.550,25
13/01/2026€ 31.162,69
22/05/2026€ 23.372,00

Punti di interesse

Fonte dati

Nel raggio di {{range}}Km

Loading...
  • {{ getIcon(poi.type) }} {{ poi.localized }}: {{poi.count}}
  • {{ getIcon(poi.type) }} {{ poi.localized }}: {{poi.count}}
Dati non disponibili