Astegiudiziarie.it è parte di Rete Aste Network

Accedi o registrati

Non sei ancora registrato?

Oppure

Accedi

Abitazione di tipo ultrapopolare

Via Boldara, 27, Gruaro (VE)

€ 22.462,50

Offerta minima € 16.847,00


Codice A4340353

Lotto Lotto unico

Data udienza 15/05/2026 ore 15:30

Termine presentazione offerte 14/05/2026 ore 12:00

Abitazione di tipo ultrapopolare

Via Boldara, 27, Gruaro (VE)

€ 22.462,50

Offerta minima € 16.847,00


Codice A4340353

Lotto Lotto unico

Data udienza 15/05/2026 ore 15:30

Termine presentazione offerte 14/05/2026 ore 12:00

Ti interessa questa vendita?

Documentazione

Visualizza su mappa

Mappa geografica del bene

Punti di interesse

Fonte dati

Nel raggio di {{range}}Km

Loading...
  • {{ getIcon(poi.type) }} {{ poi.localized }}: {{poi.count}}
  • {{ getIcon(poi.type) }} {{ poi.localized }}: {{poi.count}}
Dati non disponibili

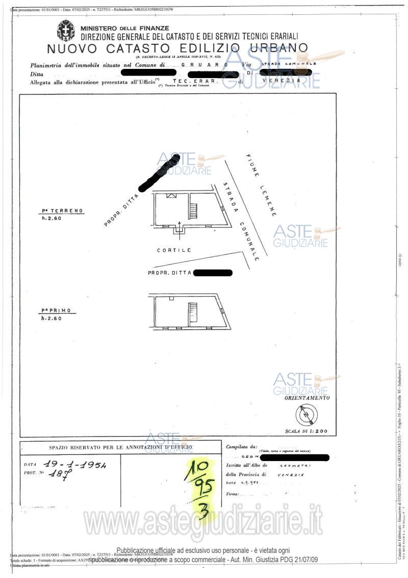
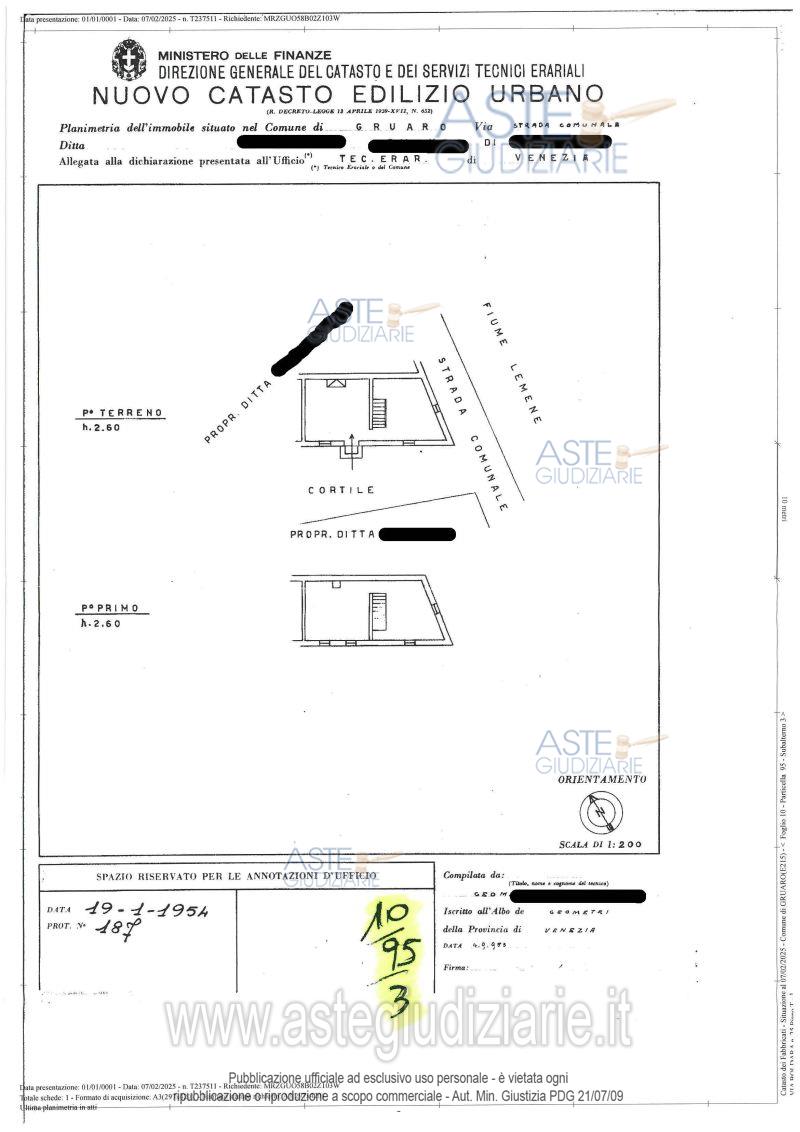
Fabbricato d'abitazione (PT-1) con cortile ad uso comune posto sul lato Sud dell'immobile. Sono presenti parti comuni di fabbricato ai sensi dell'art.1117 del Codice Civile. L'edificio è stato costruito anteriormente al 01/09/1967 e risulta essere libero con parti crollate (da considerarsi pericolante e collabente). Difformità catastali sanabili.

Indirizzo
Via Boldara, 27, Gruaro (VE)


Codice asta
4340353


Lotto
Lotto unico


Numero beni
1


Genere
Immobili


Categoria
Immobile residenziale


Valore di stima
-


Abitazione di tipo ultrapopolare

Fabbricato d'abitazione (PT-1) con cortile ad uso comune posto sul lato Sud dell'immobile. Sono presenti parti comuni di fabbricato ai sensi dell'art.1117 del Codice Civile. L'edificio è stato costruito anteriormente al 01/09/1967 e risulta essere libero con parti crollate (da considerarsi pericolante e collabente). Difformità catastali sanabili.

Indirizzo
Via Boldara, 27, Gruaro (VE)


Piano
T


Disponibilità
LIBERO


Vani
4,00


Bagni
-


Metri quadri
105,00


Certificazione energetica
-


Dati catastali

Foglio:10, Particella:95, Subalterno:3


Data udienza
15/05/2026 ore 15:30


Tipo di vendita
Senza incanto


Modalità di vendita
Sincrona telematica


Luogo
N.A. -


Luogo presentazione offerte
-


Termine presentazione offerte
14/05/2026 ore 12:00


Prezzo base
€ 22.462,50


Offerta minima
€ 16.847,00


Rialzo minimo in caso di gara
€ 1.000,00


Deposito cauzionale
-


Deposito in conto spese
-


Tribunale
Pordenone

Tipo di procedura
Espropriazione immobiliare (cartabia)

Ruolo
75/2024

Giudice
Tesco Elisa

Recapiti
-

Email
-

Delegato alla vendita
Pertegato Giorgio
(Procede alle operazioni di vendita)

Recapiti
-

Email
notaio@notaiopertegato.it

Custode giudiziario
Giudiziario Custode
(Gestisce la visita del bene)

Recapiti
Tel. 3294536349

Scheda COD. 4340353 - Pubblicata dal 17/03/2026

La presente scheda di vendita riporta integralmente informazioni e documenti pervenuti ufficialmente dal Ministero e dal professionista incaricato.


Pubblicazione autorizzata dall’Autorità competente, è vietata ogni ripubblicazione o riproduzione anche parziale


Ti interessa questa vendita?

Documentazione

Visualizza su mappa

Mappa geografica del bene

Storico delle vendite

Data venditaPrezzo base
16/01/2026€ 29.950,00
15/05/2026€ 22.462,50

Punti di interesse

Fonte dati

Nel raggio di {{range}}Km

Loading...
  • {{ getIcon(poi.type) }} {{ poi.localized }}: {{poi.count}}
  • {{ getIcon(poi.type) }} {{ poi.localized }}: {{poi.count}}
Dati non disponibili