Astegiudiziarie.it è parte di Rete Aste Network

Accedi o registrati

Non sei ancora registrato?

Oppure

Accedi

Abitazione di tipo civile

via Lenzi n 33, contrada Napola, Erice, Erice (TP)

€ 94.200,00

Offerta minima € 70.650,00


Codice A4330747

Lotto 1

Data udienza 21/01/2026 ore 17:00

Termine presentazione offerte 20/01/2026 ore 13:00

Abitazione di tipo civile

via Lenzi n 33, contrada Napola, Erice, Erice (TP)

€ 94.200,00

Offerta minima € 70.650,00


Codice A4330747

Lotto 1

Data udienza 21/01/2026 ore 17:00

Termine presentazione offerte 20/01/2026 ore 13:00

Ti interessa questa vendita?

Documentazione

Visualizza su mappa

Mappa geografica del bene

Punti di interesse

Fonte dati

Nel raggio di {{range}}Km

Loading...
  • {{ getIcon(poi.type) }} {{ poi.localized }}: {{poi.count}}
  • {{ getIcon(poi.type) }} {{ poi.localized }}: {{poi.count}}
Dati non disponibili

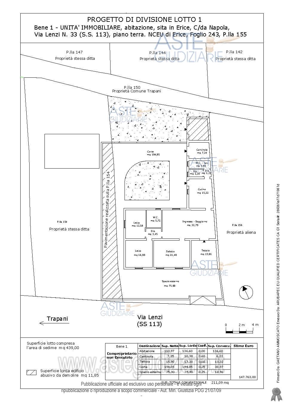
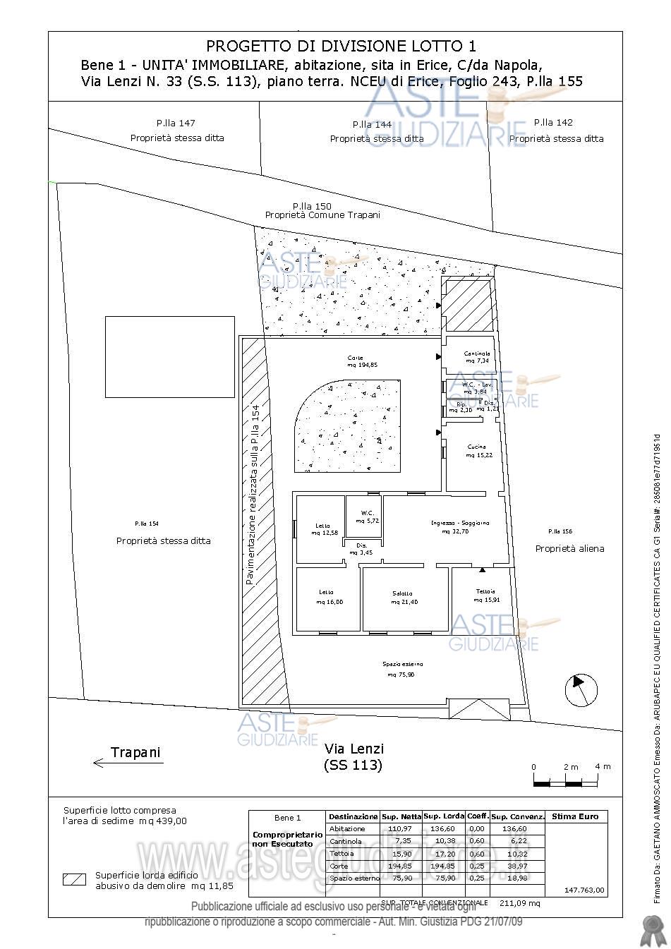
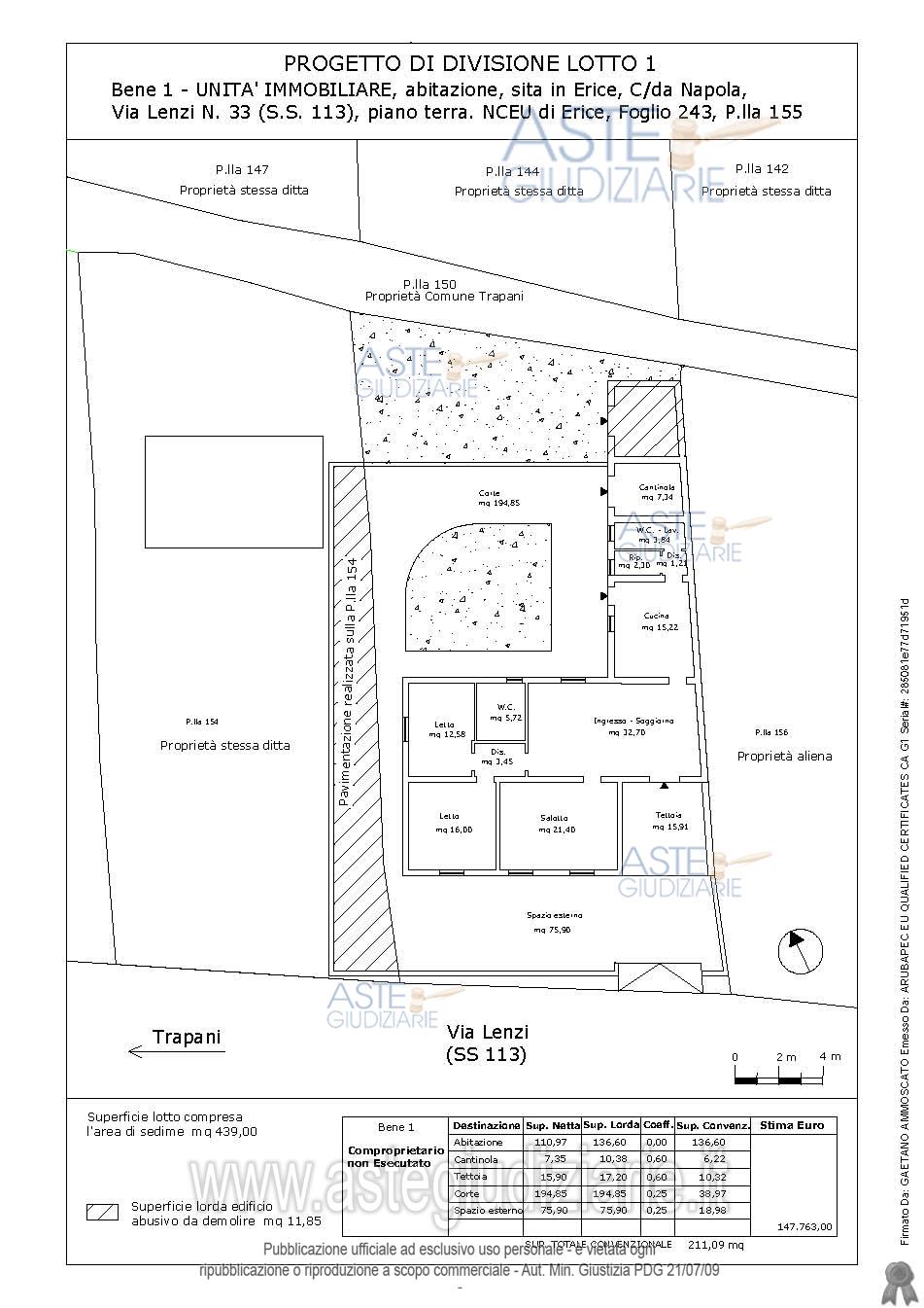
Fabbricato civile sito in contrada Napola, via Lenzi n 33, Erice, composto da 8,5 vani.

Indirizzo
via Lenzi n 33, contrada Napola, Erice, Erice (TP)


Codice asta
4330747


Lotto
1


Numero beni
1


Genere
Immobili


Categoria
Immobile residenziale


Valore di stima
-


Abitazione di tipo civile

Fabbricato civile sito in contrada Napola, via Lenzi n 33, Erice, composto da 8,5 vani.

Indirizzo
via Lenzi n 33, contrada Napola, Erice, Erice (TP)


Piano
-


Disponibilità
-


Vani
-


Bagni
-


Metri quadri
-


Certificazione energetica
-


Dati catastali

Foglio:243, Particella:155


Data udienza
21/01/2026 ore 17:00


Tipo di vendita
Senza incanto


Modalità di vendita
Sincrona mista


Luogo
Via della Ginestra, 11 - Trapani 91100


Luogo presentazione offerte
-


Termine presentazione offerte
20/01/2026 ore 13:00


Prezzo base
€ 94.200,00


Offerta minima
€ 70.650,00


Rialzo minimo in caso di gara
€ 1.000,00


Deposito cauzionale
10% del prezzo offerto


Deposito in conto spese
-


Tribunale
Trapani

Tipo di procedura
Contenzioso civile

Ruolo
1543/2020

Delegato alla vendita
Raineri Valeria maria
(Procede alle operazioni di vendita)

Recapiti
Cell. 3394846347
Tel. 3394846347

Email
avv.raineri@gmail.com

Custode giudiziario
Raineri Valeria maria
(Gestisce la visita del bene)

Recapiti
Cell. 3394846347
Tel. 3394846347

Scheda COD. 4330747 - Pubblicata dal 10/11/2025

La presente scheda di vendita riporta integralmente informazioni e documenti pervenuti ufficialmente dal Ministero e dal professionista incaricato.

Pubblicazione notarizzata su Blockchain


Pubblicazione autorizzata dall’Autorità competente, è vietata ogni ripubblicazione o riproduzione anche parziale


Ti interessa questa vendita?

Documentazione

Visualizza su mappa

Mappa geografica del bene

Storico delle vendite

Data venditaPrezzo base
14/10/2025€ 125.600,00
21/01/2026€ 94.200,00

Punti di interesse

Fonte dati

Nel raggio di {{range}}Km

Loading...
  • {{ getIcon(poi.type) }} {{ poi.localized }}: {{poi.count}}
  • {{ getIcon(poi.type) }} {{ poi.localized }}: {{poi.count}}
Dati non disponibili