Astegiudiziarie.it è parte di Rete Aste Network

Accedi o registrati

Non sei ancora registrato?

Oppure

Accedi

Abitazione di tipo civile

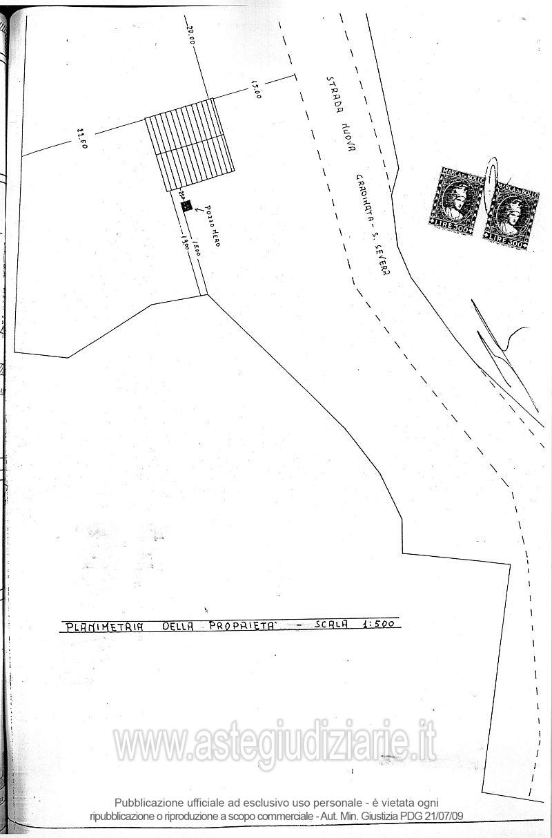
Loc. San Simone, Gonnosfanadiga (VS)

€ 18.700,00

Offerta minima € 14.025,00


Codice A163218

Lotto Lotto unico

Data udienza 09/06/2026 ore 09:00

Termine presentazione offerte 08/06/2026 ore 13:00

Abitazione di tipo civile

Loc. San Simone, Gonnosfanadiga (VS)

€ 18.700,00

Offerta minima € 14.025,00


Codice A163218

Lotto Lotto unico

Data udienza 09/06/2026 ore 09:00

Termine presentazione offerte 08/06/2026 ore 13:00

Ti interessa questa vendita?

Visualizza su mappa

Mappa geografica del bene

Punti di interesse

Fonte dati

Nel raggio di {{range}}Km

Loading...
  • {{ getIcon(poi.type) }} {{ poi.localized }}: {{poi.count}}
  • {{ getIcon(poi.type) }} {{ poi.localized }}: {{poi.count}}
Dati non disponibili

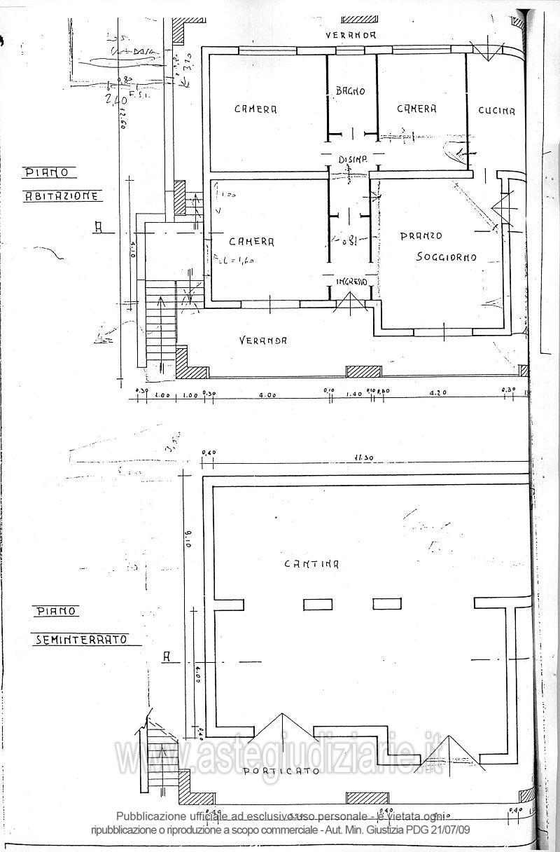
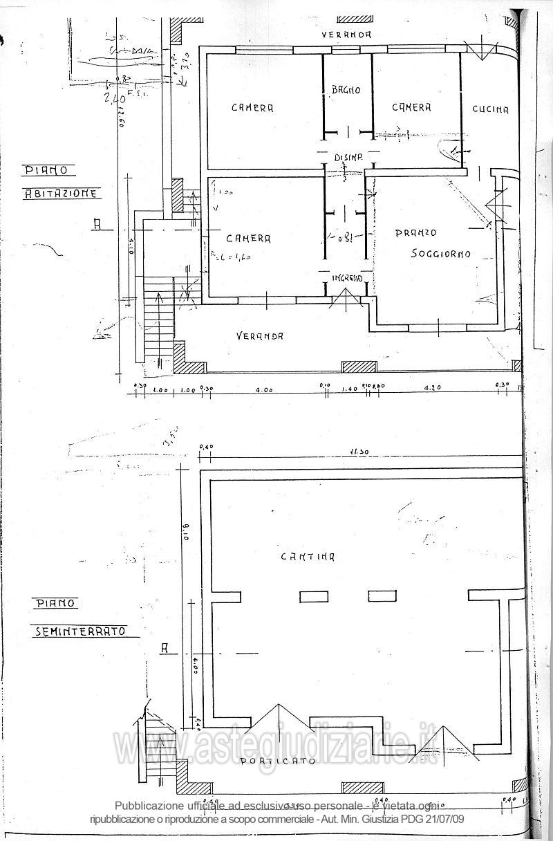
Quota pari all’intero del diritto di proprietà sull’unità immobiliare per civile abitazione al piano rialzato composto da: ingresso, salone, cucina, tre camere, bagno, salone, disimpegno, tre verande.

Indirizzo
Loc. San Simone, Gonnosfanadiga (VS)


Codice asta
163218


Lotto
Lotto unico


Numero beni
1


Genere
Immobili


Categoria
Immobile residenziale


Valore di stima
-


Abitazione di tipo civile

quota pari all’intero del diritto di proprietà sull’unità immobiliare per civile abitazione al piano rialzato composto da:ingresso, salone, cucina, tre camere, bagno, salone, disimpegno, tre verande.

Indirizzo
Loc. San Simone, Gonnosfanadiga (VS)


Piano
-


Disponibilità
-


Vani
6,00


Bagni
-


Metri quadri
120,00


Certificazione energetica
-


Data udienza
09/06/2026 ore 09:00


Tipo di vendita
Senza incanto


Modalità di vendita
Asincrona telematica


Luogo
N.A. -


Luogo presentazione offerte
-


Termine presentazione offerte
08/06/2026 ore 13:00


Prezzo base
€ 18.700,00


Offerta minima
€ 14.025,00


Rialzo minimo in caso di gara
€ 1.000,00


Deposito cauzionale
2500


Deposito in conto spese
-


Tribunale
Cagliari

Tipo di procedura
Esecuzione immobiliari

Ruolo
909/1995

Giudice
Frongia Valentina

Recapiti
-

Email
-

Delegato alla vendita
Grilletti Giuditta
(Procede alle operazioni di vendita)

Recapiti
Tel. 07060222574

Email
ufficiouniconotai@pec.it

Custode giudiziario
Ivg cagliari 
(Gestisce la visita del bene)

Recapiti
Cell. 0702299036

Scheda COD. 163218 - Pubblicata dal 17/04/2026

La presente scheda di vendita riporta integralmente informazioni e documenti pervenuti ufficialmente dal Ministero e dal professionista incaricato.

Pubblicazione notarizzata su Blockchain


Pubblicazione autorizzata dall’Autorità competente, è vietata ogni ripubblicazione o riproduzione anche parziale


Ti interessa questa vendita?

Visualizza su mappa

Mappa geografica del bene

Storico delle vendite

Data venditaPrezzo base
17/05/2011€ 55.955,00
18/10/2011€ 53.157,25
05/06/2012€ 50.500,00
23/10/2012€ 48.000,00
01/10/2013€ 43.500,00
27/11/2013€ 39.200,00
30/06/2015€ 39.200,00
25/09/2024€ 37.800,00
22/01/2025€ 30.300,00
28/05/2025€ 24.300,00
22/10/2025€ 20.700,00
09/06/2026€ 18.700,00

Punti di interesse

Fonte dati

Nel raggio di {{range}}Km

Loading...
  • {{ getIcon(poi.type) }} {{ poi.localized }}: {{poi.count}}
  • {{ getIcon(poi.type) }} {{ poi.localized }}: {{poi.count}}
Dati non disponibili